Titel Logo
Unsere Heimat VG Herrstein-Rhaunen
Ausgabe 4/2025
Öffentliche Bekanntmachungen der Ortsgemeinden der Nationalparkverbandsgemeinde
Zurück zur vorigen Seite
Zurück zur ersten Seite der aktuellen Ausgabe

Niederwörresbach - Öffentliche Bekanntmachung

Bekanntmachung des Beschlusses zur Einleitung des Verfahrens zur Änderung des vorhabenbezogenen Bebauungsplanes mit Vorhaben- und Erschließungsplan

Neubau Manufakturgebäude Kreis Jewellery“ in der Ortsgemeinde Niederwörresbach

Gemäß § 2 Abs. 1 BauGB in der Fassung der Bekanntmachung vom 03. November 2017 (BGBI. I S. 3634), unter Berücksichtigung der aktuell gültigen Änderungen, wird hiermit öffentlich bekannt gemacht, dass der Ortsgemeinderat der Ortsgemeinde Niederwörresbach in öffentlicher Sitzung am 13.01.2025 den Beschluss zur Einleitung des Verfahrens zur Änderung des vorhabenbezogenen Bebauungsplanes mit Vorhaben- und Erschließungsplan „Neubau Manufakturgebäude Kreis Jewellery“ im beschleunigten Verfahren gefasst hat.

Die in der Ortsgemeinde Niederwörresbach gegründete KREIS Jewellery GmbH & Co. KG plant auf einer bislang unbebauten Wohnbaufläche des Neubaugebietes „An Happenhöll“, am westlichen Ortsrand von Niederwörresbach, die Schaffung von Baurecht für die Errichtung eines Manufakturgebäudes mit Schleiferei / Werkstatt, Goldschmiede und Showroom.

Zur Schaffung der planungsrechtlichen Voraussetzungen wurde der vorhabenbezogene Bebauungsplan mit Vorhaben- und Erschließungsplan „Neubau Manufakturgebäude Kreis Jewellery“ aufgestellt.

Für eine zweckmäßige Nutzung des Plangebietes sind Aufschüttungen, Böschungen und Terrassierungen erforderlich, die aufgrund ihres Umfangs als bauliche Anlagen gem. Landesbauordnung Rheinland-Pfalz gelten und somit genehmigungspflichtig sind. Im ursprünglichen Bebauungsplan „An Happenhöll“ von 2021 und im vorhabenbezogenen Bebauungsplan „Neubau Manufakturgebäude Kreis Jewellery“ von 2024 wurden hierzu keine gesonderten Festsetzungen getroffen.

Das Bauvorhaben ist - nach Auffassung der Bauaufsichtsbehörde - in der aktuell geplanten Form nicht genehmigungsfähig.

Anlass der Änderung ist die Aufnahme einer örtlichen Bauvorschrift, dass Böschungen, Stützmauern, Abgrabungen und Aufschüttungen innerhalb und außerhalb der überbaubaren Grundstücksfläche zulässig sein sollen.

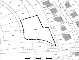
Die genauen Grenzen der Änderung des vorhabenbezogenen Bebauungsplanes sind dem beigefügten Lageplan (ohne Maßstab) zu entnehmen. Der Geltungsbereich umfasst eine Fläche von insgesamt 2.410 m2.

Die Änderung des vorhabenbezogenen Bebauungsplanes „Neubau Manufakturgebäude Kreis Jewellery“ ersetzt in ihrem Geltungsbereich den vorhabenbezogenen Bebauungsplan „Neubau Manufakturgebäude Kreis Jewellery“ von 2024 nur durch die getroffenen Regelungsinhalte.

Der vorhabenbezogene Bebauungsplan erfüllt die Vorgaben, um gemäß § 13a BauGB i.V.m. § 13 BauGB im beschleunigten Verfahren aufgestellt zu werden. Es wird darauf hingewiesen, dass gem. § 13 Abs. 3 BauGB von einer Umweltprüfung nach § 2 Abs. 4 BauGB, von dem Umweltbericht nach § 2a BauGB, von der Angabe nach § 3 Abs. 2 Satz 4 BauGB, welche Arten umweltbezogener Informationen verfügbar sind, der zusammenfassenden Erklärung nach § 10a Abs. 1 BauGB und gem. § 13 Abs. 2 BauGB und § 13a Abs. 3 BauGB von der frühzeitigen Unterrichtung und Erörterung nach §§ 3 Abs. 1 und 4 Abs. 1 BauGB abgesehen wird.

Niederwörresbach, 15.01.2025
Ortsgemeinde Niederwörresbach
Ralf Juchem, Ortsbürgermeister (DS)