Titel Logo
Unsere Heimat VG Herrstein-Rhaunen
Ausgabe 4/2025
Öffentliche Bekanntmachungen der Ortsgemeinden der Nationalparkverbandsgemeinde
Zurück zur vorigen Seite
Zurück zur ersten Seite der aktuellen Ausgabe

Niederwörresbach - Öffentliche Bekanntmachung

der Veröffentlichung im Internet und der Auslegung zur förmlichen Beteiligung der Öffentlichkeit gemäß § 3 Abs. 2 BauGB der Änderung des vorhabenbezogenen Bebauungsplanes mit Vorhaben- und Erschließungsplan „Neubau Manufakturgebäude Kreis Jewellery“ in der Ortsgemeinde Niederwörresbach

Der Ortsgemeinderat der Ortsgemeinde Niederwörresbach hat in seiner Sitzung am 13.01.2025 die Veröffentlichung der Änderung des vorhabenbezogenen Bebauungsplanes mit Vorhaben- und Erschließungsplan „Neubau Manufakturgebäude Kreis Jewellery“ im Internet bzw. eine Auslegung zur förmlichen Beteiligung der Öffentlichkeit gem. § 3 Abs. 2 BauGB beschlossen.

Die in der Ortsgemeinde Niederwörresbach gegründete KREIS Jewellery GmbH & Co. KG plant auf einer bislang unbebauten Wohnbaufläche des Neubaugebietes „An Happenhöll“, am westlichen Ortsrand von Niederwörresbach, die Schaffung von Baurecht für die Errichtung eines Manufakturgebäudes mit Schleiferei / Werkstatt, Goldschmiede und Showroom.

Zur Schaffung der planungsrechtlichen Voraussetzungen wurde der vorhabenbezogene Bebauungsplan mit Vorhaben- und Erschließungsplan „Neubau Manufakturgebäude Kreis Jewellery“ aufgestellt.

Für eine zweckmäßige Nutzung des Plangebietes sind Aufschüttungen, Böschungen und Terrassierungen erforderlich, die aufgrund ihres Umfangs als bauliche Anlagen gemäß Landesbauordnung gelten und somit genehmigungspflichtig sind. Im ursprünglichen Bebauungsplan „An Happenhöll“ von 2021 und im vorhabenbezogenen Bebauungsplan „Neubau Manufakturgebäude Kreis Jewellery“ von 2024 wurden hierzu keine gesonderten Festsetzungen getroffen.

Das Bauvorhaben ist - nach Auffassung der Bauaufsichtsbehörde - in der aktuell geplanten Form nicht genehmigungsfähig.

Anlass der Änderung ist die Aufnahme einer örtlichen Bauvorschrift, dass Böschungen, Stützmauern, Abgrabungen und Aufschüttungen innerhalb und außerhalb der überbaubaren Grundstücksfläche zulässig sein sollen.

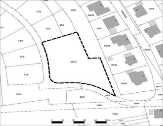
Die genauen Grenzen der Änderung des vorhabenbezogenen Bebauungsplanes sind dem beigefügten Lageplan (ohne Maßstab) zu entnehmen. Der Geltungsbereich umfasst eine Fläche von insgesamt 2.410 m2.

Die Änderung des vorhabenbezogenen Bebauungsplanes „Neubau Manufakturgebäude Kreis Jewellery“ ersetzt in ihrem Geltungsbereich den vorhabenbezogenen Bebauungsplan „Neubau Manufakturgebäude Kreis Jewellery“ von 2024 nur durch die getroffenen Regelungsinhalte.

Gemäß §§ 13a, 13 BauGB und 3 Abs. 2 BauGB in der Fassung der Bekanntmachung vom 03. November 2017 (BGBI. I S. 3634), unter Berücksichtigung der aktuell gültigen Änderungen, wird hiermit öffentlich bekannt gemacht, dass der Entwurf der Änderung des vorhabenbezogenen Bebauungsplanes mit Vorhaben- und Erschließungsplan „Neubau Manufakturgebäude Kreis Jewellery“, bestehend aus dem Planteil (Teil A), dem Textteil (Teil B) der Begründung und dem Vorhaben- und Erschließungsplan, in der Zeit vom

vom 24.01.2025 bis einschließlich 28.02.2025

über die Internetseite der Nationalparkverbandsgemeindeverwaltung Herrstein-Rhaunen

(https://www.vg-hr.de/aktuelles/bebauungsplanverfahren)

unter der Rubrik Ortsgemeinde Niederwörresbach „Neubau Manufakturgebäude Kreis Jewellery“ eingesehen oder heruntergeladen werden kann. Der Inhalt der Bekanntmachung ist ebenfalls im Internet eingestellt.

Er kann darüber hinaus in der Zeit

vom 24.01.2025 bis einschließlich 28.02.2025

während der Dienstzeiten

(Montag, Mittwoch, Freitag

von 08.00 Uhr bis 12.00 Uhr

Dienstag

von 08.00 Uhr bis 18.00 Uhr

Donnerstag

von 08.00 Uhr bis 12.00 Uhr und

14.00 Uhr bis 16.00 Uhr)

bei der Nationalparkverbandsgemeindeverwaltung Herrstein-Rhaunen, Fachbereich 2, Bauliche Infrastruktur, Zimmer 458, Brühlstraße 16, 55756 eingesehen werden.

Der Inhalt der ortsüblichen Bekanntmachung nach § 3 Abs. 2 Satz 5 BauGB und die nach § 3 Abs. 2 Satz 1 BauGB auszulegenden Unterlagen sind zusätzlich über das Geoportal Rheinland-Pfalz (http://www.geoportal.rlp.de/) elektronisch abrufbar.

Während der Dauer dieser Veröffentlichungsfrist können von jedermann Stellungnahmen schriftlich oder elektronisch per Mail an die E-Mailadresse v.schwinn@vg-hr.de vorgebracht oder nach vorheriger Terminabsprache zur Niederschrift erklärt werden. Die Stellungnahmen werden von der Ortsgemeinde Niederwörresbach geprüft. Das Ergebnis der Prüfung wird mitgeteilt. Nicht fristgerecht abgegebene Stellungnahmen können bei der Beschlussfassung über die Änderung des vorhabenbezogenen Bebauungsplanes unberücksichtigt bleiben, sofern die Ortsgemeinde Niederwörresbach deren Inhalt nicht kannte und nicht hätte kennen müssen und deren Inhalt für die Rechtmäßigkeit der Änderung des Bebauungsplanes nicht von Bedeutung ist.

Das Verfahren zur Aufstellung des vorhabenbezogenen Bebauungsplans erfüllt die Vorgaben, um gemäß § 13a BauGB - Bebauungspläne der Innenentwicklung – i.V.m. § 13 BauGB im beschleunigten Verfahren durchgeführt zu werden. Es wird darauf hingewiesen, dass gem. § 13 Abs. 3 BauGB von einer Umweltprüfung nach § 2 Abs. 4 BauGB, von dem Umweltbericht nach § 2a BauGB, von der Angabe nach § 3 Abs. 2 Satz 2 BauGB, welche Arten umweltbezogener Informationen verfügbar sind, der zusammenfassenden Erklärung nach § 10a Abs. 1 BauGB und gem. § 13 Abs. 2 BauGB und § 13a Abs. 3 BauGB von der frühzeitigen Unterrichtung und Erörterung nach §§ 3 Abs. 1 und 4 Abs. 1 BauGB abgesehen wird.

Niederwörresbach, 15.01.2025
Ralf Juchem, Ortsbürgermeister (DS)