Titel Logo
Region im Blick VG Kaisersesch
Ausgabe 19/2023
Aus den Gemeinden
Zurück zur vorigen Seite
Zurück zur ersten Seite der aktuellen Ausgabe

Bauleitplanung der Ortsgemeinde Roes

Bekanntmachung

gemäß § 2 Abs. 1 Baugesetzbuch (BauGB) in der Fassung der Bekanntmachung vom 03. November 2017 (BGBl. I S. 3634)

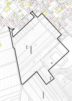
In der öffentlichen Sitzung des Ortsgemeinderates Roes vom 13.06.2022 hat der Ortsgemeinderat Roes die Aufstellung eines Bebauungsplanes für die Ausweisung eines Mischgebietes im Bereich „Bodengraben“ beschlossen.

Die Ortsgemeinde Roes beabsichtigt mit der Aufstellung des Bebauungsplanes die Schaffung der planungsrechtlichen Zulässigkeitsvoraussetzungen für die Ausweisung neuer Bauflächen für die Errichtung von Wohngebäuden sowie zur Unterbringung von Gewerbebetrieben, die das Wohnen nicht wesentlich stören.

Das Plangebiet ist aus dem abgedruckten Plan ersichtlich.

Roes, den 05.05.2023
Ortsgemeinde Roes
Jörg Fuhrmann, Ortsbürgermeister