Titel Logo
Amtsblatt der VG Gau-Algesheim
Ausgabe 11/2026
Amtlicher Teil
Zurück zur vorigen Seite
Zurück zur ersten Seite der aktuellen Ausgabe

Bekanntmachung der Genehmigung

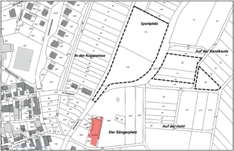
gem. § 6 Baugesetzbuch (BauGB) für die 30. Teilfortschreibung des Flächennutzungsplanes

(umfassende Fortschreibung) im Bereich des Bebauungsplans „Am Sportplatz“ der Ortsgemeinde Ober-Hilbersheim

Die Kreisverwaltung Mainz-Bingen hat mit Schreiben vom 03.03.2026 die 30. Teilfortschreibung des Flächennutzungsplanes (umfassende Fortschreibung) der Verbandsgemeinde Gau-Algesheim in den Abgrenzungen des Feststellungsbeschlusses vom 09.12.2025

gem. § 6 Abs. 1 BauGB genehmigt.

Der Flächennutzungsplan wird hiermit gem. § 6 Abs. 5 Satz 1 BauGB öffentlich bekannt gemacht. Mit dieser Bekanntmachung wird der Flächennutzungsplan wirksam (§ 6 Abs. 5 Satz 2 BauGB).

Vom Tage der Bekanntmachung an kann jedermann den Flächennutzungsplan, die Begründung mit integriertem Umweltbericht und die zusammenfassende Erklärung gem. § 6 a Abs. 1 BauGB in der Verbandsgemeindeverwaltung Gau-Algesheim, Hospitalstraße 22, Zimmer 210 und 211, während der Öffnungszeiten einsehen und über deren Inhalte Auskunft verlangen (§ 6 Abs. 5 Satz 4 BauGB).

Gem. § 6 a Abs. 2 BauGB sind die Unterlagen zudem auf der Homepage der Verbandsgemeinde­verwaltung Gau-Algesheim zu finden unter:

https://www.vg-gau-algesheim.de/vg_gau_algesheim/Bauen & Wohnen/Flächennutzungsplan/

Hinweis gemäß § 215 Abs. 1 BauGB:

Voraussetzungen für die Geltendmachung der Verletzung von Verfahrens- und Formvorschriften und von Mängeln der Abwägung sowie der Rechtsfolgen.

Unbeachtlich werden:

1.

eine nach § 214 Abs. 1 Satz 1 Nr. 1 bis 3 BauGB beachtliche Verletzung der dort bezeichneten Verfahrens- und Formvorschriften,

2.

eine unter Berücksichtigung des § 214 Absatz 2 beachtliche Verletzung der Vorschriften über das Verhältnis des Bebauungsplans und des Flächennutzungsplans, und

3.

nach § 214 Absatz 3 Satz 2 beachtliche Mängel des Abwägungsvorgangs,

wenn sie nicht innerhalb von einem Jahr seit dieser Bekanntmachung schriftlich gegenüber der Verbandsgemeinde Gau-Algesheim geltend gemacht werden; der Sachverhalt, der die Verletzung oder den Mangel begründen soll, ist darzulegen. Satz 1 gilt entsprechend, wenn Fehler nach § 214 Absatz 2a beachtlich sind.

Öffnungszeiten

Mo - Fr

8.00 - 12.00 Uhr

Mo - Mi

14.00 - 15.30

Do

14.00 - 18.00 Uhr

Eine vorherige Terminvereinbarung wird empfohlen.

gez. Neuhaus
-Bürgermeister-