Titel Logo
Westricher Rundschau VG Baumholder
Ausgabe 8/2026
Amtliche Bekanntmachungen
Zurück zur vorigen Seite
Zurück zur ersten Seite der aktuellen Ausgabe

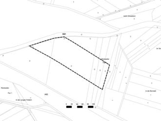
Lageplan

Quelle: ©GeoBasis-DE / LVermGeoRP (2020); Bearbeitung: Kernplan; Stand: 16.06.2020

Quelle: ©GeoBasis-DE / LVermGeoRP (2022); Bearbeitung: Kernplan; Stand: 09.12.2022

Geltungsbereich des Bebauungsplanes „Erweiterung Solarpark A 62 Rückweiler“ und der Teiländerung des Flächennutzungsplans in der Ortsgemeinde Rückweiler, Verbandsgemeinde Baumholder