Titel Logo
Amtsblatt der VG Gau-Algesheim
Ausgabe 14/2025
Amtlicher Teil
Zurück zur vorigen Seite
Zurück zur ersten Seite der aktuellen Ausgabe

Vollzug des Baugesetzbuches

Bebauungsplan „Im Steinert 1. Abschnitt 1. Änderung“ der Stadt Gau-Algesheim

hier: Beteiligung der Öffentlichkeit nach § 3 (2) BauGB, Geltungsbereich

Der Rat der Stadt Gau-Algesheim hat am 27.11.2024 die Aufstellung des Bebauungsplans „Im Steinert 1. Abschnitt 1. Änderung“ als Bebauungsplan im vereinfachten Verfahren gem. § 13 BauGB in Verbindung mit § 2 Abs. 4 BauGB und die Durchführung der weiteren Verfahrensschritte beschlossen. Diese Beschlüsse werden hiermit bekannt gemacht.

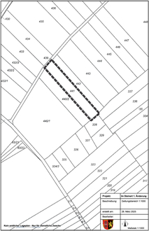
Der Bebauungsplan umfasst das Flurstück 441 in Flur 15.

Gemäß §§ 2 Abs. 4, § 2a und 13a BauGB wird keine Umweltprüfung für das Bauleitplanverfahren durchgeführt.

Gemäß § 3 Abs. 2 BauGB i.V.m. § 4a Abs. 3 BauGB in der Fassung der Bekanntmachung vom 03.11.2017 (BGBI. I S. 3634) zuletzt geändert durch Artikel 3 des Gesetzes vom 28.07.2025 (BGBl. 2025 I Nr. 221) wird folgendes bekannt gemacht: Der Entwurf des Bebauungsplans „Im Steinert 1. Abschnitt 1. Änderung“ wird in der Zeit vom

Freitag, 04.04.2025 bis einschließlich Dienstag, 08.05.2025

öffentlich ausgelegt. Der Bebauungsplanentwurf einschließlich der zugehörigen Begründung ist im genannten Zeitraum im Internet auf der Homepage der Verbandsgemeinde Gau-Algesheim unter dem unter dem Menüpunkt „Aktuelles“ – „Offenlegungen“ einsehbar. Alle Planunterlagen können auch über das zentrale Internetportal des Landes Rheinland-Pfalz unter www.geoportal.rlp.de abgerufen werden. Die beiliegende Skizze zeigt den Geltungsbereich des Bebauungsplanes (mit Stand des Aufstellungsbeschlusses). Sie entfaltet keine Rechtswirkung.

Als zusätzliches Informationsangebot werden die o. g. Planunterlagen in der Verbandsgemeindeverwaltung Gau-Algesheim, Hospitalstraße 22, 55435 Gau-Algesheim – im Bereich des Treppenhauses vor der Bauabteilung – während der Dienststunden öffentlich ausgelegt und können eingesehen werden.

Während der Veröffentlichungsfrist kann sich die Öffentlichkeit über die allgemeinen Ziele und Zwecke der Planungen unterrichten und es besteht Gelegenheit zur Äußerung und Erörterung. Es können Stellungnahmen abgegeben werden. Die Stellungnahmen sollen elektronisch übermittelt werden (via E-Mail an bauleitplanung@vg-gau-algesheim.de), können bei Bedarf aber auch auf anderem Weg abgegeben werden.

Es wird darauf hingewiesen, dass nicht fristgerecht abgegebene Stellungnahmen bei der Beschlussfassung über den Bauleitplan unberücksichtigt bleiben können. Mit der Erarbeitung des Bebauungsplans ist ein externes Planungsbüro beauftragt. Stellungnahmen werden anonymisiert weitergeleitet, es sei denn, die Anonymisierung der Angaben macht das Verständnis der Stellungnahme unmöglich. Die Vorgaben der DSGVO werden eingehalten.

Es wird darauf hingewiesen dass eine Vereinigung im Sinne des § 4 Absatz 3 Satz 1 Nummer 2 des Umwelt-Rechtsbehelfsgesetzes in einem Rechtsbehelfsverfahren nach § 7 Absatz 2 des Umwelt-Rechtsbehelfsgesetzes gemäß § 7 Absatz 3 Satz 1 des Umwelt-Rechtsbehelfsgesetzes mit allen Einwendungen ausgeschlossen ist, die sie im Rahmen der Veröffentlichungsfrist nicht oder nicht rechtzeitig geltend gemacht hat, aber hätte geltend machen können.

Bei inhaltlichen Rückfragen zu den Planunterlagen ist eine vorherige Terminvereinbarung unter

06725-910-134 oder Bauleitplanung@vg-gau-algesheim.de vorzunehmen.

Dienststunden

Mo-Fr

08.00 - 12.00 Uhr

Mo-Di

14.00 - 15.30 Uhr

Do

14.00 - 18.00 Uhr

Gau-Algesheim, der 03.04.2025
gez. König
-Stadtbürgermeister-