Titel Logo
Riedstädter Nachrichten
Ausgabe 51/2023
Amtliche Bekanntmachungen
Zurück zur vorigen Seite
Zurück zur ersten Seite der aktuellen Ausgabe

Bauleitplanung der Stadt Riedstadt, Stadtteil GoddelauBebauungsplan „Am Hohen Weg“ (2. Bauabschnitt) – 5. Änderung

Inkrafttreten des Bebauungsplanes

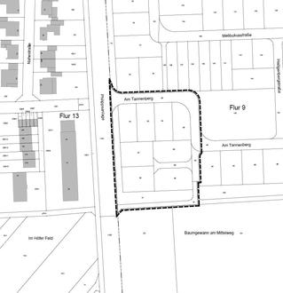
Die Stadtverordnetenversammlung der Stadt Riedstadt hat in ihrer Sitzung am 09.11.2023 den im vereinfachten Verfahren gemäß § 13 Baugesetzbuch (BauGB) ohne Umweltprüfung nach § 2 Abs. 4 BauGB aufgestellten Bebauungsplan „Am Hohen Weg“ (2. Bauabschnitt) – 5. Änderung gemäß § 10 Abs. 1 Baugesetzbuch (BauGB) sowie § 9 Abs. 4 BauGB i.V.m. § 91 Abs. 1 und 3 Hessische Bauordnung (HBO) und § 37 Abs. 4 Satz 2 und 3 Hessisches Wassergesetz (HWG) als Satzung beschlossen und die Begründung hierzu gebilligt. Der räumliche Geltungsbereich des Bebauungsplanes umfasst in der Gemarkung Goddelau, Flur 9, die Flurstücke 80 teilweise, 81, 82, 83, 84, 85, 86, 87, 88, 89, 90, 91 teilweise und 92. Die Abgrenzung des räumlichen Geltungsbereiches kann der nachfolgenden Übersichtskarte entnommen werden.

Mit der teilräumlichen Änderung des rechtswirksamen Bebauungsplanes „Am Hohen Weg“ (2. BA) – 1. Änderung von 2008 sowie des Bebauungsplanes „Am Hohen Weg“ (1. BA) – 7. Änderung und „Am Hohen Weg“ (2. BA) – 3. Änderung von 2012 werden auf Ebene der verbindlichen Bauleitplanung im Bereich östlich der Straße Philippsanlage sowie in Fortführung des westlich des Plangebietes bereits bestehenden Siedlungsrandes des Stadtteiles Goddelau die bauplanungsrechtlichen Voraussetzungen für die Errichtung einer viergeschossigen Wohnanlage zur Schaffung von gefördertem Wohnraum geschaffen. Darüber hinaus werden die bauplanungsrechtlichen Voraussetzungen für die Realisierung eines Rad- und Fußweges entlang des Verlaufes der Straße Philippsanlage geschaffen. Planziel ist die Ausweisung eines Allgemeinen Wohngebietes gemäß § 4 Baunutzungsverordnung (BauNVO). Ferner werden die Festsetzungen zu den überbaubaren Grundstücksflächen und zum Maß der baulichen Nutzung entsprechend der Planung angepasst. Entlang des Verlaufes der Straße Philippsanlage werden entsprechend der Planung Verkehrsflächen mit der besonderen Zweckbestimmung „Rad- und Fußweg“ festgesetzt. Den durch den Bebauungsplan vorbereiteten Eingriffen in Natur und Landschaft werden als Ausgleich entsprechende Punkte aus der städtischen Ökokontomaßnahme mit der Maßnahmenkennung 7bRie (Gemarkung Leeheim, Flur 7, Flurstück 2 teilweise) zugeordnet.

Der Bebauungsplan tritt mit dieser Bekanntmachung in Kraft.

Der Bebauungsplan und die Begründung hierzu werden in der in der Stadtverwaltung Riedstadt, Stadtteil Goddelau, Bauamt, Rathausplatz 1, 64560 Riedstadt, zu den allgemeinen Dienststunden der Verwaltung zu jedermanns Einsicht bereitgehalten. Über den Inhalt wird auf Verlangen Auskunft erteilt.

Gemäß § 215 BauGB wird darauf hingewiesen, dass eine nach § 214 Abs. 1 Satz 1 Nr. 1 bis 3 BauGB beachtliche Verletzung der dort bezeichneten Verfahrens- und Formvorschriften, eine unter Berücksichtigung des § 214 Abs. 2 BauGB beachtliche Verletzung der Vorschriften über das Verhältnis des Bebauungsplans und des Flächennutzungsplans und nach § 214 Abs. 3 Satz 2 BauGB beachtliche Mängel des Abwägevorgangs gemäß § 215 Abs. 1 BauGB unbeachtlich werden, wenn sie nicht innerhalb eines Jahres seit dieser Bekanntmachung schriftlich gegenüber der Gemeinde unter Darlegung des die Verletzung begründenden Sachverhalts geltend gemacht worden sind.

Gemäß § 44 Abs. 5 BauGB wird darauf hingewiesen, dass der Entschädigungsberechtigte nach § 44 Abs. 3 BauGB Entschädigung verlangen kann, wenn die in den §§ 39 bis 42 BauGB bezeichneten Vermögensnachteile eingetreten sind. Er kann die Fälligkeit des Anspruchs dadurch herbeiführen, dass er die Leistung der Entschädigung schriftlich bei dem Entschädigungspflichtigen beantragt. Nach § 44 Abs. 4 BauGB erlischt der Entschädigungsanspruch, wenn nicht innerhalb von drei Jahren nach Ablauf des Kalenderjahres, in dem die o.g. Vermögensnachteile eingetreten sind, die Fälligkeit des Anspruchs herbeigeführt wird.

Riedstadt, den 19.12.2023
Der Magistrat
der Stadt Riedstadt
Marcus Kretschmann
Bürgermeister