Titel Logo
Saarburger Kreisblatt
Ausgabe 25/2025
Amtliche Bekanntmachungen und Mitteilungen
Zurück zur vorigen Seite
Zurück zur ersten Seite der aktuellen Ausgabe

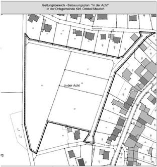
Bebauungsplan der Ortsgemeinde Kirf, OT Meurich, Teilgebiet „In der Acht“

Rechtsverbindlichkeit des Bebauungsplans der Ortsgemeinde Kirf, Ortsteil Meurich, für das Teilgebiet „In der Acht“

Der Ortsgemeinderat Kirf hat in seiner Sitzung am 16.12.2024 den Bebauungsplan für das Teilgebiet „In der Acht“ als Satzung gemäß § 10 Abs. 1 des Baugesetzbuches (BauGB) beschlossen.

Der Satzungsbeschluss wird hiermit gemäß § 10 Abs. 3 BauGB ortsüblich bekannt gemacht. Der Bebauungsplan tritt mit dieser Bekanntmachung in Kraft. Der Geltungsbereich des Gebietes liegt süd-westlich der Ägidiusstraße und ergibt sich aus nachstehendem Plan.

Der Bebauungsplan nebst Begründung und den darin genannten DIN-Normen kann beim Bauamt der Verbandsgemeindeverwaltung Saarburg-Kell, Schlossberg 6, 54439 Saarburg, Raum 1.OG 43, während der allgemeinen Sprechstunden eingesehen werden. Über den Inhalt wird auf Verlangen Auskunft gegeben.

Die Satzungsunterlagen sind ebenso unter der Internetadresse: https://www.saarburg-kell.de/bauen-wirtschaft/bauen-und-wohnen/bebauungsplaene/kirf/meurich/ veröffentlicht.

Hinweise:

Gemäß § 215 BauGB wird darauf hingewiesen, dass unbeachtlich werden

-

eine nach § 214 Abs. 1 Satz 1 Nrn. 1 bis 3 BauGB beachtliche Verletzung der dort bezeichneten Verfahrens- und Formvorschriften,

-

eine unter Berücksichtigung des § 214 Abs. 2 BauGB beachtliche Verletzung der Vorschriften über das Verhältnis des Bebauungsplans und des Flächennutzungsplans,

-

nach § 214 Abs. 3 Satz 2 BauGB beachtliche Mängel des Abwägungsvorgangs

wenn sie nicht innerhalb eines Jahres seit Bekanntmachung dieses Bebauungsplans schriftlich gegenüber der Ortsgemeinde Kirf unter Darlegung des die Verletzung begründenden Sachverhalts geltend gemacht worden sind. Satz 1 gilt entsprechend, wenn Fehler nach § 214 Abs. 2a BauGB beachtlich sind.

Auf die Vorschriften des § 44 Abs. 3 Satz 1 und 2 sowie Abs. 4 BauGB wird hingewiesen. Danach kann der Entschädigungsberechtigte Entschädigung verlangen, wenn die in den § 39 bis 42 BauGB bezeichneten Vermögensnachteile eingetreten sind. Er kann die Fälligkeit des Anspruchs dadurch herbeiführen, dass er die Leistung der Entschädigung schriftlich bei dem Entschädigungspflichtigen beantragt. Ein Entschädigungsanspruch erlischt, wenn nicht innerhalb von drei Jahren nach Ablauf des Kalenderjahrs, in dem die vorgenannten Vermögensnachteile eingetreten sind, die Fälligkeit des Anspruchs herbeigeführt wird.

Satzungen, die unter Verletzung von Verfahrens- oder Formvorschriften der Gemeindeordnung für Rheinland-Pfalz (GemO) und der hierzu ergangenen Rechtsvorschriften zustande gekommen sind, gelten ein Jahr nach der Bekanntmachung als von Anfang an gültig zustande gekommen. Dies gilt nicht, wenn

1.

die Bestimmungen über die Öffentlichkeit der Sitzung, die Genehmigung, die Ausfertigung oder die Bekanntmachung der Satzung verletzt worden sind, oder

2.

vor Ablauf der in Satz 1 genannten Frist die Kreisverwaltung Trier-Saarburg den Beschluss beanstandet oder jemand die Verletzung der Verfahrens- oder Formvorschriften gegenüber der Verbandsgemeindeverwaltung Saarburg-Kell oder dem Ortsbürgermeister der Ortsgemeinde Kirf geltend gemacht hat.

Hat jemand eine Verletzung nach Satz 2 Nr. 2 geltend gemacht, so kann nach Ablauf der in Satz 1 genannten Frist jedermann diese Verletzung geltend machen.

Sprechzeiten der Verbandsgemeindeverwaltung Saarburg-Kell:

(nur nach vorherige Terminvereinbarung)

- montags bis freitags von 8.30 - 12.00 Uhr

- donnerstags von 14.00 - 16.00 Uhr

- donnerstags (zusätzlich nach Vereinbarung) von 16.00 - 18.00 Uhr

Kirf, 10.06.2025
Ortsgemeinde Kirf
gez. Reinhold Anton, Ortsbürgermeister