Titel Logo
Rathaus-Nachrichten Bitburg
Ausgabe 18/2024
Nachrichten und Mitteilungen der Stadt Bitburg
Zurück zur vorigen Seite
Zurück zur ersten Seite der aktuellen Ausgabe

Neue Verkehrsregelungen in der Krankenhausstraße

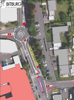
In der Krankenhausstraße stehen die Bauarbeiten kurz vor dem Abschluss. Am 29. und 30. April 2024 wird die Fahrbahndecke asphaltiert und am 02. und 03. Mai die Fahrbahnmarkierung aufgetragen. Der Kreuzungsbereich Krankenhausstraße / Albachstraße muss aufgrund von notwendigen Vorarbeiten bereits ab Freitag, 26.04.2024, voll gesperrt werden.

Wenn alles fertig ist, ergeben sich für alle Verkehrsteilnehmer merkliche Änderungen gegenüber der früheren Verkehrsregelung.

Die Fahrbahnbreite zwischen den Einmündungen Borenweg und Albachstraße beträgt in der Krankenhausstraße 9,50 Meter, was drei Fahrspuren entspricht. Deshalb wird der PKW-Verkehr auf die bisher ungenutzte Mittelspur geführt. So entstehen auf der Seite in Richtung Denkmalstraße fünf neue Parkplätze. Die Parkplätze sind gebührenpflichtig, der Parkschein muss am bestehenden Parkscheinautomat des benachbarten Parkplatzes gelöst werden.

Gegenüber dem Krankenhaus wird eine Querungsanlage für linksabbiegende Radfahrer ausgewiesen und mit roter Farbe deutlich markiert.

In der Albachstraße und im Borenweg werden im Einmündungsbereich zur Krankenhausstraße Querungshilfen für Fußgänger platziert.

Alle Verkehrsteilnehmer werden darum gebeten, sich mit den neuen Gegebenheiten vertraut zu machen und sich entsprechend der Beschilderung zu verhalten.