Titel Logo
Birkenfelder Anzeiger
Ausgabe 46/2023
Amtliche Bekanntmachungen
Zurück zur vorigen Seite
Zurück zur ersten Seite der aktuellen Ausgabe

Öffentliche Bekanntmachung - Ortsgemeinde Börfink

Bebauungsplan und örtliche Bauvorschriften

„Gebrannte Kopf Einschied“

Förmliche Beteiligung der Öffentlichkeit gemäß § 3 Abs. 2 BauGB

Der Ortsgemeinderat Börfink hat am 05.07.2023 die Aufstellung des Bebauungsplanes und die mit ihm aufgestellten örtlichen Bauvorschriften „Gebrannte Kopf Einschied“ beschlossen, um die bauliche und sonstige Nutzung nach Maßgabe des Baugesetzbuches (BauGB) und der Baunutzungsverordnung (BauNVO) zu ordnen und zu leiten. Des Weiteren erfolgte vom 27.07.2023 bis 25.08.2023 die frühzeitige Beteiligung der Öffentlichkeit gemäß § 3 Abs. 1 BauGB. Im gleichen Zeitraum erfolgte die frühzeitige Behördenbeteiligung gemäß § 4 Abs. 1 BauGB.

Die im frühzeitigen Beteiligungsverfahren gemäß § 3 Abs. 1 BauGB und § 4 Abs. 1 BauGB eingegangenen Stellungnahmen wurden am 27.10.2023 im Ortsgemeinderat gewürdigt und ein entsprechender Abwägungsbeschluss wurde gefasst. In gleicher Sitzung erfolgte die Beschlussfassung über den Bebauungsplanentwurf sowie die Beschlussfassung über die Durchführung der förmlichen Beteiligung der Öffentlichkeit gemäß § 3 Abs. 2 BauGB und der Behördenbeteiligung gemäß § 4 Abs. 2 BauGB.

Das Gebiet wird als allgemeines Wohngebiet entsprechend § 4 BauNVO festgesetzt. Mit der Nutzungsänderung des Forsthauses in ein Wohn- sowie Ferienhaus schafft der Ferien- und Erholungsort innerhalb der Verbandsgemeinde und direkte Anrainer Gemeinde des nördlichen verlaufenden Nationalparks, und innerhalb des Naturparks gelegen, eine Infrastrukturmaßnahme für eine naturnahe, landschaftsgebundene Erholungsnutzung sowie wichtige Bausteine für eine touristische Vorsorge.

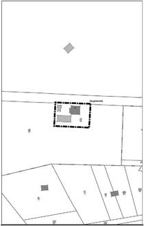
Der Geltungsbereich des Bebauungsplanes umfasst folgendes Grundstück in der Gemarkung Börfink: Flur 6, Flurstücke 29/39.

Das Plangebiet liegt in der Ortslage Börfink und ist über die Hauptstraße 16 erschlossen.

Der Entwurf des Bebauungsplanes mit all seinen Bestandteilen und Anlagen sowie die umweltrelevanten Informationen sind gemäß § 3 Abs. 2 BauGB für die Dauer eines Monats (mindestens jedoch für die Dauer von 30 Tagen) und zwar von

Montag, 20.11.2023 bis Freitag, 22.12.2023

auf der Homepage der Verbandsgemeinde Birkenfeld unter https://www.vg-birkenfeld.de/042.html zur Ansicht bereit (§ 4a Abs. 4 BauGB).

Zusätzlich liegen alle Planunterlagen sowie die umweltrelevanten Informationen im genannten Zeitraum während der Öffnungszeiten (montags bis donnerstags von 08:30 Uhr - 12:00 Uhr und von 14:00 Uhr - 16:00 Uhr und freitags von 08:30 Uhr bis 12:00 Uhr) beim Fachbereich 2 – Bauliche Infrastruktur der Verbandsgemeindeverwaltung Birkenfeld, Auf dem Römer 17 (Zimmer 9), 55765 Birkenfeld, öffentlich aus.

Ergänzend sind die Planunterlagen sowie die umweltrelevanten Informationen auch über das Internetportal des Landes Rheinland-Pfalz (Geoportal) abrufbar (§ 4a Abs. 4 BauGB).

Folgende Arten umweltbezogener Informationen sind verfügbar und können eingesehen werden:

1.

Umweltbericht mit integriertem Fachbeitrag Naturschutz als Bestandteil der Begründung zum Bebauungsplanentwurf (der nach Maßgabe der Anlage 1 zum BauGB u.a. nach den Umweltschutzgütern i.S. des § 1 Abs. 6 Nr. 7 BauGB gegliedert ist) mit folgenden Informationen:

a. Darstellung der in einschlägigen Fachgesetzen und Fachplänen festgelegten Ziele des Umweltschutzes

b. Bestandsaufnahme des Umweltzustands der Schutzgüter

c. Tiere und Pflanzen / Biologische Vielfalt: Biotoptypenkartierung und -bewertung, Schutzstatus, Wertigkeit

d. Fläche und Boden: Geologie, Bodenfunktionen, Bodeneigenschaften, Bodenfunktionen, Altlasten

e. Wasser: Oberflächengewässer, Gewässergüte, Grundwasser, Hochwasservorsorge

f. Luft und Klima: klimatische und lufthygienische Vorbelastungen

g. Landschaft: Naturraum, typische Landschaftsteile, Erholungseignung

h. Mensch, Gesundheit, Bevölkerung: Emissionen, Immissionen, Raumstruktur

i. Kultur- und sonstige Sachgüter: Erdgeschichtlich bzw. historisch bedeutsame Kulturgüter

j. Prognose über die Entwicklung des Umweltzustands bei Nichtdurchführung/Durchführung der Planung: Wirkfaktoren, insbesondere mögliche erhebliche Auswirkungen während der Bau- und Betriebsphase der geplanten Vorhaben auf Natur und Landschaft, auf Gebiete von gemeinschaftlicher Bedeutung, auf den Menschen und seine Gesundheit, auf Kultur- und sonstige Sachgüter

k. Flächenbilanzierung von Eingriff und Ausgleich, Kompensationsmaßnahmen

l. Beschreibung der geplanten Maßnahmen, mit denen festgestellte erhebliche nachteilige Umweltauswirkungen vermieden, verhindert, verringert oder soweit möglich ausgeglichen werden sollen

Im Rahmen der frühzeitigen Beteiligung der Träger öffentlicher Belange und der Öffentlichkeit wurden keine Stellungnahmen mit umweltbezogenen Informationen eingereicht.

Während der genannten Auslegungsfrist können Stellungnahmen abgegeben werden. Die fristgerecht abgegebenen Stellungnahmen werden vom Ortsgemeinderat geprüft. Das Ergebnis der Prüfung wird mitgeteilt.

Es wird darauf hingewiesen, dass nicht innerhalb der Auslegungsfrist abgegebene Stellungnahmen bei der Beschlussfassung über den Bebauungsplan gemäß § 4a Abs. 6 BauGB unberücksichtigt bleiben können, sofern die Ortsgemeinde deren Inhalt nicht kannte und nicht hätte kennen müssen und deren Inhalt für die Rechtmäßigkeit des Bebauungsplanes nicht von Bedeutung ist.

Die Umgrenzung des Plangebietes (Geltungsbereich) ist im nachfolgenden Lageplan mit einer schwarz unterbrochenen Linie gekennzeichnet:

54422 Börfink, 10.11.2023
Martin Döscher, Ortsbürgermeister