Titel Logo
Riedstädter Nachrichten
Ausgabe 51/2023
Amtliche Bekanntmachungen
Zurück zur vorigen Seite
Zurück zur ersten Seite der aktuellen Ausgabe

Bauleitplanung der Stadt Riedstadt, Stadtteil GoddelauBebauungsplan „Am Hohen Weg“ (2. Bauabschnitt) – 6. Änderung

Inkrafttreten des Bebauungsplanes

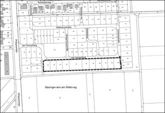
Die Stadtverordnetenversammlung der Stadt Riedstadt hat in ihrer Sitzung am 09.11.2023 den im vereinfachten Verfahren gemäß § 13 Baugesetzbuch (BauGB) ohne Umweltprüfung nach § 2 Abs. 4 BauGB aufgestellten Bebauungsplan „Am Hohen Weg“ (2. Bauabschnitt) – 6. Änderung (Textbebauungsplan ohne Planzeichnung) gemäß § 10 Abs. 1 BauGB als Satzung beschlossen. Der räumliche Geltungsbereich der 6. Änderung des Bebauungsplanes umfasst in der Gemarkung Goddelau, Flur 9, die Flurstücke 93, 94, 95, 96, 97, 98, 99, 100, 101, 102 und 103. Die Abgrenzung des räumlichen Geltungsbereiches kann der nachfolgenden Übersichtskarte entnommen werden.

Das Planziel der 6. Änderung des Bebauungsplanes ist ausschließlich die textliche Ergänzung der mit Rechtswirksamkeit des Bebauungsplanes „Am Hohen Weg“ (1. BA) – 7. Änderung und „Am Hohen Weg“ (2. BA) – 3. Änderung von 2012 für den Bereich des Plangebietes eingeführten textlichen Festsetzung der Höhenlage gemäß § 9 Abs. 3 Satz 1 BauGB. Alle sonstigen zeichnerischen und textlichen Festsetzungen des Bebauungsplanes „Am Hohen Weg“ (2. BA) – 1. Änderung von 2008 sowie des Bebauungsplanes „Am Hohen Weg“ (1. BA) – 7. Änderung und „Am Hohen Weg“ (2. BA) – 3. Änderung von 2012 gelten hingegen unverändert fort.

Der Bebauungsplan tritt mit dieser Bekanntmachung in Kraft.

Der Bebauungsplan wird in der in der Stadtverwaltung Riedstadt, Stadtteil Goddelau, Bauamt, Rathausplatz 1, 64560 Riedstadt, zu den allgemeinen Dienststunden der Verwaltung zu jedermanns Einsicht bereitgehalten. Über den Inhalt wird auf Verlangen Auskunft erteilt.

Gemäß § 215 BauGB wird darauf hingewiesen, dass eine nach § 214 Abs. 1 Satz 1 Nr. 1 bis 3 BauGB beachtliche Verletzung der dort bezeichneten Verfahrens- und Formvorschriften, eine unter Berücksichtigung des § 214 Abs. 2 BauGB beachtliche Verletzung der Vorschriften über das Verhältnis des Bebauungsplans und des Flächennutzungsplans und nach § 214 Abs. 3 Satz 2 BauGB beachtliche Mängel des Abwägevorgangs gemäß § 215 Abs. 1 BauGB unbeachtlich werden, wenn sie nicht innerhalb eines Jahres seit dieser Bekanntmachung schriftlich gegenüber der Gemeinde unter Darlegung des die Verletzung begründenden Sachverhalts geltend gemacht worden sind.

Gemäß § 44 Abs. 5 BauGB wird darauf hingewiesen, dass der Entschädigungsberechtigte nach § 44 Abs. 3 BauGB Entschädigung verlangen kann, wenn die in den §§ 39 bis 42 BauGB bezeichneten Vermögensnachteile eingetreten sind. Er kann die Fälligkeit des Anspruchs dadurch herbeiführen, dass er die Leistung der Entschädigung schriftlich bei dem Entschädigungspflichtigen beantragt. Nach § 44 Abs. 4 BauGB erlischt der Entschädigungsanspruch, wenn nicht innerhalb von drei Jahren nach Ablauf des Kalenderjahres, in dem die o.g. Vermögensnachteile eingetreten sind, die Fälligkeit des Anspruchs herbeigeführt wird.

Riedstadt, den 19.12.2023
Der Magistrat
der Stadt Riedstadt
Marcus Kretschmann
Bürgermeister