Titel Logo
Unsere Heimat VG Herrstein-Rhaunen
Ausgabe 19/2025
Öffentliche Bekanntmachungen der Ortsgemeinden der Nationalparkverbandsgemeinde
Zurück zur vorigen Seite
Zurück zur ersten Seite der aktuellen Ausgabe

Öffentliche Bekanntmachung

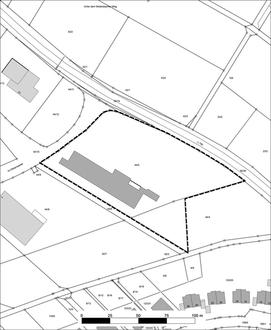
des Satzungsbeschlusses zur 1. Teiländerung des Bebauungsplanes „Im Weiersweiler“ der Ortsgemeinde Rhaunen

Der Gemeinderat der Ortsgemeinde Rhaunen hat in der Sitzung am 05.05.2025 die 1. Teiländerung des Bebauungsplanes „Im Weiersweiler“ gem. § 24 Gemeindeordnung (GemO) i.V. mit § 10 Abs. 1 des Baugesetzbuches (BauGB) als Satzung beschlossen.

Dieser Beschluss wird hiermit gemäß § 10 Abs. 3 des Baugesetzbuches (BauGB) ortsüblich bekanntgemacht.

Die 1. Teiländerung des Bebauungsplanes „Im Weiersweiler“ ersetzt in ihrem Geltungsbereich den rechtskräftigen Bebauungsplan „Im Weiersweiler“ von 1995.

Die genauen Grenzen des Geltungsbereiches der 1. Teiländerung des Bebauungsplanes sind dem beigefügten Lageplan zu entnehmen. Sie umfasst eine Fläche von ca. 9.800 m2.

Unbeachtlich sind

1.

eine nach § 214 Abs. 1 Satz 1 Nr. 1 bis 3 BauGB beachtliche Verletzung der dort bezeichneten Verfahrens- und Formvorschriften,

2.

eine unter Berücksichtigung des § 214 Abs. 2 beachtliche Verletzung der Vorschriften über das Verhältnis des Bebauungsplans und des Flächennutzungsplans und

3.

nach § 214 Abs. 3 Satz 2 BauGB beachtliche Mängel des Abwägungsvorgangs,

wenn sie nicht innerhalb eines Jahres seit Bekanntmachung des Bebauungsplanes schriftlich gegenüber der Ortsgemeinde Rhaunen bzw. der Nationalparkverbandsgemeinde Herrstein-Rhaunen unter Darlegung des die Verletzung begründenden Sachverhalts geltend gemacht worden sind (§ 215 Abs. 1 BauGB). Dies gilt entsprechend, wenn Fehler nach § 214 Abs. 2a BauGB beachtlich sind.

Auf die Vorschriften des § 44 Abs. 3 Satz 1 und 2 sowie Abs. 4 BauGB wird hingewiesen. Danach erlöschen Entschädigungsansprüche für die in §§ 39 bis 42 BauGB bezeichneten eingetretenen Vermögensnachteile, wenn nicht innerhalb von drei Jahren nach Ablauf des Kalenderjahres, in dem die Vermögensnachteile eingetreten sind, die Fälligkeit des Anspruchs herbeigeführt wird.

Es wird auf § 24 Abs. 6 der Gemeindeordnung für Rheinland-Pfalz in der zurzeit geltenden Fassung hingewiesen. Satzungen, die unter Verletzung von Verfahrens- und Formvorschriften dieses Gesetzes oder aufgrund dieses Gesetzes zustande gekommen sind, gelten ein Jahr nach Bekanntmachung als von Anfang an gültig zustande gekommen. Dies gilt nicht, wenn

1.

die Bestimmungen über die Öffentlichkeit der Sitzung, die Genehmigung, die Ausfertigung oder die Bekanntmachung der Satzung verletzt worden sind, oder

2.

vor Ablauf der in Satz 1 genannten Frist die Aufsichtsbehörde den Beschluss beanstandet oder jemand die Verletzung der Verfahrens- oder Formvorschriften gegenüber der Ortsgemeinde Rhaunen bzw. der Nationalparkverbandsgemeindeverwaltung Herrstein-Rhaunen unter Bezeichnung des Sachverhaltes, der die Verletzung begründen soll, schriftlich geltend gemacht hat.

Hat jemand eine Verletzung nach Satz 2 Nr. 2 geltend gemacht, so kann auch nach Ablauf der in Satz 1 genannten Frist jedermann diese Verletzung geltend machen.

Der Bebauungsplan zur 1. Teiländerung des Bebauungsplanes „Im Weiersweiler“ wird ab sofort bei der Nationalparkverbandsgemeindeverwaltung Herrstein-Rhaunen, Brühlstr. 16, Fachbereich 3 - Bauen -, 55756 Herrstein während der Dienststunden zu jedermanns Einsicht bereitgehalten.

Mit dieser Bekanntmachung tritt der Bebauungsplan zur 1. Teiländerung des Bebauungsplanes „Im Weiersweiler“ in Kraft.

Rhaunen, den 06.05.2025
Ortsgemeinde Rhaunen
Yannick Bares
(Ortsbürgermeister) (DS)