Titel Logo
Unsere Heimat VG Herrstein-Rhaunen
Ausgabe 10/2024
Öffentliche Bekanntmachungen der Ortsgemeinden der Nationalparkverbandsgemeinde
Zurück zur vorigen Seite
Zurück zur ersten Seite der aktuellen Ausgabe

Öffentliche Bekanntmachung

Satzung

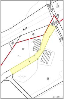
der Ortsgemeinde Breitenthal über die Aufhebung und Einziehung des gemeindlichen Wirtschaftsweges, Gemarkung Breitenthal, Flur 4, Flurstücke 76/1 (teilweise) vom 27.02.2024.

Aufgrund des § 24 der Gemeindeordnung Rheinland-Pfalz in der aktuell gültigen Fassung und des § 58, Absatz 4 des Flurbereinigungsgesetzes vom 16.03.1976, zuletzt geändert durch Artikel 17 des Gesetzes vom 19.12.2008, hat der Gemeinderat Breitenthal in seiner Sitzung vom 10.10.2023 folgende Satzung beschlossen, die nach Genehmigung vom 21.02.2024 durch die Kreisverwaltung Birkenfeld als Aufsichtsbehörde hiermit bekanntgemacht wird:

§ 1

Der gemeindliche Wirtschaftsweg, Gemarkung Breitenthal, Flur 4, Flurstück 76/1 (teilweise) wird, da kein öffentliches Interesse an der Beibehaltung der Wegeparzellen mehr besteht, zum 31.03.2024 aufgehoben und eingezogen. Der genaue Teilabschnitt ist auf dem beiliegenden Lageplan, welcher Bestandteil dieser Satzung wird, abgebildet.

Der Wegeabschnitt wird innerhalb des Bereiches der geplanten Aufhebung ausschließlich von Grundstücken einer Eigentümerfamilie begrenzt und die umliegenden Grundstücke sind anderweitig erschlossen.

Daher verliert der Weg in diesem Teil seine Bedeutung.

§ 2

Die Satzung tritt am Tag nach der öffentlichen Bekanntgabe in Kraft.

55758 Breitenthal, 27.02.2024
Ortsgemeinde Breitenthal
(DS)
Peter, Ortsbürgermeister