Titel Logo
Birkenfelder Anzeiger
Ausgabe 8/2023
Amtliche Bekanntmachungen
Zurück zur vorigen Seite
Zurück zur ersten Seite der aktuellen Ausgabe

Öffentliche Bekanntmachung

Bauleitplanung der Stadt Birkenfeld

Bebauungsplan „Feckweilerhaide - 4. Änderung“

Öffentliche Auslegung gemäß § 3 Abs. 2 Baugesetzbuch (BauGB)

Der Stadtrat der Stadt Birkenfeld hat am 31.01.2023 die Aufstellung der 4. Änderung des Bebauungsplanes „Feckweilerhaide“ im beschleunigten Verfahren nach § 13a Bau GB beschlossen. Im beschleunigten Verfahren geltend die Vorschriften des vereinfachten Verfahrens nach § 13 Abs. 2 und 3 Satz 1 BauGB entsprechend.

Städtebauliches Ziel dieser Änderungsaufstellung ist die Nutzbarmachung des noch nicht bebauten Gebietsteiles als Innenentwicklung vor Außenentwicklung. Ein barrierefreies und damit seniorengerechtes Wohnen u. a. in einer „Seniorenresidenz“ soll ermöglicht werden. Die Gebietsnutzung als allgemeines Wohngebiet (WA) bleibt bestehen. Die planungsrechtlichen Festsetzungen werden um die Nutzungsschablone „WA 3“ ergänzt. Anzahlung der Vollgeschosse 3, Geschossflächenzahl 0,88, maximale Gebäudehöhe 14,00 Meter. Die Baufenster innerhalb des Änderungsbereichs der 4. Änderung werden angepasst, um die geplante Bebauung zu ermöglichen. Der Investor plant die Errichtung der vorgenannten „Seniorenresidenz“ mit 29 Wohneinheiten und ein Mehrfamilienwohnhaus mit 11 Wohneinheiten.

Im beschleunigten Verfahren wird von der Umweltprüfung nach § 2 Abs. 4 BauGB, von dem Umweltbericht nach § 2 a BauGB, von der Angabe nach § 3 Abs. 2 Satz 2 BauGB, welche Arten umweltbezogener Informationen verfügbar sind, sowie von der zusammenfassenden Erklärung nach § 6 a und § 10 a Abs. 1 BauGB abgesehen.

Hinsichtlich der Eingriffe in Natur und Landschaft kommt es in vorliegender Änderung zu keinen weiteren erheblichen Eingriffen. Abwägungserhebliche Belange des Natur- und Landschaftsschutzes werden nicht berührt. Die Grundflächenzahl wird nicht erhöht.

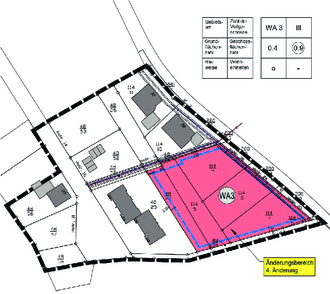
Der Geltungsbereich ist im folgenden Lageplan mit einer schwarz unterbrochenen Linie umrandet dargestellt. Der Änderungsbereich ist zusätzlich farblich dunkel hinterlegt und liegt vollflächig im rechtskräftigen Bebauungsplan „Feckweilerhaide“, der im Übrigen unberührt bleibt. Das Änderungsgebiet liegt an der Straße Gollenberger Weg.

Geltungsbereich/Lageplan mit WA3:

Der Entwurf des Bebauungsplans mit Textfestsetzungen und Begründung liegt gemäß § 3 Abs. 2 BauGB in der Zeit von

Mittwoch 01.03.2023 bis Donnerstag 31.03.2023

bei der Verbandsgemeindeverwaltung Birkenfeld (Fachbereich 2, bauliche Infrastruktur, Auf dem Römer 17, 55765 Birkenfeld, Zimmer 6) während der Öffnungszeiten (montags bis donnerstags von 8:30 Uhr bis 12:00 Uhr und von 14:00 Uhr bis 16 Uhr und freitags von 8:30 Uhr bis 12:00 Uhr) sowie nach telefonischer Vereinbarung auch außerhalb dieser Zeit zu jedermanns Einsicht öffentlich aus.

Zusätzlich stehen alle Planunterlagen im genannten Zeitraum auch auf der Homepage der Verbandsgemeinde Birkenfeld https://www.vg-birkenfeld.de/034.html zur Ansicht und zum Download bereit. Ergänzend sind die Planunterlagen auch über das Internetportal des Landes Rheinland-Pfalz (Geoportal) abrufbar.

Während der genannten Auslegungszeit können von jedermann Stellungnahmen abgegeben werden. Fristgemäß abgegebene Stellungnahmen werden vom Stadtrat geprüft. Das Ergebnis der Prüfung wird mitgeteilt. Es wird darauf hingewiesen, dass nicht innerhalb der Offenlegungsfrist abgegebene Stellungnahmen bei der Beschlussfassung über den Bebauungsplan gemäß § 3 Abs. 2 und § 4a Abs. 6 BauGB unberücksichtigt bleiben können, sofern die Gemeinde deren Inhalt nicht kannte und nicht hätte kennen müssen und deren Inhalt für die Rechtmäßigkeit des Bauleitplans nicht von Bedeutung ist.

Birkenfeld, 10.02.2023
Stadt Birkenfeld
Miroslaw Kowalski