Titel Logo
Region im Blick VG Kaisersesch
Ausgabe 21/2025
Aus den Gemeinden
Zurück zur vorigen Seite
Zurück zur ersten Seite der aktuellen Ausgabe

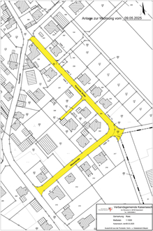
Widmung

Die innerhalb der Ortslage von Roes befindlichen Gemeindestraßen

a)

Flur 4 Nr. 318, Flur 4 Nr. 319/2, Flur 4 Nr. 320 und

Flur 4 Nr. 334/1

(Wiesenstraße und Pyrmonter Straße)

b)

Flur 4 Nr. 327/3 (Pyrmonter Straße – Stichstraße)

werden hiermit gemäß § 36 des Landesstraßengesetzes für Rheinland-Pfalz (LStrG) vom 01.08.1977 (GVBl. I. Seite 273) -in der derzeit geltenden Fassung- dem öffentlichen Straßenverkehr gewidmet. Gemäß § 3 Ziffer 3 a des Landesstraßengesetzes erhalten sie die Eigenschaft einer Gemeindestraße.

Die Straße

a)

beginnt an der Einmündung in Flur 4 Nr. 308/2 (Hauptstraße) und verläuft über die gesamten Straßenparzellen Flur 4 Nr. 318, Nr. 319/2, Nr. 320 und Nr. 334/1. Sie verläuft zunächst in nordöstlicher Richtung, nach 120 m knickt sie rechtwinklig ab und verläuft weiter in nordwestliche Richtung. Nach weiteren 153 m endet die Straße an der Einmündung in Flur 4 Nr. 247/7 (Hauptstraße) und in Flur 4 Nr. 349 (Gartenweg).

b)

beginnt an der Einmündung in Flur 4 Nr. 320 (Pyrmonter Straße) und verläuft südwestlich über die gesamte Straßenparzelle Flur 4 Nr. 327/3. Die Straße endet nach 39 m an den Baugrundstücken Flur 4 Nr. 326/2 und Flur 4 Nr. 328.

In dem zu dieser Widmung veröffentlichten Plan sind die Gemeindestraßen gekennzeichnet.

Die vorstehende Widmungsverfügung wird hiermit gemäß § 36 des Landesstraßengesetzes und nach der in der Hauptsatzung der Ortsgemeinde Roes festgelegten Form öffentlich bekannt gemacht.

Die Widmungsverfügung der „Wiesenstraße“ und „Pyrmonter Straße“ vom 29.01.1990, bekanntgemacht im Mitteilungsblatt der Verbandsgemeinde Treis-Karden vom 03.02.1990, wird durch diese ersetzt.

Rechtsbehelfsbelehrung:

Gegen diese Widmung kann innerhalb eines Monats nach Bekanntgabe Widerspruch bei der Verbandsgemeindeverwaltung Kaisersesch, Am Römerturm 2, 56759 Kaisersesch schriftlich, in elektronischer Form nach § 3 a Abs. 2 des Verwaltungsverfahrensgesetzes oder zur Niederschrift erhoben werden.

Bei der Verwendung der elektronischen Form sind besondere technische Rahmenbedingungen zu beachten, welche im Internet unter www.kaisersesch.de unter dem Menüpunkt „elektronische Signatur / Post“ aufgeführt sind.

Kaisersesch, den 09.05.2025
Verbandsgemeindeverwaltung Kaisersesch
Albert Jung, Bürgermeister