Titel Logo
Nauheimer Gemeindespiegel
Ausgabe 23/2024
Amtliche Bekanntmachungen
Zurück zur vorigen Seite
Zurück zur ersten Seite der aktuellen Ausgabe

Öffentliche Bekanntmachung

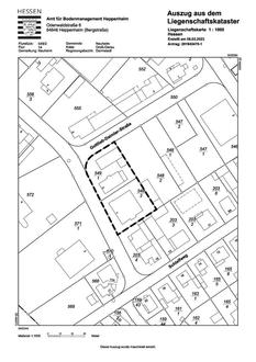
Abb.: Räumlicher Geltungsbereich des vorhabenbezogenen Bebauungsplanes „Adam-Opel-Straße / Gottlieb-Daimler-Straße“

Inkrafttreten des vorhabenbezogenen Bebauungsplans mit Vorhaben- und Erschließungsplan „Adam-Opel-Straße / Gottlieb-Daimler-Straße“

Die Gemeindevertretung der Gemeinde Nauheim hat gemäß § 10 Abs. 1 BauGB am 16.05.2024 in öffentlicher Sitzung den vorhabenbezogenen Bebauungsplan mit Vorhaben- und Erschließungsplan „Adam-Opel-Straße / Gottlieb-Daimler-Straße“ als Satzung beschlossen.

Mit dieser Bekanntmachung tritt der vorhabenbezogene Bebauungsplan mit Vorhaben- und Erschließungsplan „Adam-Opel-Straße / Gottlieb-Daimler-Straße“ gemäß § 10 Abs. 3 BauGB in Kraft.

Der Geltungsbereich des vorhabenbezogenen Bebauungsplanes „Adam-Opel-Straß / Gottlieb-Daimler-Straße“ liegt am westlichen Rand Nauheims und umfasst in der Flur 14 die Flurstücke Nr. 549/1 und 549/2. Das Plangebiet ist ca. 2.276 m² groß.

Der vorhabenbezogene Bebauungsplan kann einschließlich der Begründung ab sofort während der allgemeinen Dienststunden im Rathaus der Gemeinde Nauheim, Weingartenstraße 46-50 in 64569 Nauheim Fachdienst Bauen, Liegenschaften und Umwelt, auf der Internetseite der Gemeinde Nauheim (https://www.nauheim.de Bauen, Umwelt & Entwicklung Aktuelle Bebauungsvorhaben) und über das Zentrale Internetportal für die Bauleitplanung des Landes Hessen (https://bauleitplanung.hessen.de) eingesehen werden.

Jedermann kann den Bebauungsplan mit Begründung einsehen und über ihren Inhalt Auskunft verlangen.

Auf die Vorschriften des § 44 Abs. 3 Satz 1 und 2 BauGB über die Fälligkeit etwaiger Entschädigungsansprüche, deren Leistung schriftlich beim Entschädigungspflichtigen zu beantragen ist, und des § 44 Abs. 4 BauGB über das Erlöschen von Entschädigungsansprüchen, innerhalb von 3 Jahren nach Ablauf des Kalenderjahres in dem die in Abs. 3 Satz 1 bezeichneten Vermögensnachteile eingetreten sind, wird hingewiesen.

Es wird darauf hingewiesen, dass die Verletzung der in § 214 Abs. 1 Satz 1 Nr. 1 bis 3 BauGB bezeichneten Verfahrens- und Formvorschriften, eine unter Berücksichtigung des § 214 Abs. 2 BauGB beachtliche Verletzung der Vorschriften über das Verhältnis des Bebauungsplanes und des Flächennutzungsplanes und nach § 214 Abs. 3 Satz 2 BauGB beachtliche Mängel des Abwägungsvorgangs gemäß § 215 Abs. 1 Nr. 1 bis 3 BauGB nur beachtlich sind, wenn sie innerhalb von 1 Jahr seit dieser Bekanntmachung schriftlich gegenüber der Gemeinde geltend gemacht worden sind. Bei der Geltendmachung ist der Sachverhalt, der die Verletzung oder den Mangel begründen soll, darzulegen.

Nauheim
Für den Gemeindevorstand der
Gemeinde Nauheim
Roland Kappes, Bürgermeister