Titel Logo
Westricher Rundschau VG Baumholder
Ausgabe 47/2022
Öffentliche Bekanntmachungen
Zurück zur vorigen Seite
Zurück zur ersten Seite der aktuellen Ausgabe

Öffentliche Bekanntmachung

des Beschlusses zur Einleitung des Verfahrens, zur Aufstellung des Bebauungsplanes „Wohnbebauung ehemaliger Sportplatz“ der Ortsgemeinde Rückweiler

Gemäß § 2 Abs. 1 BauGB, in der Fassung der Bekanntmachung vom 3. November 2017 (BGBI. I S. 3634), unter Berücksichtigung der aktuell gültigen Änderungen, wird hiermit öffentlich bekannt gemacht, dass der Ortsgemeinderat der Ortsgemeinde Rückweiler in öffentlicher Sitzung vom 07.11.2022 den Beschluss zur Einleitung des Verfahrens zur Aufstellung des Bebauungsplanes „Wohnbebauung ehemaliger Sportplatz“ in der Ortsgemeinde Rückweiler gefasst hat.

Mit der Aufstellung des Bebauungsplanes verfolgt die Ortsgemeinde Rückweiler folgende Ziele:

Der Sportplatz der FC Heide und das Gelände rund um den Sportplatz werden seit längerer Zeit nicht genutzt. Der Spielbetrieb ist ebenfalls seit längerem eingestellt. Der Sportplatz liegt seit vielen Jahren brach und wird nur noch vereinzelt als Bolzplatz genutzt. Die Pflege und der Erhalt des Platzes ist für die Ortsgemeinde mit hohen Kosten verbunden.

Im Rahmen eines Interessenbekundungsverfahrens konnte ein Investor gefunden werden, welcher auf dem Gelände des alten Sportplatzes ein spezielles Wohnkonzept für Familien und Senioren (Servicewohnen) umsetzen möchte. Zudem sollen Naherholungsnutzungen zur Freizeitgestaltung der Bewohner von Rückweiler auf der Fläche realisiert werden (u. a. Multifunktionsfeld).

Der Standort ist für die Wohnnutzung sehr gut geeignet, da auch die Umgebung durch überwiegend Wohnnutzung geprägt ist.

Das Plangebiet befindet sich heute im Außenbereich gem. § 35 BauGB, anschließend an die bebaute Ortslage von Rückweiler. Das Vorhaben ist demnach nicht realisierungsfähig. Zur Schaffung der planungsrechtlichen Voraussetzungen für die Zulässigkeit der Planung bedarf es daher der Aufstellung des Bebauungsplanes.

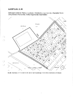
Die genauen Grenzen des Geltungsbereiches des Bebauungsplanes sind dem beigefügten Lageplan zu entnehmen. Er umfasst eine Fläche von ca. 1,95 ha.

Nach § 13 b BauGB gilt bis zum 31. Dezember 2022 der § 13 a BauGB entsprechend „für Bebauungspläne mit einer Grundfläche im Sinne des § 13 a Absatz 1 Satz 2 von weniger als 10.000 Quadratmetern, durch die die Zulässigkeit von Wohnnutzungen auf Flächen begründet wird, die sich an im Zusammenhang bebauten Ortsteile anschließen.“ Die Fläche wird in das beschleunigte Verfahren nach § 13 b BauGB einbezogen, da Wohnnutzung geplant ist und sich die Fläche an den im Zusammenhang bebauten Ortsteil anschließt (Arrondierungsfläche).

Der Bebauungsplan wird im beschleunigten Verfahren gem. § 13 a i. V. m. § 13 b BauGB und § 13 BauGB aufgestellt.

Der Flächennutzungsplan der Verbandsgemeinde Baumholder stellt für das Plangebiet eine Waldfläche, eine Grünfläche mit der Zweckbestimmung Sportplatz und eine Fläche für Maßnahmen zum Schutz, zur Pflege und zur Entwicklung von Natur und Landschaft dar. Das Entwicklungsgebot gem. § 8 Abs. 2 BauGB ist somit nicht erfüllt. Der Flächennutzungsplan ist gem. § 13 a Abs. 2 Nr. 2 BauGB im Wege der Berichtigung anzupassen.

Die Aufstellung des Bebauungsplanes erfüllt die Vorgaben, um gemäß § 13 a BauGB i. V. m. § 13 b BauGB und § 13 BauGB im beschleunigten Verfahren aufgestellt zu werden. § 13 Abs. 2 und 3 BauGB gelten entsprechend. Es wird darauf hingewiesen, dass gemäß § 13 Abs. 3 BauGB von einer Umweltprüfung nach § 2 Abs. 4 BauGB, von dem Umweltbericht nach § 2 a BauGB, von der Angabe nach § 3 Abs. 2 Satz 2 BauGB, welche Arten umweltbezogener Informationen verfügbar sind, der zusammenfassenden Erklärung nach § 10 a Abs. 1 BauGB und gemäß § 13 Abs. 2 BauGB und § 13 a Abs. 3 BauGB von der frühzeitigen Unterrichtung und Erörterung nach §§ 3 Abs. 1 und 4 Abs. 1 BauGB abgesehen wird.