Titel Logo
Nachrichtenblatt der VG Bodenheim
Ausgabe 37/2023
Amtlicher Teil
Zurück zur vorigen Seite
Zurück zur ersten Seite der aktuellen Ausgabe

Bauleitplanung der Ortsgemeinde Bodenheim

hier:
Aufstellung des Bebauungsplanes „Eichweg-Nord“,
4. Änderung einschließlich „Eichweg-Süd“, 9. Änderung
Bekanntmachung des Aufstellungsbeschlusses
Unterrichtung der Öffentlichkeit
Veröffentlichung des Planentwurfs

Der Gemeinderat der Ortsgemeinde Bodenheim hat in seiner Sitzung am 08. Dezember 2020 die Aufstellung des Bebauungsplanes „Eichweg-Nord“, 4. Änderung nach § 13a BauGB i.V.m. § 2 Abs. 1 BauGB beschlossen. In seiner Sitzung am 06. Februar 2023 hat die Ortsgemeinde Bodenheim die Aufstellung des Bebauungsplanes „Eichweg-Süd“, 9. Änderung beschlossen. Dieser soll ebenfalls nach § 13a BauGB i.V.m. § 2 Abs. 1 BauGB im beschleunigten Verfahren als Bebauungsplan der Innenentwicklung aufgestellt und als einheitliches Verfahren mit dem Bebauungsplan „Eichweg-Nord“, 4. Änderung unter der Bezeichnung „Eichweg-Nord“, 4. Änderung einschließlich „Eichweg-Süd“, 9. Änderung durchgeführt werden. Die Aufstellungsbeschlüsse werden hiermit nach § 2 Abs. 1 BauGB bekannt gemacht.

Hintergrund der Aufstellung des Bebauungsplanes „Eichweg-Nord“, 4. Änderung einschließlich „Eichweg-Süd“, 9. Änderung ist es, die Art der baulichen Nutzung im Bereich des Heli-Geländes nordöstlich des Rewe-Marktes zu ändern, sodass einerseits eine gemischte Bebauung mit Getränkemarkt und geförderten Wohnraum sowie frei finanziertes Wohnen ermöglicht wird. Auch im Bereich östlich des Vitanum-Gebäudes bzw. dessen geplanter Erweiterung soll auf dem Grundstück Nr. 105 an Stelle des bisher festgesetzten Gewerbegebietes ein Wohngebiet entstehen. Zur Erschließung der Flächen im Geltungsbereich des Bebauungsplanes „Eichweg-Nord“, 4. Änderung von Süden ist es erforderlich, die überwiegend auf dem Eichweg liegende künftige Straßenverkehrsfläche auch auf einen kleinen Teilbereich des Bebauungsplanes „Eichweg-Süd“ auszuweiten. Daher ist es unabdingbar, die 9. Änderung dieses Bebauungsplanes gemeinschaftlich mit dem Verfahren der 4. Änderung des Bebauungsplans „Eichweg-Nord“, 4. Änderung durchzuführen.

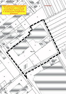
Im beiliegenden nicht maßstäblichen Bebauungsplanausschnitt ist der Geltungsbereich durch eine gestrichelte Umrandung gekennzeichnet. Der Plan hat keine Rechtswirkung und dient nur dem besseren Verständnis dieser Bekanntmachung.

Nach § 13a Abs. 3 Satz 1 Nr. 2 BauGB wird hiermit bekannt gemacht, dass sich die Öffentlichkeit über die allgemeinen Ziele und Zwecke sowie die wesentlichen Auswirkungen der Planung unterrichten und zur Planung

ab sofort bis einschließlich Freitag, dem 22. September 2023

äußern kann. Hierzu wird der Bebauungsplanentwurf ab sofort im Internet veröffentlicht und liegt außerdem in den Räumen der Verbandsgemeindeverwaltung zu jedermanns Einsichtnahme öffentlich aus.

Anschließend wird der Bebauungsplanentwurf nach § 3 Abs. 2 BauGB in der Zeit von

Montag, dem 25. September 2023 bis

einschließlich Freitag, dem 27. Oktober 2023

zu jedermanns Einsichtnahme im Internet veröffentlicht und weiterhin auch in den Räumen der Verbandsgemeindeverwaltung zu jedermanns Einsichtnahme öffentlich ausgelegt.

Während der Veröffentlichungsfrist steht der Bebauungsplanentwurf auf unserer Internetseite www.vg-bodenheim.de unter „Aktuelles - Ortsgemeinden - Ortsgemeinde Bodenheim“ sowie im Geoportal des Landes Rheinland-Pfalz unter www.geoportal.rlp.de (Suchbegriff „Offenlage Bodenheim“) zur Verfügung.

Bitte beachten Sie, dass das Rathaus der Verbandsgemeinde Bodenheim für den regelmäßigen Publikumsverkehr nach vorheriger Terminvereinbarung geöffnet ist, sodass die Einsichtnahme in die ausgelegten Planunterlagen innerhalb der Veröffentlichungsfrist

nach vorheriger telefonischer Absprache mit den Mitarbeiter*innen des Fachbereichs Natürliche Lebensgrundlagen und Bauen

unter den Telefonnummern 06135 – 72130 und 06135 – 72266

oder per E-Mail an bauleitplanung@vg-bodenheim.de

im Rathaus der Verbandsgemeinde Bodenheim, Am Dollesplatz 1, 55294 Bodenheim, während der üblichen Dienststunden der Verwaltung möglich ist. Für Mittwoch-Nachmittag werden keine Termine vergeben. Hier haben Sie die Möglichkeit, zwischen 14.00 Uhr und 19.00 Uhr ohne vorherige Terminabsprache in die ausgelegten Planunterlagen Einsicht zu nehmen.

Während der Dauer der Veröffentlichungsfrist können Stellungnahmen bei der Verbandsgemeindeverwaltung Bodenheim abgegeben werden. Die Stellungnahmen sollen nach Möglichkeit elektronisch übermittelt werden, können bei Bedarf aber auch auf anderem Wege abgegeben werden. Sofern Sie Ihre Stellungnahme elektronisch übermitteln möchten, bitten wir darum, diese per E-Mail an bauleitplanung@vg-bodenheim.de zu übersenden. Nicht fristgerecht abgegebene Stellungnahmen können bei der Beschlussfassung über den Bebauungsplan unberücksichtigt bleiben.

Der Entwurf des Bebauungsplanes ist mit der Begründung und den nach Einschätzung der Gemeinde wesentlichen, bereits vorliegenden umweltbezogenen Stellungnahmen öffentlich auszulegen.

Es wird ausdrücklich darauf hingewiesen, dass der Bebauungsplan im beschleunigten Verfahren nach § 13a BauGB aufgestellt wird, da es sich um eine Maßnahme der Innenentwicklung handelt. Eine Umweltprüfung nach § 2 Abs. 4 BauGB wird nicht durchgeführt und ein Umweltbericht wird nicht erstellt, da durch den Bebauungsplan keine Zulässigkeit von Vorhaben begründet wird, die im Sinne des § 13a Abs. 1 Satz 4 BauGB einer Pflicht zur Durchführung einer Umweltverträglichkeitsprüfung nach dem Gesetz über die Umweltverträglichkeitsprüfung oder nach Landesrecht unterliegen. Es bestehen keine Anhaltspunkte für eine Beeinträchtigung der Erhaltungsziele und des Schutzzwecks der Natura 2000-Gebiete im Sinne des Bundesnaturschutzgesetzes sowie keine Anhaltspunkte dafür, dass bei der Planung Pflichten zur Vermeidung oder Begrenzung der Auswirkungen von schweren Unfällen nach § 50 Satz 1 des Bundes-Immissionsschutzgesetzes zu beachten sind.

Bodenheim, den 08. September 2023
Thomas Becker-Theilig
Ortsbürgermeister