Titel Logo
Rathaus-Nachrichten Bitburg
Ausgabe 36/2025
Öffentliche Bekanntmachungen der Stadt Bitburg
Zurück zur vorigen Seite
Zurück zur ersten Seite der aktuellen Ausgabe

Öffentliche Bekanntmachung

Das Europäische Berufsbildungswerk (kurz Euro-BBW) beabsichtigt zur Sicherung der Bausubstanz und der Erhalt einer funktionsfähigen Gebäudesubstanz die Herstellung neuer Überdachungen der bestehenden Flachdachgebäude. Die geplanten Baumaßnahmen stehen teilweise im Widerspruch zu den bestehenden Festsetzungen des Bebauungsplans Nr. 60 „Schleifmühle / Europäisches Berufsbildungswerk“, die aus den vorgenannten Gründen einer Änderung unterzogen werden sollen.

Der Stadtrat der Stadt Bitburg hat in seiner Sitzung am 22.05.2025 den Beschluss gefasst, die 3. Änderung des Bebauungsplans Nr. 60 „Schleifmühle / Europäisches Berufsbildungswerk“ aufzustellen. Der Beschluss über die Einleitung des Bauleitplanverfahrens wird hiermit gemäß § 2 Abs. 1 BauGB ortsüblich öffentlich bekannt gemacht.

In gleicher Sitzung des Stadtrates am 22.05.2025 wurde auch der Entwurf des Bebauungsplans gebilligt sowie die Beteiligung der Öffentlichkeit nach § 3 Abs. 2 BauGB und Behörden sowie sonstigen Träger öffentlicher Belange nach § 4 Abs. 2 BauGB beschlossen.

Der Öffentlichkeit sowie den berührten Behörden und Träger öffentlicher Belange wird damit Gelegenheit zur Stellungnahme gegeben. Auch Kinder und Jugendliche sind Teil der Öffentlichkeit i.S.d. § 3 Abs. 2 BauGB.

Gemäß § 4b BauGB wurde die ISU GmbH, Bitburg sowohl mit der Durchführung der Beteiligung der Öffentlichkeit gemäß § 3 Abs. 2 BauGB als auch mit der Beteiligung der Behörden und sonstigen Träger öffentlicher Belange gemäß § 4 Abs. 2 BauGB beauftragt.

Gemäß § 4a Abs. 2 BauGB wird von der Möglichkeit Gebrauch gemacht, beide Verfahrensschritte gleichzeitig durchzuführen.

Das Bebauungsplanverfahren erfolgt im beschleunigten Verfahren gemäß § 13a BauGB als Bebauungsplan der Innenentwicklung. Im beschleunigten Verfahren wird gemäß § 13a Abs. 2 Nr. 1 in Verbindung mit § 13 Abs. 3 Satz 1 BauGB von der Umweltprüfung nach § 2 Abs. 4 BauGB, von dem Umweltbericht nach § 2a BauGB, von der Angabe nach § 3 Abs. 2 Satz 2 BauGB, welche Arten umweltbezogener Informationen verfügbar sind sowie von der zusammenfassenden Erklärung nach § 10a Abs. 1 BauGB abgesehen. Gemäß § 13 Abs. 2 Satz 1 Nr. 1 BauGB wird hier von der frühzeitigen Unterrichtung und Erörterung nach § 3 Abs. 1 und § 4 Abs. 1 BauGB abgesehen.

Es besteht bereits die Möglichkeit, sich nach Terminvereinbarung zunächst beim Planungsbüro ISU gemäß § 13a Abs. 3 Satz 1 Nr. 2 BauGB über die allgemeinen Ziele und Zwecke sowie die wesentlichen Auswirkungen der Planung zu informieren. Das Planungsbüro ISU ist während der allgemeinen Geschäftszeiten von montags bis freitags von 08:30 Uhr bis 12:30 Uhr und von 14:00 Uhr bis 16:30 Uhr unter der Telefonnummer 06561/9449-0 oder per Email unter info@i-s-u.de zu erreichen.

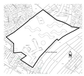
Lage und Abgrenzung des Plangebietes:

Der Geltungsbereich befindet sich im Osten der Kernstadt Bitburg an der Mötscher und Henry-Dunant-Straße. Er umfasst das Flurstück 136/5 in der Flur 6, Gemarkung Bitburg.

Die Abgrenzung des Geltungsbereiches ist der nachfolgenden Abbildung zu entnehmen. Die inhaltlichen Änderungen beziehen sich jedoch allein auf die textlichen Festsetzungen. Änderungen der Planzeichnung oder der Abgrenzung des Geltungsbereichs des bestehenden Bebauungsplans Nr. 60 „Schleifmühle / Europäisches Berufsbildungswerk“ werden nicht vorgenommen.

Beteiligung der Öffentlichkeit und öffentliche Auslegung der Planunterlagen:

Hiermit erfolgt die Bekanntmachung der Öffentlichkeitsbeteiligung gemäß § 3 Abs. 2 BauGB. Die Öffentlichkeitsbeteiligung findet in Form einer Veröffentlichung der Unterlagen auf der Internetseite der Stadt Bitburg statt. Die Entwurfsunterlagen zum Bebauungsplan werden in der Zeit vom

08. September 2025 bis einschließlich 10. Oktober 2025

im Internet auf der Seite der Stadt Bitburg www.bitburg.de (im Hauptmenü siehe „Aktuelles {{gt}}Bauleitplanung“) veröffentlicht.

Der Entwurf des Bebauungsplans besteht aus:

  1. Textfestsetzungen,
  2. Begründung (städtebaulicher Teil) mit Darlegung der allgemeinen Ziele und Auswirkungen des Bebauungsplans.

Die vorgenannten Unterlagen werden als zusätzliches Informationsangebot in diesem Zeitraum bei den nachfolgenden Stellen während der genannten Dienststunden zur Einsichtnahme ausgelegt:

Stadtverwaltung Bitburg, Rathaus, Geschäftsbereich 3, Zimmer 301, Rathausplatz 3-4, 54634 Bitburg, während der Dienststunden i.d.R. jeweils in den Zeiten montags bis freitags von 8:30 Uhr bis 12:30 Uhr, montags bis mittwochs von 14:00 Uhr bis 16:00 Uhr und donnerstags von 14:00 Uhr bis 18:00 Uhr.

In begründeten Einzelfällen kann auf Antrag auch eine Übersendung der Unterlagen erfolgen (§ 3 Abs. 2 PlanSiG).

Darüber hinaus wird die Planung in das zentrale Internetportal des Landes unter https://geoportal.rlp.de eingestellt.

Während der Auslegungsfrist können Stellungnahmen zur Planung bei den oben genannten Stellen vorgebracht werden. Darüber hinaus können Stellungnahmen schriftlich eingereicht (per Briefeinwurf, Postzustellung) oder per E-Mail an m.zimmermann@i-s-u.de gerichtet werden.

Es wird zudem darauf hingewiesen, dass gemäß § 3 Abs. 2 S. 4 Nr. 3 und § 4a Abs. 5 BauGB nicht während der Veröffentlichungsfrist abgegebene Stellungnahmen bei der Beschlussfassung über den Bebauungsplan unberücksichtigt bleiben können, soweit die Stadt Bitburg deren Inhalt nicht kannte und nicht hätte kennen müssen und deren Inhalt für die Rechtmäßigkeit des Bebauungsplans nicht von Bedeutung ist (§ 4a Abs. 6 i.V.m. § 3 Abs. 2 S. 2 BauGB).

Darüber hinaus wird darauf hingewiesen, dass die zum Bauleitplanverfahren abgegebenen Stellungnahmen in öffentlicher Sitzung der jeweils zuständigen städtischen Gremien beraten werden und somit personenbezogene Daten, soweit für das Bauleitplanverfahren erforderlich, den zuständigen städtischen Gremien und mithin der Öffentlichkeit zur Verfügung gestellt werden.

Bitburg, 26. August 2025
Joachim Kandels
Bürgermeister