Titel Logo
Amtsblatt VG Trier-Land
Ausgabe 51/2023
Verbandsgemeinde Trier-Land
Zurück zur vorigen Seite
Zurück zur ersten Seite der aktuellen Ausgabe

Bekanntmachung: Rechtswirksamkeit der Änderung des Flächennutzungsplanes der Verbandsgemeinde Trier-Land, Bereich „Brandschutz- und Ausbildungszentrum (BAZ) Trier-Land“ im Bereich Newel-Echternacher Hof

Rechtswirksamkeit der Änderung des Flächennutzungsplanes der Verbandsgemeinde Trier-Land, Bereich „Brandschutz- und Ausbildungszentrum (BAZ) Trier-Land“ im Bereich Newel-Echternacher Hof

Gemäß § 1 Abs. 1 bis 3 der Hauptsatzung der Verbandsgemeinde Trier-Land vom 26.06.2019 in der Fassung der II. Änderungssatzung vom 01.07.2020 und § 6 Abs. 5 des Baugesetzbuches (BauGB) in der Fassung der Bekanntmachung vom 03.11.2017 (BGBl. I. S. 3634), zuletzt geändert durch Artikel 1 des Gesetzes vom 28. Juli 2023 (BGBl. I. S. 221), wird hiermit ortsüblich bekannt gemacht, dass die Kreisverwaltung Trier-Saarburg in 54290 Trier, Willy-Brandt-Platz 1 die vom Verbandsgemeinderat Trier-Land beschlossene Änderung des Flächennutzungsplanes Bereich „Brandschutz- und Ausbildungszentrum (BAZ) Trier-Land“ im Bereich Newel-Echternacher Hof mit Bescheid vom 12.12.2023 genehmigt hat.

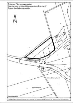
Der Geltungsbereich dieser Änderung des Flächennutzungsplanes der Verbandsgemeinde Trier-Land ist in der als Anlage zu dieser Bekanntmachung abgedruckten, unmaßstäblichen Kartenunterlage dargestellt.

Die Änderung des Flächennutzungsplanes hat das Ziel, die bauplanungsrechtliche Zulässigkeit für die Errichtung des Brandschutz- und Ausbildungszentrums Trier-Land auf Ebene der vorbereitenden Bauleitplanung sicherzustellen.

Die Unterlagen zur Änderung des Flächennutzungsplanes, Bereich „Brandschutz- und Ausbildungszentrum (BAZ) Trier-Land“ können zu den behördlichen Öffnungszeiten (montags bis freitags von 9.00 bis 12.00 Uhr, mittwochs auch von 14.00 bis 15.00 Uhr) im Rathaus der Verbandsgemeinde Trier-Land, Gartenfeldstraße 12, 54295 Trier von jedermann eingesehen werden. Auf Verlangen werden Auskünfte über den Inhalt erteilt.

Mit dieser Bekanntmachung wird die Änderung des Flächennutzungsplanes der Verbandsgemeinde Trier-Land, Bereich „Brandschutz- und Ausbildungszentrum (BAZ) Trier-Land“ im Bereich Newel-Echternacher Hof rechtswirksam.

Hinweise:

Auf die Beachtlichkeit der Verletzung von Vorschriften gemäß den Bestimmungen des § 214 BauGB wird hingewiesen.

Gemäß § 215 BauGB wird darauf hingewiesen, dass

  1. eine nach § 214 Abs. 1 Satz 1 Nr. 1 – 3 beachtliche Verletzung der dort bezeichneten Verfahrens- und Formvorschriften
  2. eine unter Berücksichtigung des § 214 Abs. 2 beachtliche Verletzung der Vorschriften über das Verhältnis des Bebauungsplanes und des Flächennutzungsplanes und
  3. nach § 214 Abs. 3 Satz 2 beachtliche Mängel des Abwägungsvorgangs,

unbeachtlich sind, wenn sie nicht innerhalb eines Jahres seit Bekanntmachung des Flächennutzungsplanes schriftlich gegenüber der Verbandsgemeinde Trier-Land unter Darlegung des die Verletzung begründenden Sachverhalts geltend gemacht worden sind.

Trier, den 13.12.2023

Verbandsgemeinde Trier-Land

Michael Holstein, Bürgermeister