Titel Logo
Unsere Heimat VG Herrstein-Rhaunen
Ausgabe 29/2024
Öffentliche Bekanntmachungen der Ortsgemeinden der Nationalparkverbandsgemeinde
Zurück zur vorigen Seite
Zurück zur ersten Seite der aktuellen Ausgabe

Öffentliche Bekanntmachung - Satzung der Ortsgemeinde Rhaunen

Satzung

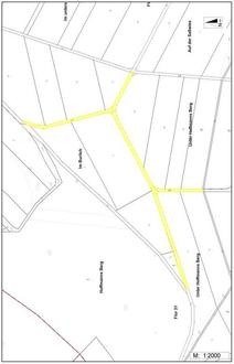
der Ortsgemeinde Rhaunen über die Aufhebung und Einziehung der gemeindlichen Wirtschaftswege, Gemarkung Rhaunen, Flur 30, Flurstücke 62 und 63 (teilweise) sowie Flur 31, Flurstücke 41 (teilweise) und 42/1 vom 10.07.2024.

Aufgrund des § 24 der Gemeindeordnung Rheinland-Pfalz in der aktuell gültigen Fassung und des § 58, Absatz 4 des Flurbereinigungsgesetzes vom 16.03.1976, zuletzt geändert durch Artikel 17 des Gesetzes vom 19.12.2008, hat der Gemeinderat Rhaunen in seiner Sitzung vom 06.11.2023 folgende Satzung beschlossen, die nach Genehmigung durch die Kreisverwaltung Birkenfeld als Aufsichtsbehörde hiermit bekanntgemacht wird:

§ 1

Die gemeindlichen Wirtschaftswege, Gemarkung Rhaunen, Flur 30, Flurstücke 62 und 63 (teilweise) sowie Flur 31, Flurstücke 41 (teilweise) und 42/1 werden, da kein öffentliches Interesse an der Beibehaltung der Wegeparzellen mehr besteht, zum 31.07.2024 aufgehoben und eingezogen. Die genaue Lage der Flurstücke ist aus dem beiliegenden Lageplan ersichtlich, der Bestandteil dieser Satzung wird.

Die Wege liegen innerhalb des Geltungsbereiches des Bebauungsplanes „Solarpark Humesberg“ und verlieren daher ihre Bedeutung als Wirtschaftswege. Die umliegenden Grundstücke sind anderweitig erschlossen.

§ 2

Die Satzung tritt am Tag nach der öffentlichen Bekanntgabe in Kraft.

55624 Rhaunen, 10.07.2024
Ortsgemeinde Rhaunen
(DS)
Klingel, Ortsbürgermeister