Titel Logo
Rathaus-Nachrichten Bitburg
Ausgabe 15/2024
Öffentliche Bekanntmachungen der Stadt Bitburg
Zurück zur vorigen Seite
Zurück zur ersten Seite der aktuellen Ausgabe

Öffentliche Bekanntmachung

Der Stadtrat der Stadt Bitburg hat in seiner Sitzung am 28. September 2023 den Beschluss gefasst, die 3. Änderung und Erweiterung des Bebauungsplanes Nr. 11 „Theobald Simon-, Rittersdorfer-, Kölnerstraße und Burgweg“ einzuleiten und den Bebauungsplan aufzustellen.

Das Bebauungsplanverfahren erfolgt im vereinfachten Verfahren gemäß § 13a BauGB.

Der Beschluss über die Einleitung des Bauleitplanverfahrens wird hiermit gemäß § 2 Abs. 1 BauGB ortsüblich öffentlich bekannt gemacht.

In gleicher Sitzung des Stadtrates der Stadt Bitburg wurde auch der Entwurf des Bebauungsplans gebilligt. Gemäß § 4b BauGB wurde das Planungsbüro ISU, Bitburg sowohl mit der Durchführung der Beteiligung der Öffentlichkeit gemäß § 3 Abs. 2 BauGB als auch mit der Beteiligung der Behörden und sonstigen Träger öffentlicher Belange gemäß § 4 Abs. 2 BauGB beauftragt. Gemäß § 4a Abs. 2 BauGB wird von der Möglichkeit Gebrauch gemacht, beide Verfahrensschritte gleichzeitig durchzuführen.

Gemäß § 13 Abs. 2 Satz 1 Nr. 1 BauGB wird hier von der frühzeitigen Unterrichtung und Erörterung nach § 3 Abs. 1 und § 4 Abs. 1 BauGB abgesehen.

Zweck der Aufstellung des Bebauungsplanes:

Im Zentrum der Stadt Bitburg, im Bereich an der Kölner Straße, beabsichtigt ein Investor die Errichtung eines neuen Wohngebäudes mit entsprechender Nachverdichtung. Der Geltungsbereich des zu ändernden und zu erweiternden Bebauungsplanes liegt in dem seit dem 07.09.1961 rechtsverbindlichen Bebauungsplan der Stadt Bitburg Nr. 11 -Bereich „Theobald-Simon-, Rittersdorfer-, Kölner Straße und Burgweg“. Die Begrenzung des seit 1961 rechtsverbindlichen Bebauungsplanes sowie die vorgegebenen Festsetzungen lassen die anvisierte Bebauung planungsrechtlich nicht zu. Durch die Änderung und Erweiterung des Bebauungsplans sollen Baurecht geschaffen und eine Nachverdichtung im Plangebiet ermöglicht werden.

Lage und Abgrenzung des Plangebietes:

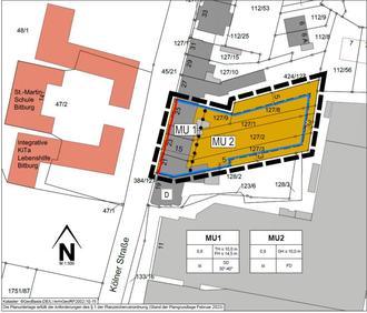
Der Geltungsbereich Bebauungsplans umfasst eine Fläche von ca. 2.093 m² auf den Flurstücken: 127/1, 127/2, 127/3, 127/8 und 127/9, in der Gemarkung 2957 Bitburg, Flur 4.

Die Abgrenzung des Geltungsbereiches ist in dem nachstehenden unmaßstäblichen Lageplan dargestellt.

Die parzellenscharfe Umgrenzung des Plangebietes kann der in der Stadtverwaltung zur Einsichtnahme bereitgehaltenen Planunterlage entnommen werden.

Beteiligung der Öffentlichkeit und öffentliche Auslegung der Planunterlagen:

Hiermit wird bekannt gemacht, dass der Entwurf der 3. Änderung und Erweiterung des Bebauungsplanes Nr. 11 „Theobald Simon-, Rittersdorfer-, Kölnerstraße und Burgweg“ der Stadt Bitburg, bestehend aus Planzeichnung M.: 1:500, den Textfestsetzungen der Begründung als Anlage im Rahmen der öffentlichen Auslegung des Planentwurfs gemäß § 13 Abs. 2 Satz 1 Nr. 2 BauGB auf die Dauer eines Monats in der Zeit vom

17.04.2024 bis 22.05.2024

bei der Stadtverwaltung Bitburg, Rathaus, Geschäftsbereich 3, Zimmer 301, Rathausplatz 3 - 4, 54634 Bitburg, während der Dienststunden jeweils in den Zeiten montags bis freitags von 8:30 Uhr bis 12:30 Uhr, montags bis mittwochs von 14:00 Uhr bis 16:00 Uhr und donnerstags von 14:00 Uhr bis 18:00 Uhr zu jedermanns Einsicht öffentlich ausliegt.

In begründeten Einzelfällen kann auf Antrag auch eine Übersendung der Unterlagen erfolgen (§ 3 Abs. 2 PlanSiG).

Sowohl diese öffentliche Bekanntmachung als auch die auszulegenden Planunterlagen sind zusätzlich über das Internetportal der Stadt Bitburg (www.bitburg.de) im Hauptmenü unter der Rubrik „Aktuell“ – „Aktuelle Meldungen“ – „Bauleitplanung“ für die Öffentlichkeit zu finden und entsprechend abrufbar.

Während dieser Auslegungsfrist kann sich die Öffentlichkeit über die allgemeinen Ziele und Zwecke sowie über die wesentlichen Auswirkungen der Planung unterrichten und sich zur Planung äußern bzw. Anregungen und Stellungnahmen zu den Festsetzungen des Bebauungsplanes vorbringen. Diese Stellungnahmen können schriftlich eingereicht werden (per Briefeinwurf, Postzustellung) oder per E-Mail an m.zimmermann@i-s-u.de gerichtet werden.

In diesem Zusammenhang wird darauf hingewiesen, dass die zum Bauleitplanverfahren abgegebenen Stellungnahmen in öffentlicher Sitzung der jeweils zuständigen städtischen Gremien beraten werden und somit personenbezogene Daten, soweit sie für das Bauleitplanverfahren erforderlich sind, den zuständigen städtischen Gremien und mithin der Öffentlichkeit zur Verfügung gestellt werden.

Gemäß § 13a Abs. 3 Satz 1 Nr. 1 BauGB wird ortsüblich bekannt gemacht, dass die Änderung des Bebauungsplanes im beschleunigten Verfahren ohne Durchführung einer Umweltprüfung nach § 2 Abs. 4 BauGB aufgestellt wird. Es handelt sich im vorliegenden Fall um Maßnahmen der Innenentwicklung. Die Umgebung des Geltungsbereichs ist bereits baulich geprägt. Die festzusetzende Grundfläche liegt bei unter 20.000 m².

Die nach Maßgabe des § 1 Abs. 6 Nr. 7b BauGB genannten Schutzgüter (FFH-Vogelschutzgebiet) werden nicht berührt. Anhaltspunkte für das bei der Planung Pflichten zur Vermeidung oder Begrenzung der Auswirkungen von schweren Unfällen nach § 50 BImSchG zu beachten sind liegen nicht vor. Das Kumulationsverbot (sachlicher, räumlicher und zeitlicher Zusammenhang mit anderen Bebauungsplänen) greift ebenfalls nicht.

Hiermit wird auch darauf hingewiesen, dass gemäß § 3 Abs. 2 Satz 4 Nr. 3 und § 4a Abs. 5 BauGB nicht fristgerecht abgegebene Stellungnahmen bei der Beschlussfassung über den Bauleitplan unberücksichtigt bleiben können, sofern die Gemeinde diesen Inhalt nicht kannte und nicht hätte kennen müssen und deren Inhalt für die Rechtmäßigkeit des Bebauungsplanes nicht von Bedeutung ist.

Stadtverwaltung Bitburg
Bitburg, 03.04.2024
Joachim Kandels
Bürgermeister