Titel Logo
Unsere Heimat VG Herrstein-Rhaunen
Ausgabe 11/2025
Öffentliche Bekanntmachungen der Ortsgemeinden der Nationalparkverbandsgemeinde
Zurück zur vorigen Seite
Zurück zur ersten Seite der aktuellen Ausgabe

Öffentliche Bekanntmachung

Bekanntmachung des Beschlusses zur Einleitung des Verfahrens zur 1. Teiländerung des Bebauungsplanes „Im Weiersweiler“ in der Ortsgemeinde Rhaunen im vereinfachten Verfahren

Gemäß § 2 Abs. 1 BauGB in der Fassung der Bekanntmachung vom 03. November 2017 (BGBI. I S. 3634), unter Berücksichtigung der aktuell gültigen Änderungen, wird hiermit öffentlich bekannt gemacht, dass der Ortsgemeinderat der Ortsgemeinde Rhaunen in öffentlicher Sitzung am 10.03.2025 den Beschluss zur Einleitung des Verfahrens zur 1. Teiländerung des Bebauungsplanes „Im Weiersweiler“ im beschleunigten Verfahren gefasst hat.

Die Firma Lidl betreibt in der Ortsgemeinde Rhaunen, in der Straße „Im Weiersweiler“, einen Lebensmittelmarkt. Die Nachfrage der Kunden ist an diesem Standort gleichbleibend hoch. Allerdings entspricht die Filiale nicht den zeitgemäßen Anforderungen.

Aus betrieblicher Sicht ergibt sich daher die Notwendigkeit zur Optimierung der Filiale und Steigerung der Attraktivität des Marktes.

Zur Umsetzung des neuen Marktkonzeptes der Firma Lidl ist ein Neubau des Marktes vorgesehen. Dieser soll gespiegelt zum derzeitigen Bestandsmarkt errichtet werden.

Die genehmigte Verkaufsfläche des Marktes soll nicht erweitert werden. Ebenso wenig ist geplant die Erschließungssituation zu ändern.

Neben dem Lebensmittelmarkt ist die Ergänzung um ein Café mit Aufenthaltsbereich sowie die Bereitstellung der erforderlichen Stellplätze geplant.

Die äußere Erschließung des Lebensmittelmarktes erfolgt, wie bisher, über die Straße „Im Weiersweiler“. Die erforderlichen Stellplätze (ruhender Verkehr) können vollständig auf dem Grundstück untergebracht werden.

Die fußläufige Anbindung des neuen Marktes aus der Ortslage heraus soll zusätzlich durch die Anlage eines barrierearmen Verbindungsweges verbessert werden.

Das Vorhaben ist auf Grundlage des rechtskräftigen Bebauungsplanes „Im Weiersweiler“ nicht realisierungsfähig, da der Bereich des geplanten Neubaus außerhalb der festgesetzten überbaubaren Grundstücksfläche liegt.

Zur Schaffung der planungsrechtlichen Voraussetzungen für die Zulässigkeit der Planung bedarf es daher gemäß § 1 Abs. 3 und § 2 Abs. 1 BauGB der Teiländerung des Bebauungsplanes „Im Weiersweiler“ von 1995.

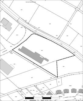
Der Geltungsbereich der 1. Teiländerung des Bebauungsplanes wird wie folgt begrenzt:

im Norden, Nordosten und Osten durch die Verkehrsfläche der Landesstraße 190 (L 190),

im Südosten und Süden durch eine mit Gehölzstrukturen versehene Freifläche,

im Südwesten und Westen durch einen Fußweg und die daran angrenzende Stellplatzfläche des EDEKA-Marktes sowie

im Nordwesten durch die angrenzende Verkehrsfläche der Straße „Im Weiersweiler“.

Die genauen Grenzen der 1. Teiländerung des Bebauungsplanes sind dem beigefügten Lageplan (ohne Maßstab) zu entnehmen. Sie umfasst eine Fläche von ca. 9.800 m².

Der Bebauungsplan wird im beschleunigten Verfahren gem. § 13a i.V.m. § 13 BauGB teilgeändert.

Die 1. Teiländerung des Bebauungsplanes „Im Weiersweiler“ ersetzt in ihrem Geltungsbereich den rechtskräftigen Bebauungsplan „Im Weiersweiler“ von 1995.

Der noch rechtswirksame Flächennutzungsplan der ehemaligen Verbandsgemeinde Rhaunen stellt für das Plangebiet eine geplante Sonderbaufläche dar. Die 1. Teiländerung des Bebauungsplanes ist somit gem. § 8 Abs. 2 BauGB aus dem Flächennutzungsplan entwickelt.

Die 1. Teiländerung des Bebauungsplanes erfüllt die Vorgaben, um gemäß § 13a BauGB i.V.m. § 13 BauGB im beschleunigten Verfahren durchgeführt zu werden. Es wird darauf hingewiesen, dass gem. § 13 Abs. 3 BauGB von einer Umweltprüfung nach § 2 Abs. 4 BauGB, von dem Umweltbericht nach § 2a BauGB, von der Angabe nach § 3 Abs. 2 Satz 4 BauGB, welche Arten umweltbezogener Informationen verfügbar sind, der zusammenfassenden Erklärung nach § 10a Abs. 1 BauGB und gem. § 13 Abs. 2 BauGB und § 13a Abs. 3 BauGB von der frühzeitigen Unterrichtung und Erörterung nach §§ 3 Abs. 1 und 4 Abs. 1 BauGB abgesehen wird

Rhaunen, 11.03.2025
Ortsgemeinde Rhaunen
Yannick Bares, Ortsbürgermeister (DS)