Titel Logo
Amtsblatt der VG Gau-Algesheim
Ausgabe 22/2023
Amtlicher Teil
Zurück zur vorigen Seite
Zurück zur ersten Seite der aktuellen Ausgabe

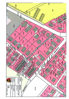
Widmungsverfügung der Verkehrsanlage „Bubenheimer Straße“ in Schwabenheim

Entsprechend des Beschlusses des Ortsgemeinderates Schwabenheim vom 22.05.2023 gilt die Verkehrsanlage „Bubenheimer Straße“ (Grundstück Gem. Schwabenheim, Flur 2 Nr. 252/3, 252/4 (Teilfläche)) gemäß § 36 Abs. 1 Landesstraßengesetz von Rheinland-Pfalz vom 01.08.1977 (GVBl. S. 273), zuletzt geändert durch Gesetz vom 22.12.2015 (GVBl. S. 516), als Gemeindestraße im Sinne von § 3 Nr. 3 a Landesstraßengesetz für den öffentlichen Verkehr gewidmet.

Gau-Algesheim, den 24.05.2023
gez. Benno Neuhaus
Bürgermeister

Die Widmungsverfügung mit entsprechender Begründung kann bei der Verbandsgemeindeverwaltung Gau-Algesheim während der Sprechstunden (montags bis mittwochs von 8.00 Uhr bis 12.00 Uhr und 14.00 bis 15.30 Uhr, donnerstags von 8.00 Uhr bis 12.00 Uhr und von 14.00 Uhr bis 18.00 Uhr) im Rathaus der Verbandsgemeindeverwaltung, Hospitalstraße 22, 55435 Gau-Algesheim, Zimmer 226 eingesehen werden.

Diese Allgemeinverfügung gilt mit Ablauf des 15.06.2023 als bekannt gegeben.