Titel Logo
Unsere Heimat VG Herrstein-Rhaunen
Ausgabe 47/2023
Öffentliche Bekanntmachungen der Ortsgemeinden der Nationalparkverbandsgemeinde
Zurück zur vorigen Seite
Zurück zur ersten Seite der aktuellen Ausgabe

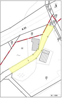
Beabsichtigte Einziehung (Entwidmung) eines Wirtschaftsweges in der Gemarkung Breitenthal nach § 37 Landesstraßengesetz

Die Ortsgemeinde Breitenthal beabsichtigt zum 31.03.2024 einen Wirtschaftsweg Flur 4, Flurstück 76/1 (teilweise) für den Verkehr einzuziehen. Es handelt sich dabei um den auf dem anliegenden Plan farblich markierten Bereich.

Diese Strecke soll eingezogen werden, da hierfür kein Verkehrsbedürfnis mehr besteht. Eigentümerin des Flurstücks ist die Ortsgemeinde Breitenthal.

Die Absicht zur Einziehung wird hiermit öffentlich bekannt gemacht.

Nähere Informationen sind bei der Verbandsgemeindeverwaltung Herrstein-Rhaunen, Fachbereich 2, Zimmer 460, Brühlstraße 16, 55756 Herrstein oder unter 06785-792115 erhältlich.

Ortsgemeinde Breitenthal
Ulrich Peter, Ortsbürgermeister