Titel Logo
Mein Wittlich.Land
Ausgabe 20/2024
Amtliche Bekanntmachungen und Mitteilungen der Ortsgemeinden
Zurück zur vorigen Seite
Zurück zur ersten Seite der aktuellen Ausgabe

Öffentliche Bekanntmachung  

Inkrafttreten des Bebauungsplanes

„Gewerbegebiet III – 1. Änderung“,

Ortsgemeinde Laufeld

(Bebauungsplan der Innenentwicklung gem. § 13 a BauGB)

Gemäß § 1 Abs. 1 und 2 der Hauptsatzung der Ortsgemeinde Laufeld vom 15.10.2019 und § 10 Abs. 3 des Baugesetzbuches (BauGB) in der Fassung der Bekanntmachung vom 03.11.2017 (BGBl. I S. 3634), zuletzt geändert durch Artikel 3 des Gesetzes vom 20.12.2023 (BGBl. I 2023 I Nr. 394), wird hiermit ortsüblich bekannt gemacht, dass der Gemeinderat Laufeld in seiner Sitzung am 02.05.2024, TOP 1 b) den Bebauungsplan „Gewerbegebiet III – 1. Änderung“ gemäß § 10 Abs. 1 BauGB als Satzung beschlossen hat.

Entsprechend § 10 Abs. 3 des BauGB wird hiermit der Satzungsbeschluss ortsüblich bekannt gemacht:

„Der Bebauungsplan „Gewerbegebiet III, 1. Änderung“ wird gemäß § 10 Abs. 1 BauGB i. V. m. § 24 GemO als Satzung beschlossen, die ortsüblichen Bauvorschriften über die Gestaltung baulicher Anlagen sind gemäß § 9 Abs. 4 BauGB i. V. m § 88 Landesbauordnung (LBauO) in den Bebauungsplan als Festsetzungen aufgenommen und werden ebenfalls als Satzung beschlossen.

Die Begründung des Bebauungsplanes wird gebilligt.

Der Beschluss des Bebauungsplanes ist gemäß § 10 Abs. 3 BauGB öffentlich bekannt zu machen.“

Der Geltungsbereich des Bebauungsplanes hat eine Gesamtgröße von ca. 1,35 ha und umfasst die Grundstücke Gemarkung Laufeld,

Flur 2, Flurstücke 146/20 (tlw.), 146/21, 146/25 (tlw.), 146/26, 146/27 (tlw.), 165/5;

Flur 7, Flurstücke 85/37, 85/39, 85/40 (tlw.), 96/25, 96/29, 96/34 (tlw.), 96/35 (tlw.), 96/36 (tlw.).

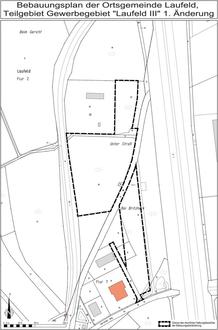
Die genaue Abgrenzung des Geltungsbereiches des rechtsverbindlichen Bebauungsplangebietes „Gewerbegebiet III – 1. Änderung“ ist aus dem besonders abgedruckten Lageplan ersichtlich.

Der Bebauungsplan (Satzung) mit der Begründung kann ab sofort bei der Verbandsgemeindeverwaltung Wittlich-Land, Zimmer 307, Kurfürstenstr. 1, 54516 Wittlich während der Dienststunden von jedermann eingesehen werden. Über den Inhalt wird auf Verlangen Auskunft erteilt.

Auf die Vorschriften des § 44 Abs. 3 Satz 1 und 2 sowie Abs. 4 BauGB über die fristgemäße Geltendmachung etwaiger Entschädigungsansprüche für Eingriffe in eine bisher zulässige Nutzung durch diese Satzung und über das Erlöschen von Entschädigungsansprüchen wird hingewiesen.

Ebenso wird auf die Rechtsfolgen des § 215 Abs. 1 BauGB hingewiesen.

Danach werden unbeachtlich,

  1. eine nach § 214 Abs. 1 Satz 1 Nr. 1 bis 3 BauGB beachtliche Verletzung der dort bezeichneten Verfahrens- und Formvorschriften,
  2. eine unter Berücksichtigung des § 214 Abs. 2 BauGB beachtliche Verletzung der Vorschriften über das Verhältnis des Bebauungsplanes und des Flächennutzungsplanes und
  3. nach § 214 Abs. 3 Satz 2 BauGB beachtliche Mängel des Abwägungsvorganges,

wenn sie nicht innerhalb eines Jahres seit Bekanntmachung der Satzung schriftlich gegenüber der Ortsgemeinde Laufeld unter Darlegung des die Verletzung begründenden Sachverhalts geltend gemacht worden sind.

Dies gilt entsprechend, wenn Fehler nach § 214 Abs. 2a BauGB beachtlich sind.

Eine Verletzung der in § 24 Abs. 6 der Gemeindeordnung für Rheinland-Pfalz (GemO) genannten Form- und Verfahrensvorschriften ist ebenfalls unbeachtlich, wenn sie nicht innerhalb eines Jahres nach der Bekanntmachung der Satzung schriftlich gegenüber der Ortsgemeinde Laufeld geltend gemacht worden ist. Der Sachverhalt, der die Verletzung begründen soll, ist darzulegen.

Mit dieser Bekanntmachung tritt der Bebauungsplan „Gewerbegebiet III – 1. Änderung“ der Ortsgemeinde Laufeld in Kraft.

Laufeld, den 14.05.2024
Ortsgemeinde Laufeld
gez.: (S)
Jovi Junk
Ortsbürgermeister