Aufgrund von erforderlichen Änderungen an der Entwurfsfassung ist die Bebauungsplanung gemäß § 4a Abs. 3 S. 1 BauGB erneut zu veröffentlichen und sind die Stellungnahmen erneut einzuholen. Die Änderungen sind in der Begründung (Seite 13 Nr. 5.4 Wasserschutzrechtliche Belange) und in den textlichen Festsetzungen (Seite 10 Nr. 4.6 Öffentliche Ver- und Entsorgung) hervorgehoben.
Der Ortsgemeinderat Gollenberg hat am 0403 2024 die Aufstellung des Bebauungsplanes und die mit ihm aufgestellten örtlichen Bauvorschriften „Sonstiges Sondergebiet Pferdehaltung – Auf den Horstgärten“ beschlossen, um die bauliche und sonstige Nutzung nach Maßgabe des Baugesetzbuches (BauGB) und der Baunutzungsverordnung (BauNVO) zu ordnen und zu leiten. Des Weiteren erfolgte vom 23.09.2024 bis 25.10.2024 die frühzeitige Beteiligung der Öffentlichkeit gemäß § 3 Abs. 1 BauGB. Im gleichen Zeitraum erfolgte die frühzeitige Behördenbeteiligung gemäß § 4 Abs. 1 BauGB.
Die im frühzeitigen Beteiligungsverfahren gemäß § 3 Abs. 1 BauGB und § 4 Abs. 1 BauGB eingegangenen Stellungnahmen wurden am 25.11.2024 im Ortsgemeinderat gewürdigt und ein entsprechender Abwägungsbeschluss wurde gefasst. In gleicher Sitzung erfolgte die Beschlussfassung über den Bebauungsplanentwurf sowie die Beschlussfassung über die Durchführung der förmlichen Beteiligung der Öffentlichkeit gemäß § 3 Abs. 2 BauGB und der Behördenbeteiligung gemäß § 4 Abs. 2 BauGB.
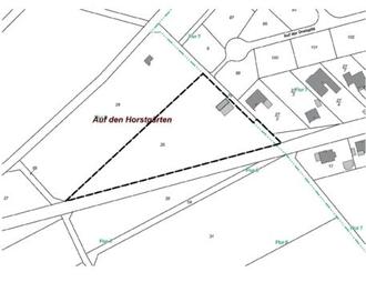
Das Plangebiet wird gemäß § 9 Abs.1 Nr.1 BauGB i. V.m. § 11 BauNVO als „Sonstiges Sondergebiet“ (SO) mit der Zweckbestimmung „Pferdehaltung“ festgesetzt.
Der Geltungsbereich des Bebauungsplanvorentwurfes umfasst folgende Grundstücke in der Gemarkung Gollenberg: Flur 6, Flurstück 29; Flur 7, Flurstück 78 tlw.
Die Erschließung des Plangebietes soll über den Wirtschaftsweg angrenzend an die Straße „Hochwaldstraße“ erfolgen.
Der Entwurf des Bebauungsplanes mit all seinen Bestandteilen und Anlagen sowie die umweltrelevanten Informationen sind gemäß § 3 Abs. 2 BauGB für die Dauer eines Monats (mindestens jedoch für die Dauer von 30 Tagen) und zwar von
Donnerstag, 16.01.2025 bis Freitag, 0503 2025
auf der Homepage der Verbandsgemeinde Birkenfeld unter
https://www.vg-birkenfeld.de/100 zur Ansicht bereit (§ 4a Abs. 4 BauGB).
Zusätzlich liegen alle Planunterlagen sowie die umweltrelevanten Informationen im genannten Zeitraum während der Öffnungszeiten (montags bis donnerstags von 08:30 Uhr - 12:00 Uhr und von 14:00 Uhr - 16:00 Uhr und freitags von 08:30 Uhr bis 12:00 Uhr) beim Fachbereich 2 – Bauliche Infrastruktur der Verbandsgemeindeverwaltung Birkenfeld, Auf dem Römer 17 (Zimmer 9), 55765 Birkenfeld, öffentlich aus.
Ergänzend sind die Planunterlagen sowie die umweltrelevanten Informationen auch über das Internetportal des Landes Rheinland-Pfalz (Geoportal) abrufbar (§ 4a Abs. 4 BauGB).
Folgende Arten umweltbezogener Informationen sind verfügbar und können eingesehen werden:
| 1. | Umweltbericht mit integriertem Fachbeitrag Naturschutz als Bestandteil der Begründung zum Bebauungsplanentwurf (der nach Maßgabe der Anlage 1 zum BauGB u. a. nach den Umweltschutzgütern i. S. des § 1 Abs. 6 Nr. 7 BauGB gegliedert ist) mit folgenden Informationen: | |
| a. | Darstellung der in einschlägigen Fachgesetzen und Fachplänen festgelegten Ziele des Umweltschutzes |
| b. | Bestandsaufnahme des Umweltzustands der Schutzgüter |
| c. | Tiere und Pflanzen / Biologische Vielfalt: Biotoptypenkartierung und -bewertung, Schutzstatus, Wertigkeit |
| d. | Fläche und Boden: Geologie, Bodenfunktionen, Bodeneigenschaften, Bodenfunktionen, Altlasten |
| e. | Wasser: Oberflächengewässer, Gewässergüte, Grundwasser, Hochwasservorsorge |
| f. | Luft und Klima: klimatische und lufthygienische Vorbelastungen |
| g. | Landschaft: Naturraum, typische Landschaftsteile, Erholungseignung |
| h. | Mensch, Gesundheit, Bevölkerung: Emissionen, Immissionen, Raumstruktur |
| i. | Kultur- und sonstige Sachgüter: Erdgeschichtlich bzw. historisch bedeutsame Kulturgüter |
| j. | Prognose über die Entwicklung des Umweltzustands bei Nichtdurchführung/Durchführung der Planung: Wirkfaktoren, insbesondere mögliche erhebliche Auswirkungen während der Bau- und Betriebsphase der geplanten Vorhaben auf Natur und Landschaft, auf Gebiete von gemeinschaftlicher Bedeutung, auf den Menschen und seine Gesundheit, auf Kultur- und sonstige Sachgüter |
| k. | Flächenbilanzierung von Eingriff und Ausgleich, Kompensationsmaßnahmen |
| l. | Beschreibung der geplanten Maßnahmen, mit denen festgestellte erhebliche nachteilige Umweltauswirkungen vermieden, verhindert, verringert oder soweit möglich ausgeglichen werden sollen |
| 2. | Artenschutzfachbeitrag als Bestandteil des Umweltberichts | |
Des Weiteren liegen folgende verfügbare Informationen aus den Stellungnahmen von Behörden und sonstigen Trägern öffentlicher Belange mit Umweltbezug zum Bebauungsplanentwurf vor:
| Urheber | Thematischer Bezug |
| (Behörden, Träger öffentlicher Belange) |
|
| Naturschutz, Landespflege |
|
| Untere Naturschutzbehörde | Eingriffsbilanzierung, geschütztes Grünland |
Im Rahmen der frühzeitigen Beteiligung der Öffentlichkeit wurden keine Stellungnahmen mit umweltbezogenen Informationen eingereicht.
Während der genannten Auslegungsfrist können Stellungnahmen abgegeben werden. Die fristgerecht abgegebenen Stellungnahmen werden vom Ortsgemeinderat geprüft. Das Ergebnis der Prüfung wird mitgeteilt.
Es wird darauf hingewiesen, dass nicht innerhalb der Auslegungsfrist abgegebene Stellungnahmen bei der Beschlussfassung über den Bebauungsplan gemäß § 4a Abs. 6 BauGB unberücksichtigt bleiben können, sofern die Ortsgemeinde deren Inhalt nicht kannte und nicht hätte kennen müssen und deren Inhalt für die Rechtmäßigkeit des Bebauungsplanes nicht von Bedeutung ist.
Die Umgrenzung des Plangebietes (Geltungsbereich) ist im nachfolgenden Lageplan mit einer schwarz unterbrochenen Linie gekennzeichnet: