Titel Logo
Region im Blick VG Kaisersesch
Ausgabe 37/2024
Aus den Gemeinden
Zurück zur vorigen Seite
Zurück zur ersten Seite der aktuellen Ausgabe

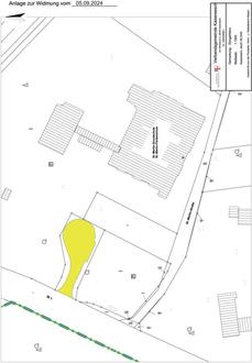
Widmung der Ortsgemeinde Düngenheim

Die in der Gemarkung Düngenheim befindliche Gemeindestraße

Flur 4 Nr. 3/5 teilweise

(Buswendeanlage)

wird hiermit gemäß § 36 des Landesstraßengesetzes für Rheinland-Pfalz (LStrG) vom 01.08.1977 (GVBl. I. Seite 273) -in der derzeit geltenden Fassung- dem öffentlichen Straßenverkehr gewidmet. Gemäß § 3 Ziffer 3 a des Landesstraßengesetzes erhält sie die Eigenschaft einer Gemeindestraße.

Die Straße beginnt an der Einmündung in Flur 4 Nr. 1 (Landessstraße L 98), verläuft über einen Teil der Straßenparzelle Flur 4 Nr. 3/5 und endet nach 60 m am Grundstück Fl. 4 Nr. 2.

In dem zu dieser Widmung veröffentlichten Plan ist die Gemeindestraße gekennzeichnet.

Die vorstehende Widmungsverfügung wird hiermit gemäß § 36 des Landesstraßengesetzes und nach der in der Hauptsatzung der Ortsgemeinde Düngenheim festgelegten Form öffentlich bekannt gemacht.

Rechtsbehelfsbelehrung:

Gegen diese Widmung kann innerhalb eines Monats nach Bekanntmachung Widerspruch bei der Verbandsgemeindeverwaltung Kaisersesch, Am Römerturm 2, 56759 Kaisersesch schriftlich, in elektronischer Form nach § 3 a Abs. 2 des Verwaltungsverfahrensgesetzes oder zur Niederschrift erhoben werden.

Bei der Verwendung der elektronischen Form sind besondere technische Rahmenbedingungen zu beachten, welche im Internet unter www.kaisersesch.de unter dem Menüpunkt „elektronische Signatur / Post“ aufgeführt sind.

Kaisersesch, den 05.09.2024
Verbandsgemeindeverwaltung Kaisersesch
Albert Jung, Bürgermeister