Titel Logo
Nachrichtenblatt der VG Bodenheim
Ausgabe 48/2022
Amtlicher Teil
Zurück zur vorigen Seite
Zurück zur ersten Seite der aktuellen Ausgabe

Bauleitplanung der Ortsgemeinde Nackenheim

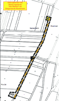
hier: Bekanntmachung des Bebauungsplanes „Alte Mistkaut“

Der Gemeinderat der Ortsgemeinde Nackenheim hat am 25. Oktober 2021 den Bebauungsplan „Alte Mistkaut“ einschließlich der Begründung gemäß § 10 Baugesetzbuch (BauGB) in der Fassung der Bekanntmachung vom 03.11.2017 (BGBl. I S. 3634), zuletzt geändert durch Art. 2 des Gesetzes vom 26.04.2022 (BGBl. I. S. 674) i.V.m. § 24 Gemeindeordnung für Rheinland-Pfalz (GemO) in der Fassung vom 31.01.1994 (GVBl. S. 153), zuletzt geändert durch Artikel 1 des Gesetzes vom 27.01.2022 (GVBl. S. 21) in der zurzeit geltenden Fassung als Satzung beschlossen.

Anlass der Aufstellung des Bebauungsplanes „Alte Mistkaut“ ist die beabsichtigte Schaffung planungsrechtlicher Grundlagen für die Sicherung der bestehenden und historisch gewachsenen Freizeitnutzungen an der Alten Mistkaut. Der Heimat- und Verkehrsverein Nackenheim veranstaltet in der „Alte Mistkaut“ bis zu zwei Weinproben im Vorfeld des Nackenheimer Weinfestes und versorgt dort die Teilnehmer an Wander- und/oder Laufveranstaltungen. Maximal wird die „Alte Mistkaut“ für 12 Veranstaltungen pro Jahr genutzt. Es ist dabei üblich, die Stromversorgung über Aggregate zu gewährleisten. Es ist geplant, eine dauerhafte elektrische Versorgung nun durch die Errichtung einer unterirdischen Stromleitung von der Trafostation der EWR Netz GmbH bis zur „Alte Mistkaut“ zu sichern. Der räumliche Geltungsbereich des Bebauungsplanes betrifft das Grundstück mit der amtlichen Katasterbezeichnung Gemarkung Nackenheim, Flur 24, Nr. 130/7 und Flur 27, Flurstück 49 sowie die angrenzende Wegeparzelle Flur 23, Nr. 1 (teilweise) und ist in der beigefügten Plandarstellung (ohne Maßstabsangabe) durch Umrandung gekennzeichnet; die Plandarstellung wird hiermit Bestandteil dieser Bekanntmachung. Der Plan hat keine Rechtswirkung und dient nur dem besseren Verständnis dieser Bekanntmachung.

Der Bebauungsplan einschließlich der Begründung kann bei der Verbandsgemeindeverwaltung, Am Dollesplatz 1, 55294 Bodenheim im Zimmer 123 von jedermann eingesehen oder per E-Mail an bauleitplanung@vg-bodenheim.de zum elektronischen Versand angefordert werden. Bitte beachten Sie, dass das Rathaus für den regelmäßigen Publikumsverkehr grundsätzlich nach vorheriger Terminvereinbarung geöffnet ist, sodass eine persönliche Einsichtnahme in den Bebauungsplan nach vorheriger telefonischer Absprache mit den Mitarbeiter*innen des Fachbereichs Natürliche Lebensgrundlagen und Bauen unter den Telefonnummern 06135 - 72130 und 06135 - 72266 oder per E-Mail an bauleitplanung@vg-bodenheim.de im Rathaus der Verbandsgemeinde Bodenheim während der üblichen Dienststunden der Verwaltung möglich ist. Für Mittwoch-Nachmittag werden keine Termine vergeben. Hier haben Sie die Möglichkeit, zwischen 14.00 Uhr und 19.00 Uhr ohne vorherige Terminabsprache in die ausgelegten Planunterlagen Einsicht zu nehmen.

Zusätzlich ist der Bebauungsplan auf der Homepage der Verbandsgemeinde Bodenheim sowie im Geoportal des Landkreises Mainz-Bingen einsehbar. Einen Link dazu finden Sie ebenfalls auf der Homepage der Verbandsgemeinde unter Ortsgemeinden-Nackenheim-Bauleitplanung.

Durch den nun rechtskräftigen Bebauungsplan kann die zulässige Nutzung eines Grundstückes so aufgehoben oder geändert werden, dass der Eigentümer gem. § 44 BauGB eine angemessene Entschädigung verlangen kann, wenn die in den §§ 39 bis 42 BauGB bezeichneten Vermögensnachteile eingetreten sind. Er kann die Fälligkeit des Anspruches dadurch herbeiführen, dass er die Leistung der Entschädigung schriftlich bei dem Entschädigungspflichtigen beantragt. Ein Entschädigungsanspruch erlischt, wenn nicht innerhalb von drei Jahren nach Ablauf des Kalenderjahres, in dem die Vermögensnachteile eingetreten sind, die Fälligkeit des Anspruches herbeigeführt wird.

Auf die Beachtlichkeit der Verletzung von Vorschriften über die Aufstellung von Bebauungsplänen gemäß den Bestimmungen des § 214 BauGB wird hingewiesen.

Unbeachtlich werden gemäß § 215 Abs. 1 BauGB

1.

eine nach § 214 Abs. 1 Satz 1 Nr. 1 bis 3 beachtliche Verletzung der dort bezeichneten Verfahrens- und Formvorschriften,

2.

eine unter Berücksichtigung des § 214 Abs. 2 beachtliche Verletzung der Vorschriften über das Verhältnis des Bebauungsplanes und des Flächennutzungsplanes und

3.

nach § 214 Abs. 3 Satz 2 beachtliche Mängel des Abwägungsvorganges,

wenn sie nicht innerhalb eines Jahres seit der Bekanntmachung der Satzung schriftlich gegenüber der Gemeinde unter Darlegung des die Verletzung begründenden Sachverhalts geltend gemacht worden sind. Dies gilt auch, wenn Fehler im beschleunigten Verfahren gemäß § 214 Abs. 2a beachtlich sind. Die Gemeinde kann Fehler durch ein ergänzendes Verfahren beheben und die Satzung auch rückwirkend in Kraft setzen.

Diese Satzung wurde in öffentlicher Sitzung i. S. des § 24 GemO Rheinland-Pfalz beschlossen. Danach gelten Satzungen, die unter Verletzung von Verfahrens- oder Formvorschriften dieses Gesetzes oder auf Grund dieses Gesetzes zustande gekommen sind, ein Jahr nach der Bekanntmachung als von Anfang an gültig zustande gekommen. Dies gilt nicht, wenn

1.

die Bestimmungen über die Öffentlichkeit der Satzung, die Genehmigung, die Ausfertigung oder die Bekanntmachung der Satzung verletzt worden sind, oder

2.

vor Ablauf der in Satz 1 genannten Frist die Aufsichtsbehörde den Beschluss beanstandet oder jemand die Verletzung der Verfahrens- oder Formvorschriften gegenüber der Gemeindeverwaltung unter Bezeichnung des Sachverhalts, der die Verletzung bergründen soll, schriftlich geltend gemacht hat.

Hat jemand eine Verletzung nach Satz 2 Nr. 2 geltend gemacht, so kann auch nach Ablauf der in Satz 1 genannten Frist jedermann diese Verletzung geltend machen. Bei der Bekanntmachung der Satzung ist auf die Voraussetzungen für die Geltendmachung der Verletzung von Verfahrens- oder Formvorschriften und die Rechtsfolgen hinzuweisen.

Mit dieser Bekanntmachung, die an die Stelle der sonst für Satzungen vorgeschriebenen Veröffentlichung tritt, wird der Bebauungsplan „Alte Mistkaut“ gemäß § 10 Abs. 3 BauGB rechtskräftig.

Nackenheim, den 24.11.2022
René Adler, Ortsbürgermeister