Nr. 115 Bereich „In Burgeich – Sondergebiet Photovoltaik“ im Stadtteil Matzen
- Beteiligung der Öffentlichkeit gemäß § 3 Abs. 2 BauGB -
Verfahrensablauf
Die Stadt Bitburg beabsichtigt auf der Gemarkung Matzen einen Bebauungsplan als planungsrechtliche Voraussetzung für die Errichtung einer erdgebundenen Photovoltaikanlage gemäß den Vorschriften des Baugesetzbuches aufzustellen.
Der Stadtrat der Stadt Bitburg hat in seiner Sitzung am 20.07.2023 in öffentlicher Sitzung den Aufstellungsbeschluss gemäß § 2 Abs. 1 BauGB für den Bebauungsplan Nr. 115 Bereich „In Burgeich – Sondergebiet Photovoltaik“ gefasst.
In öffentlicher Sitzung am 30.10.2024 hat der Stadtrat der Stadt Bitburg über die eingegangenen Stellungnahmen aus der frühzeitigen Beteiligung der Öffentlichkeit gem. § 3 Abs. 1 BauGB sowie der frühzeitigen Beteiligung der Behörden und sonstigen Träger öffentlicher Belange gem. § 4 Abs. 1 BauGB beraten. In gleicher Sitzung wurde der Planentwurf gebilligt sowie die Beteiligung der Öffentlichkeit nach § 3 Abs. 2 BauGB beschlossen. Der Öffentlichkeit sowie den berührten Behörden und Trägern öffentlicher Belange wird damit gemäß § 3 Abs. 2 und § 4 Abs. 2 BauGB Gelegenheit zur Stellungnahme gegeben. Auch Kinder und Jugendliche sind Teil der Öffentlichkeit im Sinne des § 3 Abs. 2 BauGB.
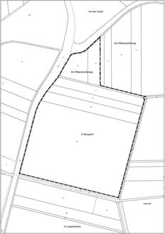
Lage und Abgrenzung des Plangebietes
Der räumliche Geltungsbereich liegt am westlichen Rand der Gemarkung Matzen, unmittelbar östlich der Landesstraße L 32 Richtung Pützhöhe. Das Plangebiet besitzt eine Gesamtfläche von rd. 14,5 ha und beinhaltet folgende Flächen:
Gemarkung Matzen, Flur 9, Flurstücke: 45 (tlw.), 68, 69, 70, 71, 72 73.
Die Abgrenzung des Geltungsbereiches ist der nachfolgenden Abbildung zu entnehmen. Die parzellenscharfe Umgrenzung des Plangebietes kann den zur Einsichtnahme bereitgehaltenen Unterlagen entnommen werden.
Verfügbarkeit umweltbezogener Informationen
Gemäß § 3 Abs. 2 S. 2 BauGB wird hiermit bekannt gemacht, dass folgende umweltbezogene Informationen und Unterlagen verfügbar sind:
Umweltbericht gemäß § 2 Abs. 4 S. 1 BauGB als Teil der Begründung zum Bebauungsplan mit ermittelten und bewerteten Belangen des Umweltschutzes, einschließlich der Berücksichtigung der Eingriffe in Natur und Landschaft (erstellt durch ISU GmbH, Stand: 12/2024). Die Landschaftsplanung/Grünordnungsplanung ist im vorliegenden Umweltbericht enthalten.
Um die Belange des Umweltschutzes nach § 1 Abs. 6 Nr. 7 und § 1a BauGB ausreichend zu berücksichtigen, wurde nach § 2 Abs. 4 und § 2a S. 2 Nr. 2 BauGB eine Umweltprüfung durchgeführt. Die darin ermittelten und bewerteten voraussichtlichen erheblichen Umweltauswirkungen werden im vorliegenden Umweltbericht beschrieben. Das Ergebnis der Umweltprüfung ist in der Abwägung zu berücksichtigen.
Die Abarbeitung der Eingriffsregel nach § 1a Abs. 3 BauGB i.V.m. § 18 Abs. 1 BNatSchG wird dabei in den Umweltbericht integriert. Insbesondere sind dabei die Beeinträchtigungen von Natur und Landschaft zu berücksichtigen und Aussagen zur Vermeidung, Verminderung und Ausgleich – zur Kompensation der Beeinträchtigungen – zu entwickeln. Um das Konfliktpotenzial mit dem Artenschutz zu beurteilen, wurde im Rahmen der Umweltprüfung ebenfalls eine artenschutzrechtliche Vorprüfung (ASP, ISU GmbH, Stand: 12/2022) durchgeführt. Hierzu wurden die örtlichen Biotop- und Nutzungstypen überprüft und ermittelt, ob durch den Bebauungsplan potenzielle Lebensstätten und Populationen planungsrelevanter Tierarten betroffen sein können. Weiterhin wurde eine Archäologische Prospektion mit Magnetik (GeoFact GmbH, 10/2024) durchgeführt. Diese dient der Ortung möglicher anthropogener Strukturen (z.B. römische Siedlungsreste) im Untergrund des Plangebietes. Bisherige Vermutungen auf einen örtlichen Verlauf der ‚römischen Langmauer‘ wurden damit gutachterlich ausgeschlossen.
Der Umweltbericht beschreibt und bewertet im Wesentlichen den Bestand des Umweltzustands, einschließlich der Auswirkungen auf die Schutzgüter Fläche, Boden und Wasser, Klima/Luft, Fauna/besonderer Artenschutz, Biotopschutz, Landschaft/naturbezogene Erholung, Mensch sowie Kulturgüter und sonstige Sachgüter.
Zudem liefert der Umweltbericht eine Prognose über die Entwicklung des Umweltzustandes bei Durchführung bzw. Nichtdurchführung der Planung.
Fläche: Im Plangebiet besteht derzeit keine vorbelastende Versiegelung (landwirtschaftliche Nutzung). Durch Aufständerung von PV-Modultischen (Fundamente), Nebenanlagen sowie den Wirtschaftsweg ist eine Versiegelung von bis zu ca. 6.600 m² (0,66 ha) möglich, womit erhebliche Beeinträchtigungen besonderer Schwere zu erwarten sind. Durch eine biotopentwickelnde Kompensation (Grünlandextensivierung, Heckenpflanzungen) im Umfang von insgesamt ca. 13,4 ha wird der schutzgutbezogene Bedarf mehr als deutlich (über)kompensiert.
Boden: Die örtlichen Böden sind nicht von besonders schutzbedürftiger Bedeutung. Derzeit besteht jedoch vor allem nutzungsbedingt eine teils hohes Erosions- und sogar Rutschgefährdung, insbesondere nach extremen Starkregenereignissen. Hierin sind die der Planung auferlegten Extensivierungsmaßnahmen naturschutz- und umweltfachlich begründet.
Wasser: Das Plangebiet liegt in der Zone II des im Entwurf befindlichen Wasserschutzgebietes ‚Bitburg – Königswäldchen‘, wobei hierdurch jedoch keine Versagensgründe gegenüber dem Betrieb der PV-Anlage begründet werden. Weitere Gewässer sind örtlich nicht berührt. Eine potenzielle Verbesserung des Grundwassergefährdungspotenzials sowie des Oberflächenabflusses durch die geplante dauerhafte Grünlandextensivierung ist realistisch.
Klima/Luft: „Flächen mit günstiger lufthygienischer oder klimatischer Wirkung wie Frisch- und Kaltluftentstehungsgebiete oder Luftaustauschbahnen“ (§ 1 Abs. 3 Nr. 4 BNatSchG) werden nicht tangiert; Ebenso findet aufgrund der bestehenden landwirtschaftlichen Überprägung der Böden keine wesentliche Beeinträchtigung von Treibhausgassenken/-speichern statt. Insgesamt ist von keiner erheblichen Beeinträchtigung des Schutzgutes auszugehen, vielmehr wirkt sich das Vorhaben positiv, auch auf das überörtliche Klima, aus.
Fauna/besonderer Artenschutz: Im Zuge der ASP wurde herausgestellt, dass erhebliche Konflikte mit dem Besonderen Artenschutz nicht zu erwarten sind. Im Plangebiet ist allerdings von möglichen Feldlerchenbruten auszugehen. Daher werden externe Maßnahmen (CEF-Maßnahmen Feldlerche) zu dessen Schutz ergriffen, die bereits vor Bau der PV-Anlage anzulegen sind.
Biotopschutz: Die örtliche Ackernutzung ist derzeit sehr intensiv (teilw. Maisanbau). Nördlich grenzt ein geschützter Streuobstbestand (außerhalb) auf extensiv genutztem artenreichen Grünland an. Südlich befindet sich ein schmaler, derzeit intensiv genutzter Wiesenstreifen. Weiterhin befinden sich außerhalb heimische Hecken oder sonstige geschlossene Gehölzstrukturen (außerhalb).
Landschaft/naturbezogene Erholung: Das Plangebiet ist vorwiegend kulturhistorisch geprägt und verfügt damit nur über eine mäßige landschaftsästhetische Eignung. Angrenzende geschlossene heimische Gehölzbestände sowie Streuobstbestände mit Wertigkeit für die naturbezogene Erholung befinden sich sämtlich außerhalb des Plangebietes. Die derzeit stattfindende intensive landwirtschaftliche Nutzung wird als teils sehr beeinträchtigend, zumindest geringwertig empfunden. Aufgrund der Topographie besteht eine hohe Einsehbarkeit der PV-Vorhabenfläche, allerdings abseits von Siedlungsbereichen. Südlich und östlich grenzt ein Radweg an. Aufgrund der westlich angrenzenden L 32 ist eine signifikante Vorbelastung durch Lärm, Unruhe und räumliche Trennwirkung gegeben.
Mensch: Blendwirkungen sind durch die PV-Anlagen nicht zu erwarten; Gleiches gilt für mögliche Konflikte durch Lärm (z.B. durch Trafostationen). Mögliche Beeinträchtigungen durch Gerüche, Erschütterungen und/oder Schaftstoffe sind vorhabenbezogen ausgeschlossen. Auch Bodenbelastungen/Altlasten sowie schwere Unfälle oder Katastrophen (auch i.S.d. Störfall-Verordnung) sind nicht zu erwarten.
Kulturgüter und sonstige Sachgüter: Forstliche Waldbelange und hochwertige landwirtschaftliche Nutzflächen (Vorrang- und Vorbehaltsgebiete der Landwirtschaft) werden nicht berührt. Ein besonderes ‚kulturelles Erbe‘ oder erheblich vorrangiger Kulturlandschaftsschutz ist örtlich nicht gegeben. Zum außerhalb angrenzenden Streuobstbestand werden grünordnerische Schutzabstände eingehalten.
Die möglichen langfristigen Auswirkungen der Bauleitplanung auf die Umwelt sollen später überwacht werden; hierzu werden bereits jetzt entsprechend geplante Überwachungsmaßnahmen zur regelmäßigen Überprüfung der Naturschutz-Eingriffsregelung und des Besonderen Artenschutzes sowie zur Überwachung sonstiger, insbesondere derzeit nicht vorhersehbarer nachteiliger Umweltauswirkungen festgelegt.
Umweltbezogene Stellungnahmen der Behörden und sonstigen Träger öffentlicher Belange
Neben diesen umweltbezogenen Unterlagen liegen der Stadt Bitburg auch folgende umweltbezogene Stellungnahmen gemäß § 3 Abs. 2 S. 1 BauGB vor. Diese wurden nach Themenblöcken zusammengefasst und schlagwortartig charakterisiert:
Frühzeitige Beteiligung nach § 4 Abs. 1 BauGB (‚Scoping‘):
Wasser, Abwasserbeseitigung, Oberflächenwasser, Niederschlagswasserbeseitigung:
| • | Schreiben der Stadtwerke Bitburg, 01.12.2023: | |
| - | Betroffenheit eines Wasserschutzgebietes Zone II |
| - | Keine Trinkwasser- und Schmutzwasserentsorgung zum PV-Vorhaben erforderlich |
| - | Örtliche Versickerung des Niederschlagswassers unter Beibehaltung der derzeitigen Ableitungswege in Richtung Matzen |
| • | Schreiben der Struktur- und Genehmigungsdirektion Nord, Regionalstelle Wasser/Abfall/Bodenschutz, 12.01.2024: | |
| - | Lage im WSG-Zone II ‚Bitburg-Königswäldchen‘; im Hinblick hierzu aber keine Versagensgründe gegenüber dem PV-Vorhaben |
| - | Keine schädlichen Verunreinigungen von Grund- und Rohwasser bei Berücksichtigung der Nebenbestimmungen zu erwarten |
| - | Hinweise auf zu beachtende Richtlinien/Auflagen zum Umgang mit wassergefährdenden Stoffen |
| - | Beschreibung der örtlichen Starkregensituation/Sturzfluten und Möglichkeiten zur Verbesserung des Oberflächenabflusses |
| • | Schreiben der Kreisverwaltung des Eifelkreises Bitburg-Prüm, 03.01.2024: | |
| - | Berücksichtigung wasserschutzfachlicher Vorgaben und Abstimmung mit zuständigen Wasserwirtschaftsverwaltungen |
| - | Keine unmittelbare Betroffenheit oberirdischer Gewässer |
| - | Lage im Bereich Zone II des WSG ‚Bitburg-Königswäldchen‘ |
| - | Hinweis auf angrenzende Gewässer dritter Ordnung und damit verbundene Vorgaben im Zuge der Verlegung von Erdkabeln |
| - | Hinweise zum Oberflächenabfluss sowie auf zu berücksichtigende Verordnungen (AWSV) bei Lagerung und Verwendung wassergefährdender Stoffe |
| Abfallwirtschaft, Bodenschutz, Altlasten: | ||
| • | Schreiben der Struktur- und Genehmigungsdirektion Nord, Regionalstelle Wasser/Abfall/Bodenschutz, 12.01.2024: | |
| - | Keine Altablagerungen, Rüstungsaltstandorte, militärische Altstandorte oder gewerblich-industrielle Altstandorte kartiert |
| Boden, Baugrund, Bergbau, Denkmalschutz: | ||
| • | Schreiben der Generaldirektion Kulturelles Erbe RLP, Landesmuseum, 23.01.2024: | |
| - | Verweis auf im Plangebiet vermutete ‚römische Langmauer‘; Forderung archäologischer Sachverhaltsermittlung durch geophysikalische Prospektion |
| • | Schreiben des Landesamtes für Geologie und Bergbau, 20.12.2023: | |
| - | Kein Altbergbau dokumentiert und kein stattfindender Bergbau unter Bergaufsicht |
| - | Hinweise zum Aufbau des Untergrundes; Empfehlung einer gutachterlichen Begleitung bei baulichen Bodeneingriffen |
| - | Allgemeine Hinweise (z.B. geltende Normen) zu Boden und Baugrund sowie Geologie |
| - | Keine Einwände aus rohstoffgeologischer Sicht |
| - | Hinweise zum Geologiedatengesetz |
| • | Schreiben des Vermessungs- und Katasteramtes Westeifel-Mosel, 05.01.2024: | |
| - | Lage im Bereich des laufenden Unternehmens-Flurbereinigungsverfahren „Nord-Ost-Tangente Bitburg“ und sich damit ändernde Flurstücksbezeichnungen |
| • | Schreiben der Stadtverwaltung Bitburg, Bauverwaltung/Liegenschaften, 09.01.2024: | |
| - | Hinweise zur Bezeichnung der Flurstücke aufgrund Flurbereinigungsverfahren |
| - | Hinweise zu vertraglichen Regelungen bei notwendigen naturschutzrechtlichen Ausgleichsmaßnahmen sowie zu einer Rückbauverpflichtung |
| • | Schreiben der Kreisverwaltung des Eifelkreises Bitburg-Prüm, 03.01.2024: | |
| - | Hinweise zur Aktualisierung des Katasters; Überprüfung der Flächenverfügbarkeit aufgrund des Flurbereinigungsverfahrens |
| - | Anregung zur vertraglichen Vereinbarung einer Rückbauverpflichtung nach dauerhafter Aufgabe der Anlage |
| - | Empfehlung zur Untersuchung des Plangebietes durch geophysikalische Prospektion |
| - | Hinweise zum Umgang mit Bodenfunden sowie bestehender Bodenerosionsgefährdung |
| • | Schreiben des Dienstleistungszentrums Ländlicher Raum, 05.12.2023: | |
| - | Lage im Bereich des laufenden Unternehmens-Flurbereinigungsverfahren „Nord-Ost-Tangente Bitburg“ und sich damit ändernde Flurstücksbezeichnungen |
| - | Keine Bedenken aus Sicht der Bodenordnung |
| Immissionsschutz: | ||
| • | Schreiben des Landesbetrieb Mobilität, 27.12.2023: | |
| - | Ausschluss von Blendgefahr durch die PV-Anlage in Richtung klassifizierter Straßen |
| • | Schreiben der Struktur- und Genehmigungsdirektion Nord, Regionalstelle Gewerbeaufsicht, 20.12.2023: | |
| - | Keine immissionsschutzrechtlichen Konflikte zu erwarten (Blendwirkung, Lärm) |
| • | Schreiben der Kreisverwaltung des Eifelkreises Bitburg-Prüm, 03.01.2024: | |
| - | Zwingender Ausschluss von Blendwirkungen erforderlich |
| Naturschutz und Landespflege: | ||
| • | Schreiben der Deutschen Telekom Technik GmbH, 04.12.2023: | |
| - | Hinweis auf neben dem Plangebiet an der L 32 verlaufende Telekommunikationslinien mit Schutzstreifen und damit einzuhaltende Abstände bei Errichtung baulicher Anlagen sowie geplanten Baumpflanzungen |
| • | Schreiben des Dienstleistungszentrums Ländlicher Raum, 05.12.2023: | |
| - | Inanspruchnahme landwirtschaftlicher Flächen und dessen Kompensation |
| - | Berücksichtigung der Auswirkungen der Planung auf die örtlichen wirtschaftenden Betriebe |
| • | Schreiben der Industrie- und Handelskammer Trier, 05.01.2024: | |
| - | Verträgliche Einbindung des Plangebietes in das Landschaftsbild durch geeignete Umpflanzung im Hinblick auf die Belange der Tourismuswirtschaft |
| • | Schreiben der Kreisverwaltung des Eifelkreises Bitburg-Prüm, 03.01.2024: | |
| - | Allgemeiner Hinweis auf noch ausstehenden Umweltbericht und Grünordnungsplan |
| - | Ableitung von artenschutzrechtlich erforderlichen Maßnahmen entweder auf Basis einer avifaunistischen Erfassung oder auf Basis eines ‚Worst-Case-Szenarios‘ |
| - | Ergänzung textlicher Festsetzungen zum Abtransport des Mahdgutes |
| - | Ergänzung textlicher Festsetzung zur Einzäunung in Verbindung mit Anpflanzungen und Stacheldraht |
| - | Ausarbeitung erforderlicher externer CEF-Maßnahmen und deren dauerhafte vertragliche Absicherung |
| - | Anregung zu notwendigen Abständen zum angrenzenden Feldgehölz |
| - | Anmerkung zu festgesetzten Ausgleichmaßnahmen |
| - | Erfassung im Landeskompensationsflächenverzeichnis |
| - | Einbindung des Plangebietes in die umgebenden Landschaft aufgrund der Lage der Fläche in einem Vorranggebiet mit guter Eignung für Landschaftsbezogene Freizeit und Erholung |
| • | Schreiben des Landesbetriebes Mobilität, 27.12.2023: | |
| - | Berücksichtigung bestehender Richtlinien bei eventuellen Bepflanzungen entlang der L 32 und Einzäunung des Geländes |
| - | Berücksichtigung der RAL bei Anpflanzungen zur Einhaltung ausreichender Sichtflächen |
| Landwirtschaft, Jagd: | ||
| • | Schreiben der Landwirtschaftskammer, 11.01.2024: | |
| - | Verweis auf Grundsatz 166 des LEP IV zur vorrangigen Ausschöpfung alternativer Möglichkeiten für PV-Anlagen |
| - | Kritik an Inanspruchnahme sehr gut nutzbarer landwirtschaftlicher Flächen; Lage innerhalb eines landesweit bedeutsamen Bereichs für Landwirtschaft |
| - | Konflikt mit Darstellung im rechtskräftigen FNP |
| - | Konflikt mit besonderer Funktion Landwirtschaft der Stadt Bitburg (RRoP) |
| - | Kein ertragsschwacher Standort, wie im LEP IV gefordert |
| - | Keine flächenschonende Planung; Ignorieren des örtlich hohen Flächendrucks für Landwirte |
| - | Inanspruchnahme des landwirtschaftlichen Wegenetzes |
| - | Möglichkeiten zur Rückführung der Flächen nach Ablauf der PV-Nutzung |
| • | Schreiben der Stadtverwaltung Bitburg, Abt. Jagdgenossenschaft, 22.01.2024: | |
| - | Auswirkung der baulichen Anlage auf die Qualität der jagdlichen Nutzbarkeit des Reviers |
| - | Jagdwertminderung und finanzieller Ausgleich |
| - | Abstände zum Waldrand |
| • | Schreiben der Kreisverwaltung des Eifelkreises Bitburg-Prüm, 03.01.2024: | |
| - | Berücksichtigung der Belange der Landwirtschaft im Planverfahren |
| Von der Öffentlichkeit wurden keine Stellungnahmen gemäß § 3 Abs. 1 BauGB abgegeben. | ||
Öffentliche Auslegung der Planunterlagen
Hiermit erfolgt die Bekanntmachung der Öffentlichkeitsbeteiligung gem. § 3 Abs. 2 BauGB. Die Öffentlichkeitsbeteiligung findet in Form einer Veröffentlichung der Unterlagen auf der Internetseite der Stadt Bitburg statt.
Die Entwurfsunterlagen zum Bebauungsplan werden in der Zeit vom
05.03.2025 bis einschließlich 07.04.2025
im Internet auf der Seite der Stadt Bitburg www.bitburg.de (siehe unter „Bürgerservice“ –„Bauleitplanung“ – „Bebauungspläne“) veröffentlicht.
| Der Entwurf des Bebauungsplans besteht aus: | |
| 1. | Planurkunde mit zeichnerischen Festsetzungen, |
| 2. | Textfestsetzungen als separate Fassung, |
| 3. | Begründung (städtebaulicher Teil) mit Darlegung der allgemeinen Ziele und Auswirkungen des Bebauungsplans, |
| 4. | Umweltbericht mit Grünordnungsplan (Biotop- und Nutzungstypen), |
| 5. | Artenschutzrechtliche Prüfung, |
| 6. | CEF-Maßnahmen (Feldlerche) sowie |
| 7. | Gutachten zur archäologischen Prospektion mit Magnetik. |
Die vorgenannten Unterlagen werden als zusätzliches Informationsangebot in diesem Zeitraum bei den nachfolgenden Stellen während der genannten Dienststunden zur Einsichtnahme ausgelegt:
Stadtverwaltung Bitburg, Rathaus, Geschäftsbereich 3, Zimmer 301, Rathausplatz 3-4, 54634 Bitburg, während der Dienststunden in der Regel jeweils in den Zeiten montags bis freitags von 8:30 Uhr bis 12:30 Uhr, montags bis mittwochs von 14:00 Uhr bis 16:00 Uhr und donnerstags von 14:00 Uhr bis 18:00 Uhr.
In begründeten Einzelfällen kann auf Antrag auch eine Übersendung der Unterlagen erfolgen (§ 3 Abs. 2 PlanSiG).
Darüber hinaus wird die Planung in das zentrale Internetportal des Landes unter https://geoportal.rlp.de eingestellt.
Während der Auslegungsfrist können Stellungnahmen zur Planung bei den oben genannten Stellen vorgebracht werden. Darüber hinaus können Stellungnahmen schriftlich eingereicht (per Briefeinwurf, Postzustellung) oder per E-Mail an stadtentwicklung@stadt.bitburg.de gerichtet werden.
Es wird zudem darauf hingewiesen, dass gemäß § 3 Abs. 2 S. 4 Nr. 3 und § 4a Abs. 5 BauGB nicht während der Veröffentlichungsfrist abgegebene Stellungnahmen bei der Beschlussfassung über den Bebauungsplan unberücksichtigt bleiben können, soweit die Stadt Bitburg deren Inhalt nicht kannte und nicht hätte kennen müssen und deren Inhalt für die Rechtmäßigkeit des Bebauungsplans nicht von Bedeutung ist (§ 4a Abs. 6 i.V.m. § 3 Abs. 2 S. 2 BauGB).
Darüber hinaus wird darauf hingewiesen, dass die zum Bauleitplanverfahren abgegebenen Stellungnahmen in öffentlicher Sitzung der jeweils zuständigen städtischen Gremien beraten werden und somit personenbezogene Daten, soweit für das Bauleitplanverfahren erforderlich, den zuständigen städtischen Gremien und mithin der Öffentlichkeit zur Verfügung gestellt werden.