Titel Logo
Amtsblatt der VG Gau-Algesheim
Ausgabe 19/2023
Amtlicher Teil
Zurück zur vorigen Seite
Zurück zur ersten Seite der aktuellen Ausgabe

Satzung Veränderungssperre Bebauungsplan Um die ehem. Raiffeisenhalle 2. Änderung

Der Rat der Ortsgemeinde Appenheim hat in seiner Sitzung am 25.04.2023 aufgrund der § 14 und § 16 des Baugesetzbuches (BauGB) in der Fassung der Bekanntmachung vom 3. November 2017 (BGBl. I S. 3634), das zuletzt durch Artikel 1 des Gesetzes vom 8. Oktober 2022 (BGBl. I S. 2939) geändert worden ist i.V.m. § 24 Gemeindeordnung (GemO) Rheinland-Pfalz in der Fassung vom 31. Januar 1994 (GVBl. S. 153), zuletzt geändert durch Artikel 1 und 4 des Gesetzes vom 17.12.2020 (GVBl. S. 728), folgende Veränderungssperre als Satzung beschlossen:

§ 1

Sicherung der Planung

Der Rat der Ortsgemeinde Appenheim hat in seiner Sitzung am 25.04.2023 beschlossen, für das in § 2 bezeichnete Gebiet den Bebauungsplan zu ändern. Die Planung sieht die Ausweisung eines allgemeinen Wohngebiets vor. Zur Sicherung der Planung wird für dieses Gebiet eine Veränderungssperre erlassen.

§ 2

Räumlicher Geltungsbereich

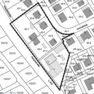
Die Veränderungssperre erstreckt sich auf den Geltungsbereich des in Aufstellung befindlichen Bebauungsplans „Um die ehemalige Raiffeisenhalle 2. Änderung“. Der Geltungsbereich umfasst folgende Flurstücke aus der Flur 4: 45/1, 45/2, 45/5, 45/6, 45/7, 45/8, 46, 47/1, 47/2, 48/1, 48/3, 48/4, 49/4 sowie aus Flur 3 Flurstück 144/1 tlw. (L415) Die nachfolgende Karte verdeutlicht den Geltungsbereich:

§ 3

Rechtswirkungen der Veränderungssperre

(1) In dem von der Veränderungssperre betroffenen Gebiet dürfen:

1. Vorhaben im Sinne des § 29 BauGB nicht durchgeführt oder bauliche Anlagen nicht beseitigt werden.

2. Erhebliche oder wesentliche Veränderungen von Grundstücken und baulichen Anlagen, deren Veränderungen nicht genehmigungs-, zustimmungs- oder anzeigepflichtig sind, nicht vorgenommen werden.

(2) Wenn überwiegende öffentliche Belange nicht entgegenstehen, kann von der Veränderungssperre eine Ausnahme zugelassen werden. Die Entscheidung über Ausnahmen trifft die Baugenehmigungsbehörde im Einvernehmen mit der Ortsgemeinde Appenheim.

(3) Vorhaben, die vor Inkrafttreten der Veränderungssperre baurechtlich genehmigt worden sind, Unterhaltungsarbeiten und Fortführung einer bisher ausgeübten Nutzung werden von der Veränderungssperre nicht berührt.

§ 4

Inkrafttreten und Außerkrafttreten der Veränderungssperre

Die Veränderungssperre tritt am Tage der Bekanntmachung in Kraft. Die Veränderungssperre tritt außer Kraft, sobald und soweit der Bebauungsplan „Um die ehemalige Raiffeisenhalle 2. Änderung“ für das in § 2 genannte Gebiet rechtsverbindlich wird. Sie tritt gem. § 17 Abs. 1 BauGB spätestens nach Ablauf von zwei Jahren außer Kraft. Die Gemeinde kann die Frist gem. § 17 Abs. 1 BauGB um ein Jahr verlängern. Wenn besondere Umstände es erfordern, kann die Gemeinde die Frist gem. § 17 Abs. 2 BauGB bis zu einem weiteren Jahr nochmals verlängern.

Hinweise

Dauert die Veränderungssperre länger als vier Jahre über den Zeitpunkt ihres Beginns oder der ersten Zurückstellung eines Baugesuchs nach § 15 Abs. 1 BauGB hinaus, so ist dem Betroffenen für dadurch entstandene Vermögensnachteile eine angemessene Entschädigung in Geld zu leisten (§ 18 Abs. 1 Satz 1 BauGB). Auf die Vorschriften des § 18 Abs. 2 Satz 2 und 3 BauGB über die Geltendmachung etwaiger Entschädigungsansprüche für eintretende Vermögensnachteile durch die Veränderungssperre nach § 18 und des § 18 Abs. 3 BauGB über das Erlöschen der Entschädigungsansprüche bei nicht fristgerechter Geltendmachung wird hingewiesen.

Bekanntmachungsanordnung

Die vorstehende Satzung über die Veränderungssperre für den Geltungsbereich des Bebauungsplanes „Um die ehemalige Raiffeisenhalle, 2. Änderung“ und die Hinweise werden hiermit öffentlich bekannt gemacht. Sie kann ab sofort von jedermann während der Dienststunden in der Verbandsgemeindeverwaltung, Hospitalstraße 22, 55435 Gau-Algesheim oder auf der Homepage der Verbandsgemeindeverwaltung eingesehen werden.

Hinweise:

Für die vorstehende Satzung ist eine Verletzung der Bestimmungen über Ausschließungsgründe gemäß § 22 Abs. 1 Gemeindeordnung (GemO) und die Einberufung der Tagesordnung von Sitzungen des Gemeinderates gemäß § 34 GemO unbeachtlich, wenn sie nicht innerhalb eines Jahres nach dieser öffentlichen Bekanntmachung unter Bezeichnung der Satzung und Tatsachen, die eine öffentliche Rechtsverletzung begründen können, bei der Ortsgemeinde Appenheim geltend gemacht werden.

Hinweis nach § 24 Abs. 6 GemO:

Satzungen, die unter Verletzung von Verfahrens- oder Formvorschriften dieses Gesetzes oder auf Grund dieses Gesetzes zustande gekommen sind, gelten ein Jahr nach der Bekanntmachung als von Anfang an gültig zustande gekommen. Dies gilt nicht, wenn 1. die Bestimmungen über die Öffentlichkeit der Sitzung, die Genehmigung, die Ausfertigung oder die Bekanntmachung der Satzung verletzt worden sind, oder 2. vor Ablauf der in Satz 1 genannten Frist die Aufsichtsbehörde den Beschluss beanstandet oder jemand die Verletzung der Verfahrens- oder Formvorschriften gegenüber der Gemeindeverwaltung unter Bezeichnung des Sachverhaltes, der die Verletzung begründen soll, schriftlich geltend gemacht hat. Hat jemand eine Verletzung nach Satz 2 Nr. 2 geltend gemacht, so kann auch nach Ablauf der in Satz 1 genannten Frist jedermann diese Verletzung geltend machen.

Ausgefertigt Appenheim, den 08.05.2023
Georg Schacht
Ortsbürgermeister (Siegel)