Titel Logo
Region im Blick VG Kaisersesch
Ausgabe 23/2025
Aus den Gemeinden
Zurück zur vorigen Seite
Zurück zur ersten Seite der aktuellen Ausgabe

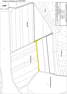
Satzung der Stadt Kaisersesch über die Aufhebung von Wirtschaftswegen in der Gemarkung Kaisersesch

der Stadt Kaisersesch über die Aufhebung von Wirtschaftswegen

in der Gemarkung Kaisersesch

Auf Grund des § 58 Abs. 4 des Flurbereinigungsgesetzes vom 16.03.1976 (BGBl. I, Seite 546) in Verbindung mit § 24 der Gemeindeordnung (GemO) für Rheinland-Pfalz vom 31.01.1994 (GVBl. S. 153), beide in der jeweils geltenden Fassung, hat der Stadtrat Kaisersesch am 18.02.2025 folgende Satzung beschlossen:

§ 1

Die Wirtschaftswege in der Gemarkung Kaisersesch

Flur 9 Nr. 121 teilweise

Flur 9 Nr. 125

werden hiermit aufgehoben. Die vorgenannten Wegeflächen sind in dem dieser Satzung beigefügten Lageplan farblich gekennzeichnet.

Kaisersesch, den 26.04.2025
Stadt Kaisersesch
(Siegel)
Gerhard Weber, Stadtbürgermeister

Hinweis:

Wir weisen darauf hin, dass Satzungen, die unter Verletzung von Verfahrens- und Formvorschriften der Gemeindeordnung oder aufgrund der Gemeindeordnung zustande gekommen sind, ein Jahr nach Bekanntmachung als von Anfang an gültig zustande gekommen gelten.

Dies gilt nicht, wenn

1.

die Bestimmungen über die Öffentlichkeit der Sitzung, die Genehmigung, die Ausfertigung oder die Bekanntmachung der Satzung verletzt worden sind,

oder

2.

vor Ablauf der in Satz 1 genannten Frist die Aufsichtsbehörde den Beschluss beanstandet oder jemand die Verletzung der Verfahrens- und Formvorschriften gegenüber der Gemeindeverwaltung unter Bezeichnung des Sachverhaltes, der die Verletzung begründen soll, schriftlich geltend gemacht hat.

Hat jemand eine Verletzung nach Satz 2 Nr. 2 geltend gemacht, so kann auch nach Ablauf der in Satz 1 genannten Frist jedermann diese Verletzung geltend machen.

Kaisersesch, den 22.05.2025
Stadt Kaisersesch
Gerhard Weber, Stadtbürgermeister