Titel Logo
Region im Blick VG Kaisersesch
Ausgabe 15/2023
Aus den Gemeinden
Zurück zur vorigen Seite
Zurück zur ersten Seite der aktuellen Ausgabe

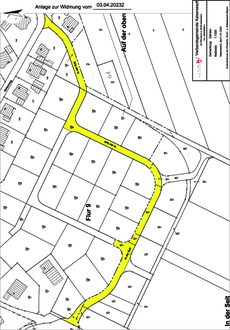
Widmung der Ortsgemeinde Gamlen

Die innerhalb der Ortslage von Gamlen erstmals hergestellte Gemeindestraße

Flur 9 Nr. 128/9, Flur 9 Nr. 128/10, Flur 9 Nr. 128/38 teilweise, Flur 9 Nr. 153/2, Flur 10 Nr. 60/3, Flur 10 Nr. 61/3 teilweise, Flur 10 Nr. 62/4, Flur 10 Nr. 63/6 und Flur 10 Nr. 64/4 (In der Seit)

wird hiermit gemäß § 36 des Landesstraßengesetzes für Rheinland-Pfalz (LStrG) vom 01.08.1977 (GVBl. I. Seite 273) -in der derzeit geltenden Fassung- dem öffentlichen Straßenverkehr gewidmet. Gemäß § 3 Ziffer 3 a des Landesstraßengesetzes erhält sie die Eigenschaft einer Gemeindestraße.

Die Straße beginnt an der Einmündung von Flur 9 Nr. 15/7 (Landesstraße - L 109 - Hauptstraße), verläuft über die kompletten Straßenparzellen Flur 9 Nr. 128/9, Flur 9 Nr. 128/10, Flur 9 Nr. 153/2, Flur 10 Nr. 60/3, Flur 10 Nr. 62/4, Flur 10 Nr. 63/6, Flur 10 Nr. 64/4 sowie über einen Teil der Straßenparzellen Flur 9 Nr. 128/38 und Flur 10 Nr. 61/3. Sie endet nach 340 m an der Einmündung in Flur 9 Nr. 164 (Birkenweg).

In dem zu dieser Widmung veröffentlichten Plan ist die Gemeindestraße gekennzeichnet.

Die vorstehende Widmungsverfügung wird hiermit gemäß § 36 des Landesstraßengesetzes und nach der in der Hauptsatzung der Ortsgemeinde Gamlen festgelegten Form öffentlich bekannt gemacht.

Rechtsbehelfsbelehrung:

Gegen diese Widmung kann innerhalb eines Monats nach Bekanntgabe Widerspruch bei der Verbandsgemeindeverwaltung Kaisersesch, Am Römerturm 2, 56759 Kaisersesch schriftlich, in elektronischer Form nach § 3 a Abs. 2 des Verwaltungsverfahrensgesetzes oder zur Niederschrift erhoben werden.

Bei der Verwendung der elektronischen Form sind besondere technische Rahmenbedingungen zu beachten, welche im Internet unter www.kaisersesch.de unter dem Menüpunkt „elektronische Signatur / Post“ aufgeführt sind.

Kaisersesch, den 03.04.2023
Verbandsgemeindeverwaltung Kaisersesch
Albert Jung, Bürgermeister