Titel Logo
Unsere Heimat VG Herrstein-Rhaunen
Ausgabe 16/2024
Öffentliche Bekanntmachungen der Ortsgemeinden der Nationalparkverbandsgemeinde
Zurück zur vorigen Seite
Zurück zur ersten Seite der aktuellen Ausgabe

Öffentliche Bekanntmachung

Im Namen und Auftrag der Ortsgemeinde Gösenroth

Widmungsverfügung

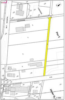
Aufgrund des Beschlusses der Ortsgemeinde Gösenroth vom 29.03.2024 wird der bisherige Wirtschaftsweg zwischen der K 72 und Industriestraße gemäß § 36 i.V.m. § 1 und § 3 Satz 1 Nr. 3a des Landesstraßengesetzes Rheinland-Pfalz vom 01.08.1977 in der derzeit gültigen Fassung dem öffentlichen Verkehr als Gemeindestraße gewidmet.

Dies betrifft hier das Grundstück Flur 2, Flurstücke 52 laut beigefügtem Ausschnitt aus der Flurkarte.

Diese Widmungsverfügung gilt einen Tag nach Bekanntmachung in der Wochenzeitung „Unsere Heimat“ als bekanntgegeben (§ 1 Abs. 1 Landesverwaltungsverfahrensgesetz i.V.m. § 41 Abs. 4 Satz4 Verwaltungsverfahrensgesetz) und tritt mit ihrer Bekanntgabe in Kraft.

Rechtsbehelfsbelehrung:

Gegen diese Allgemeinverfügung kann innerhalb eines Monats nach Bekanntgabe Widerspruch erhoben werden. Dieser Widerspruch ist bei der Nationalparkverbandsgemeindeverwaltung Herrstein- Rhaunen, Brühlstraße 16, 55756 Herrstein schriftlich oder zur Niederschrift einzulegen.

Herrstein, 05.04.2024
Nationalparkverbandsgemeinde Herrstein-Rhaunen
Uwe Weber, Bürgermeister  —  Dienstsiegel