Titel Logo
Riedstädter Nachrichten
Ausgabe 31/2023
Amtliche Bekanntmachungen
Zurück zur vorigen Seite
Zurück zur ersten Seite der aktuellen Ausgabe

Bauleitplanung der Stadt Riedstadt, Stadtteil Goddelau

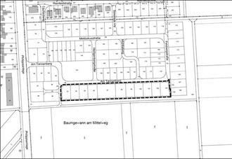
Abbildung genordet, ohne Maßstab

Bebauungsplan „Am Hohen Weg“ (2. Bauabschnitt) – 6. Änderung

Bekanntmachung des Aufstellungsbeschlusses gemäß § 2 Abs. 1 Baugesetzbuch (BauGB) und der Beteiligung der Öffentlichkeit gemäß § 3 Abs. 2 BauGB i.V.m. § 13 Abs. 2 Satz 1 Nr. 2 Halbsatz 2 BauGB

Die Stadtverordnetenversammlung der Stadt Riedstadt hat in ihrer Sitzung am 11.05.2023 gemäß § 2 Abs. 1 BauGB die Aufstellung des Bebauungsplanes „Am Hohen Weg“ (2. Bauabschnitt) – 6. Änderung als Textbebauungsplan ohne Planzeichnung im vereinfachten Verfahren nach § 13 BauGB ohne Durchführung einer Umweltprüfung nach § 2 Abs. 4 BauGB beschlossen. Der räumliche Geltungsbereich umfasst in der Gemarkung Goddelau Flur 9, die Flurstücke 93, 94, 95, 96, 97, 98, 99, 100, 101, 102 und 103. Die Lage und Abgrenzung des räumlichen Geltungsbereiches kann der nachfolgenden Übersichtskarte entnommen werden. Der Aufstellungsbeschluss wird hiermit bekanntgemacht.

Das Planziel der 6. Änderung des Bebauungsplanes ist ausschließlich die textliche Ergänzung der mit Rechtswirksamkeit des Bebauungsplanes „Am Hohen Weg“ (1. BA) – 7. Änderung und „Am Hohen Weg“ (2. BA) – 3. Änderung von 2012 für den Bereich des Plangebietes eingeführten textlichen Festsetzung der Höhenlage gemäß § 9 Abs. 3 Satz 1 BauGB, sodass die Grundstücke zum Zweck der Versickerung zwar grundsätzlich weiterhin bis zum festgesetzten Bezugspunktniveau aufzufüllen sind, aber in Richtung der südlichen Grundstücksgrenzen mit einem Gefälle der Geländeoberfläche der Baugrundstücke im Allgemeinen Wohngebiet von 15 % bis zu der Höhe von 89,83 m ü.NN, die der Oberkante der südlich der Grundstücksgrenzen auf dem städtischen Flurstück 108 (Gemarkung Goddelau, Flur 9) vorgelagert geplanten Winkelstützwand entspricht, abzuböschen sind. Alle sonstigen zeichnerischen und textlichen Festsetzungen des Bebauungsplanes „Am Hohen Weg“ (2. BA) – 1. Änderung von 2008 sowie des Bebauungsplanes „Am Hohen Weg“ (1. BA) – 7. Änderung und „Am Hohen Weg“ (2. BA) – 3. Änderung von 2012 sollen hingegen unverändert fortgelten.

Der Entwurf des Textbebauungsplanes wird in der Zeit von

Montag, dem 14.08.2023

bis einschließlich Montag, dem 18.09.2023

im Internet unter der Adresse www.riedstadt.de > Bürgerservice > Offenlagen > Bauleitplanung > Bebauungspläne veröffentlicht. Zusätzlich zur Veröffentlichung im Internet erfolgt eine öffentliche Auslegung der oben genannten Unterlagen in der Stadtverwaltung Riedstadt, Stadtteil Goddelau, Fachbereich Stadtentwicklung und Umweltplanung, FG Bauen, Rathausplatz 1, 64560 Riedstadt, auf dem Flur im 1. OG des Neubaus ab dem Zimmer 102, zu den allgemeinen Dienststunden der Verwaltung. In Ausnahmefällen sind auch andere Termine nach vorheriger Vereinbarung möglich.

Während der oben genannten Dauer der Veröffentlichungsfrist können Stellungnahmen abgegeben werden. Es wird darauf hingewiesen, dass Stellungnahmen elektronisch übermittelt werden sollen, bei Bedarf aber auch auf anderem Weg, zum Beispiel schriftlich, in Textform oder zur Niederschrift, abgegeben werden können. Die elektronische Abgabe von Stellungnahmen ist unter der E-Mail-Adresse j.bergmann@riedstadt.de möglich.

Es wird darauf hingewiesen, dass nicht fristgerecht abgegebene Stellungnahmen bei der Beschlussfassung über den Bauleitplan unberücksichtigt bleiben können und dass gemäß § 4b BauGB ein Planungsbüro mit der Durchführung des Verfahrens beauftragt wurde.

Riedstadt, den 4. August 2023
Der Magistrat
der Stadt Riedstadt
Marcus Kretschmann
Bürgermeister

Räumlicher Geltungsbereich des Bebauungsplanes „Am Hohen Weg“ (2. Bauabschnitt) – 6. Änderung