Titel Logo
Region im Blick VG Kaisersesch
Ausgabe 44/2024
Aus den Gemeinden
Zurück zur vorigen Seite
Zurück zur ersten Seite der aktuellen Ausgabe

Satzung der Ortsgemeinde Brohl über die Aufhebung eines Wirtschaftsweges in der Gemarkung Brohl

der Ortsgemeinde Brohl über die Aufhebung eines Wirtschaftsweges in der Gemarkung Brohl

Auf Grund des § 58 Abs. 4 des Flurbereinigungsgesetzes vom 16.03.1976 (BGBl. I, Seite 546) in Verbindung mit § 24 der Gemeindeordnung (GemO) für Rheinland-Pfalz vom 31.01.1994 (GVBl. S. 153), beide in der jeweils geltenden Fassung, hat der Ortsgemeinderat Brohl am 01.08.2024 folgende Satzung beschlossen:

§ 1

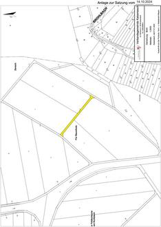
Der Wirtschaftsweg in der Gemarkung Brohl

Flur 7 Nr. 148

wird hiermit aufgehoben. Die vorgenannte Wegefläche ist in dem dieser Satzung beigefügtem Lageplan farblich gekennzeichnet. Die Wegefläche wird für die Bewirtschaftung der landwirtschaftlichen Grundstücke nicht mehr benötigt.

Brohl, den 14.10.2024
Ortsgemeinde Brohl
(Siegel)
Gez.
Uwe Theobald, Ortsbürgermeister

Hinweis:

Wir weisen darauf hin, dass Satzungen, die unter Verletzung von Verfahrens- oder Formvorschriften der Gemeindeordnung oder aufgrund der Gemeindeordnung zustande gekommen sind, ein Jahr nach Bekanntmachung als von Anfang an gültig zustande gekommen gelten.

Dies gilt nicht, wenn

1.

die Bestimmungen über die Öffentlichkeit der Sitzung, die Genehmigung, die Ausfertigung oder die Bekanntmachung der Satzung verletzt worden sind,

oder

2.

vor Ablauf der in Satz 1 genannten Frist die Aufsichtsbehörde den Beschluss beanstandet oder jemand die Verletzung der Verfahrens- und Formvorschriften gegenüber der Gemeindeverwaltung unter Bezeichnung des Sachverhaltes, der die Verletzung begründen soll, schriftlich geltend gemacht hat.

Hat jemand eine Verletzung nach Satz 2 Nr. 2 geltend gemacht, so kann auch nach Ablauf der in Satz 1 genannten Frist jedermann diese Verletzung geltend machen.

Kaisersesch, den 22.10.2024
Verbandsgemeindeverwaltung Kaisersesch
In Vertretung
Benedikt Oster, Beigeordneter