Titel Logo
Region im Blick VG Kaisersesch
Ausgabe 25/2023
Aus den Gemeinden
Zurück zur vorigen Seite
Zurück zur ersten Seite der aktuellen Ausgabe

Bekanntmachung - Bauleitplanung der Ortsgemeinde Illerich 5. Änderung des Bebauungsplanes „Südöstliche Ortserweiterung“

Bauleitplanung der Ortsgemeinde Illerich

5. Änderung des Bebauungsplanes „Südöstliche Ortserweiterung“

Der Bebauungsplan „Südöstliche Ortserweiterung“ wurde 1967 aufgestellt und 1976, 1980, 1981 sowie 2000 jeweils in Teilbereichen geändert. Verschiedene Aspekte der Baugestaltung und Bebauung der Baugrundstücke haben sich in den letzten Jahren fortentwickelt. Der Ortsgemeinderat Illerich hat daher in seiner Sitzung am 02.08.2022 eine 5. Änderung des Bebauungsplanes „Südöstliche Ortserweiterung“ beschlossen und dem Entwurf des Bebauungsplanes zugestimmt. Dieser Entwurf beinhaltet folgende Änderungen:

Flächen für Nebenanlagen:

Nebenanlagen sind künftig auch außerhalb der Baulinien und Baugrenzen zulässig.

Mit Ausnahme von Einfriedungen muss allerdings ein Mindestabstand von 3 m zu angrenzenden öffentlichen Verkehrsflächen eingehalten werden.

Flächen für Garagen und Carports:

Garagen, Carports und Stellplätze sind künftig auch außerhalb der Baulinien und Baugrenzen zulässig. Garagen müssen allerdings einen Abstand von min. 3 m zur öffentlichen Verkehrsfläche einhalten.

Der Entwurf zur 5. Änderung des Bebauungsplanes „Südöstliche Ortserweiterung“ der Ortsgemeinde Illerich einschl. der textlichen Festsetzungen sowie der Begründung liegt gemäß § 13 Abs. 2 Nr. 1 und 2 BauGB i.V.m. § 3 Abs. 2 BauGB in der Fassung der Bekanntmachung vom 3. November 2017 (BGBl. I S. 3634) in der Zeit von

Donnerstag, 03.07.2023

bis einschließlich Freitag, 03.08.2023 bei der Verbandsgemeindeverwaltung Kaisersesch, Am Römerturm 2, 56759 Kaisersesch, Zimmer DE05, zu folgenden Zeiten

Montag: 08:00 Uhr bis 12:30 Uhr, 14:00 Uhr bis 16:00 Uhr

Dienstag: 08:00 Uhr bis 12:30 Uhr

Mittwoch: 08:00 Uhr bis 12:30 Uhr

Donnerstag: 08:00 Uhr bis 12:00 Uhr, 14:00 Uhr bis 18:00 Uhr

Freitag: 08:00 Uhr bis 12:00 Uhr

zu jedermanns Einsicht öffentlich aus.

Während der Auslegungsfrist sind der Inhalt der Bekanntmachung nach § 3 Absatz 2 Satz 2 BauGB und die nach § 3 Absatz 2 Satz 1 BauGB auszulegenden Unterlagen auch auf der Website der Verbandsgemeinde Kaisersesch unter www.kaisersesch.de

(>Verwaltung/Amtliche Bekanntmachung) unter dem Artikel „Ortsgemeinde Illerich – Offenlage der 5. Änderung des Bebauungsplanes „Südöstliche Ortserweiterung“ einsehbar.

Zudem können die Unterlagen in dem vorgenannten Zeitraum auch über das Geoportal des Landes Rheinland-Pfalz www.geoportal.rlp.de eingesehen werden.

Die Auslegung erfolgt im Rahmen des förmlichen Verfahrens nach § 3 Abs. 2 BauGB.

Während der oben genannten Auslegungsfrist können Stellungnahmen, Bedenken und/oder Anregungen zu dem Entwurf des genannten Bebauungsplanes abgegeben werden. Die Stellungnahmen/Bedenken/Anregungen können schriftlich, elektronisch oder mündlich zur Niederschrift bei der Verbandsgemeindeverwaltung abgegeben werden. Nicht fristgerecht abgegebene Stellungnahmen/Bedenken/Anregungen können bei der Beschlussfassung über den Bebauungsplan unberücksichtigt bleiben.

Hinweise:

1)

Die Änderung des Bebauungsplanes erfolgt im vereinfachten Verfahren nach § 13 BauGB. Somit gelten die Beteiligungsvorschriften nach § 13 Abs. 2 und 3 Satz 1 BauGB. Von einer Umweltprüfung nach § 2 Abs. 4 BauGB, von dem Umweltbericht nach § 2a BauGB, von der Angabe nach § 3 Abs. 2 Satz 2 BauGB, welche Arten umweltbezogener Informationen verfügbar sind, sowie von der zusammenfassenden Erklärung nach § 6 Abs. 5 Satz 3 und § 10 Abs. 4 BauGB wird gem. § 13 Abs. 3 Satz 1 BauGB abgesehen.

2)

Die Öffentlichkeit kann sich ab Freitag, 23.06.2023 bei der Verbandsgemeindeverwaltung Kaisersesch zu den o.g. Zeiten über die allgemeinen Ziele und Zwecke sowie die wesentlichen Auswirkungen der Planung unterrichten. Eine Äußerung zu der Planung ist auch dann schon möglich.

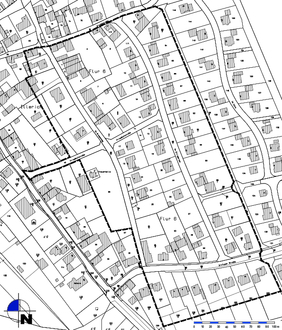
Das Plangebiet ist aus dem nachstehend abgedruckten Plan ersichtlich.

Die 5. Änderung des Bebauungsplanes „Südöstliche Ortserweiterung“ umfasst die Grundstücke

Gemarkung Illerich

Flur 6

Flurstücke 1/1, 1/2, 2, 3/1, 3/2, 3/3, 4, 5, 6, 8/1, 8/2, 9/1, 9/2, 10, 11, 12, 13, 14, 15, 16, 17, 18, 19, 20, 21, 22, 23, 24/1, 24/2, 24/3, 25, 26, 27, 28, 29, 30, 31/1, 31/2, 32/2 teilweise, 33 teilweise, 38, 43, 48/1 teilweise, 48/3, 48/4, 49/1 teilweise, 49/2, 50/1 teilweise, 50/2, 50/4, 50/5 teilweise, 51/1 teilweise, 51/2, 82/1, 83/1, 83/2, 84, 85, 86, 87, 88, 89/1, 90, 91/1, 92, 93, 95/1, 96/1 teilweise, 96/2, 97/2, 97/3, 97/4, 98/5, 98/6, 98/7, 98/8, 98/9, 99/2 teilweise, 99/3, 99/4, 99/7 teilweise, 100/1 teilweise, 101/1 teilweise, 102/1 teilweise, 103/1 teilweise, 104/1 teilweise, 105/2 teilweise, 106/3 teilweise und 107/1.

Illerich, den 15.06.2023
Ortsgemeinde Illerich
Helmut Braunschädel, Ortsbürgermeister