Titel Logo
Westricher Rundschau VG Baumholder
Ausgabe 42/2023
Öffentliche Bekanntmachungen
Zurück zur vorigen Seite
Zurück zur ersten Seite der aktuellen Ausgabe

Öffentliche Bekanntmachung

Teiländerung des Flächennutzungsplanes der Verbandsgemeinde Baumholder Industriegebiet „Reichenbacher Höfe“

Öffentliche Auslegung gem. § 3 Abs. 2 BauGB

Der Verbandsgemeinderat der Verbandsgemeinde Baumholder hat in öffentlicher Sitzung am 26.04.2022 die Einleitung des Verfahrens zur Teiländerung des Flächennutzungsplanes – Industriegebiet „Reichenbacher Höfe“ im Bereich der Gemarkungen Reichenbach und Heimbach beschlossen.

Ziel der Teiländerung des Flächennutzungsplanes und der Aufstellung des Bebauungsplanes „Reichenbacher Höfe“ ist es, das Betriebsgelände der Fa. Andre Dunkel Land-/Forstwirtschaftliches Lohnunternehmen, einer städtebaulichen Gestaltung und Ordnung zuzuführen, im Bestand zu sichern und weiterzuentwickeln, um die Belieferung der vorhandenen und neu hinzukommenden Biomassekraftwerke weiterhin aufrecht erhalten zu können.

Aktuell beurteilt sich die planungsrechtliche Zulässigkeit nach § 35 BauGB (Außenbereich). Deshalb bedarf es der Aufstellung eines Bebauungsplanes. Aktuell stellt der Flächennutzungsplan der Verbandsgemeinde Baumholder dort Flächen für die Landwirtschaft und Grünland und teilweise Flächen für Maßnahmen zum Schutz, zur Pflege und zur Entwicklung von Natur und Landschaft dar. Somit widerspricht der vorliegende Bebauungsplan dem Entwicklungsgebot nach § 8 Abs. 3 BauGB, wonach Bebauungspläne aus dem Flächennutzungsplan zu entwickeln sind. Aus diesem Grund soll für den Geltungsbereich der Flächennutzungsplan im Parallelverfahren gem. § 8 Abs. 3 BauGB teilgeändert werden.

Der Entwurf der Teiländerung des Flächennutzungsplanes der Verbandsgemeinde Baumholder – Industriegebiet „Reichenbacher Höfe“, im Bereich der Gemarkungen Reichenbach und Heimbach, wurde vom Verbandsgemeinderat der Verbandsgemeinde Baumholder in öffentlicher Sitzung am 21.09.2023 angenommen.

Gemäß § 3 Abs. 2 BauGB, in der Fassung der Bekanntmachung vom 3. November 2017 (BGBl. I S. 3634), zuletzt geändert durch Artikel 1 des Gesetzes vom 28. Juli 2023 (BGBl. 2023 I Nr. 221), wird hiermit öffentlich bekannt gemacht, dass die Beteiligung der Öffentlichkeit in Form einer Offenlage des Entwurfes zur Teiländerung des Flächennutzungsplanes der Verbandsgemeinde Baumholder – Industriegebiet „Reichenbacher Höfe“ im Bereich der Gemarkungen Reichenbach und Heimbach in der Zeit vom

26. Oktober 2023 bis einschließlich 27. November 2023

durchgeführt wird.

Der Entwurf zur Teiländerung des Flächennutzungsplanes der Verbandsgemeinde Baumholder – Industriegebiet „Reichenbacher Höfe“ im Bereich der Gemarkungen Reichenbach und Heimbach, bestehend aus Begründung und den Anlagen „Planzeichnung“, Umweltbericht mit integriertem Fachbeitrag Naturschutz“ und „Artenschutzrechtliche Potenzialabschätzung“ sowie die bereits vorliegenden umweltbezogenen Informationen sind während der Dienststunden in der Verbandsgemeindeverwaltung Baumholder, Am Weiherdamm 1, 55774 Baumholder, Bürgerbüro, Zimmer 101, einsehbar.

Während der Auslegungsfrist können Stellungnahmen abgegeben werden. Es wird darauf hingewiesen, dass nicht fristgerecht abgegebene Stellungnahmen bei der Beschlussfassung über den Bauleitplan unberücksichtigt bleiben können. Die Stellungnahmen können schriftlich oder zur Niederschrift abgegeben werden. Auch eine Abgabe in elektronischer Form per E-Mail ist in diesem Zeitraum möglich, unter: verwaltung@vgv-baumholder.de.

Gemäß § 4a Abs. 2 BauGB wird der Inhalt der ortsüblichen Bekanntmachung nach § 3 Abs. 2 BauGB und die nach § 3 Abs. 2 BauGB auszulegenden Unterlagen (mit Ausnahme der Staubimmissionsprognose und der Schalltechnischen Immissionsprognose zum Bebauungsplan „Reichenbacher Höfe“, die jedoch während der Dienststunden in der Verbandsgemeindeverwaltung Baumholder, Am Weiherdamm 1, 55774 Baumholder, Bürgerbüro, Zimmer 101, einsehbar sind) zusätzlich über das Internetportal der Verbandsgemeinde Baumholder (www.vgv.baumholder.de) eingestellt und sind über das Geoportal Rheinland-Pfalz (http://ww.geoportal.rlp.de/) ab dem 26. Oktober 2023 elektronisch abrufbar.

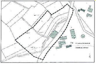
Der Geltungsbereich der gemarkungsübergreifenden Teiländerung des Flächennutzungsplanes (Gemarkungen Reichenbach und Heimbach) hat eine Größe von insgesamt ca. 3,1 ha. Lageplan und Grenzen sind dem nachstehenden Lageplan zu entnehmen.

Für die Kompensation des Eingriffs im Plangebiet wird eine externe, ca. 1,4 ha große Kahlschlagfläche auf dem nördlichen Teil der Parzelle 4/2 (Gemarkung Heimbach, Flur 6) herangezogen.

Lage und Grenze der externen Ausgleichsmaßnahme können dem nachstehenden Planauszug oder der Planzeichnung zur Teiländerung des Flächennutzungsplanes der Verbandsgemeinde Baumholder, für den Bereich des Bebauungsplanes „Reichenbacher Höfe", entnommen werden.

Baumholder, den 12.10.2023
gez. Alsfasser
Bernd Alsfasser
Bürgermeister