Titel Logo
Nauheimer Gemeindespiegel
Ausgabe 35/2022
Amtliche Bekanntmachungen
Zurück zur vorigen Seite
Zurück zur ersten Seite der aktuellen Ausgabe
-

Öffentliche Bekanntmachung

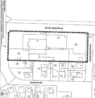
Abbildung 1: Lage des räumlichen Geltungsbereichs vorhabenbezogenen Bebauungsplans „Georg-Diehl-Straße, Goethestraße, Bleichstraße“ (unmaßstäblich)

Bauleitplanung der Gemeinde Nauheim

Vorhabenbezogener Bebauungsplan „Georg-Diehl-Straße, Goethestraße, Bleichstraße

hier: Beschluss über die Billigung des Bebauungsplanentwurfs sowie die Durchführung der Beteiligung der Öffentlichkeit gemäß § 3 Abs. 2 BauGB

Gemäß § 2 Abs. 1 Baugesetzbuch (BauGB) in der Fassung der Bekanntmachung vom 26. April 2022 (BGBl. I S. 674) wird hiermit bekannt gemacht, dass die Gemeindevertretung der Gemeinde Nauheim in ihrer öffentlichen Sitzung am 15.07.2021 die Aufstellung des vorhabenbezogenen Bebauungsplanes „Georg-Diehl-Straße, Goethestraße, Bleichstraße“ im beschleunigten Verfahren gemäß §§ 12 und 13a BauGB beschlossen hat.

Des Weiteren hat die Gemeindevertretung der Gemeinde Nauheim in ihrer öffentlichen Sitzung am 07.07.2022 den Entwurf des vorhabenbezogenen Bebauungsplans „Georg-Diehl-Straße, Goethestraße, Bleichstraße“ in der Fassung vom 09.05.2022 mit Vorhaben- und Erschließungsplan in der Fassung vom 16.06.2021 gebilligt und beschlossen, diesen im beschleunigten Verfahren gemäß § 13a BauGB in Verbindung mit § 3 Abs. 2 BauGB öffentlich auszulegen.

Der räumliche Geltungsbereich des vorhabenbezogenen Bebauungsplans „Georg-Diehl-Straße, Goethestraße, Bleichstraße“ umfasst mit den Flurstücken 29/15, 29/16 und 47/6 (teilweise) eine Fläche von 4.849 m² (0,48 ha) und liegt im nordwestlichen Randbereich der Gemeinde Nauheim.

Der Geltungsbereich ist auf dem beigefügten Lageplan dargestellt.

Ziele und Zwecke der Planung

Der östliche Bereich des Plangebietes wurde bislang zu Gewerbe-, Wohn- und Kulturzwecken genutzt. Auf dem Grundstück befindet sich derzeit noch ein ehemaliger Gebäudeteil der Sport- und Kulturvereinigung (SKV) Nauheim e.V., welcher rückgebaut werden soll. Der westliche Teilbereich des Plangebietes ist durch ein zweigeschossiges Gebäude bebaut, welches in Teilen vom Sport- und Kulturverein (SKV) Nauheim e.V. (Sporthalle und Büroräume) sowie einen Getränkemarkt im Erdgeschoss genutzt wird. Westlich unmittelbar an das Plangebiet angrenzend befindet sich auf der gegenüberliegenden Straßenseite der Königstädter Straße eine große Sportanlage mit mehreren Sportplätzen. Nördlich, östlich und südlich des Plangebietes ist die nähere Umgebung durch Wohnnutzungen geprägt. Nordwestlich des Plangebietes (an die Sportanlagen anschließend) befindet sich ein Waldgebiet.

Die zentrale Zielsetzung des Bebauungsplans besteht in der Schaffung einer planungsrechtlichen Grundlage zur Realisierung von Wohnnutzung im östlichen Bereich sowie der planungsrechtlichen Steuerung der vorhandenen Mischbebauung im westlichen Bereich. Dabei soll eine verträgliche städtebauliche Dichte gewährleistet werden. Auf dem östlichen Grundstück des Plangebietes soll durch einen privaten Investor eine dreigeschossige Wohnbebauung mit insgesamt 20 Wohneinheiten entstehen, welche durch Personal und Auszubildende von Pflegeeinrichtungen genutzt werden sollen. Fünf der Wohnungen sind als Sozialwohnungen vorgesehen, die von der Gemeinde belegt werden können.

Für das Plangebiet ist derzeit kein Bebauungsplan vorhanden. Der Bebauungsplan sieht die Festsetzung von Mischgebieten sowie von öffentlichen Verkehrsflächen vor und trifft Festsetzungen zum Maß der baulichen Nutzung sowie der Bauweise und der überbaubaren Grundstücksflächen. Außerdem werden Maßnahmen zur Sicherstellung einer Mindestdurchgrünung des Plangebietes festgesetzt.

Die Aufstellung des Bebauungsplanes „Georg-Diehl-Straße, Goethestraße, Bleichstraße“ erfolgt als vorhabenbezogener Bebauungsplan im beschleunigten Verfahren gemäß §§ 12 und 13a BauGB (Bebauungspläne der Innenentwicklung). Die Anwendungsvoraussetzungen für das beschleunigte Verfahren nach § 13a BauGB liegen vor, da der Bebauungsplan der Nachverdichtung dient, im Siedlungsbereich liegt und die maximale Grundfläche innerhalb des Plangebietes aufgrund der Größe des Geltungsbereichs von 4.849 m² weniger als 20.000 m² beträgt.

Im beschleunigten Verfahren wird von der Umweltprüfung nach § 2 Abs. 4 BauGB, von dem Umweltbericht nach § 2a BauGB, von der Angabe nach § 3 Abs. 2 Satz 2 BauGB, welche Arten umweltbezogener Informationen verfügbar sind, sowie von der zusammenfassenden Erklärung nach § 10a Abs. 1 BauGB abgesehen. § 4c BauGB ist nicht anzuwenden.

Der Entwurf des vorhabenbezogenen Bebauungsplans „Georg-Diehl-Straße, Goethestraße, Bleichstraße“ mit Vorhaben- und Erschließungsplan, die Begründung sowie die artenschutzrechtliche Potenzialanalyse, die schalltechnische Untersuchung und die verkehrstechnische Stellungnahme liegen in der Zeit von Montag, den 12.09.2022 bis einschließlich Freitag, den 14.10.2022 im Rathaus der Gemeinde Nauheim, Weingartenstraße 46-50 in 64569 Nauheim, Zimmer Nr. U 7, des Fachdienstes Bauen, Liegenschaften und Umwelt während der allgemeinen Dienstzeiten

Montag, Mittwoch, Freitag  —  von 8.00 Uhr bis 12.00 Uhr sowie

Donnerstag  — von 13.00 Uhr bis 18.00 Uhr

gemäß § 3 Abs. 1 BauGB zu jedermanns Einsicht aus.

Die Öffentlichkeit kann sich gemäß § 13a Abs. 3 Nr. 2 BauGB ab dem Zeitpunkt der Bekanntmachung über die allgemeinen Ziele und Zwecke sowie die voraussichtlichen wesentlichen Auswirkungen der Planung informieren und während des Zeitraumes der öffentlichen Auslegung zur Planung äußern. Jedermann hat das Recht, die Planungen während der Offenlegungszeit einzusehen und kann über den Inhalt Auskunft verlangen.

Während der Auslegungsfrist können Anregungen zu den Zielen und Zwecken der Planung beim Gemeindevorstand der Gemeinde Nauheim auf elektronischem Wege (formlose E-Mail mit Angaben von Name und Adresse) an sgruen@nauheim.de, schriftlich (formlos) oder innerhalb der Öffnungszeiten zur Niederschrift zu Protokoll gebracht werden. Da das Ergebnis der Behandlung der Stellungnahmen mitgeteilt wird, ist die Anschrift des Verfassers zweckmäßig.

Die auszulegenden Unterlagen stehen ergänzend im Internet auf der Internetseite der Gemeinde Nauheim (https://www.nauheim.de - Bauen, Umwelt, Entwicklung - Aktuelle Bebauungsvorhaben) und auf der Internetseite der Planergruppe ROB GmbH (www.planergruppe-rob.de unter „Beteiligungsverfahren“ (http://www.planergruppe-rob.de/beteiligungsverfahren/) zum Download bereit.

Es wird darauf hingewiesen, dass nicht fristgerecht während der Auslegungsfrist abgegebene Stellungnahmen bei der Beschlussfassung über den Bebauungsplan unberücksichtigt bleiben können.

Hinweis auf die Datenschutz-Grundverordnung (DSGVO)

Die Vorbereitung und Durchführung von Verfahrensschritten gemäß § 4b BauGB wurde auf die Planergruppe ROB, Schulstraße 6, 65824 übertragen.

Im Rahmen der Abgabe einer Stellungnahme werden personenbezogene Daten, insbesondere Name, Anschrift, Telefonnummer, E-Mail-Adresse, die allein zur Information über das durchgeführte Verfahren dienen, verarbeitet. Mit dieser Verarbeitung erklären Sie sich mit Abgabe einer Stellungnahme einverstanden. Sie willigen ein, dass die Gemeinde Nauheim oder das o.g. Planungsbüro Ihnen postalisch oder per E-Mail Informationen zum durchgeführten Verfahren zukommen lässt. Sie sind gemäß Art. 15 Datenschutz-Grundverordnung (DSGVO) jederzeit berechtigt, die Gemeinde Nauheim oder das o.g. Planungsbüro um umfangreiche Auskunftserteilung zu den zu Ihrer Person gespeicherten Daten zu ersuchen. Gemäß Art. 17 DSGVO können Sie jederzeit gegenüber der Gemeinde Nauheim oder von dem o.g. Planungsbüro die Berichtigung, Löschung und Sperrung einzelner personenbezogener Daten verlangen.

Nauheim, den 26.08.2022
Der Gemeindevorstand der Gemeinde Nauheim
in Vertretung: Rosalia Radosti
Erste Beigeordnete