Titel Logo
Amtsblatt der VG Gau-Algesheim
Ausgabe 31/2025
Amtlicher Teil
Zurück zur vorigen Seite
Zurück zur ersten Seite der aktuellen Ausgabe

Vollzug des Baugesetzbuches

Abbildung 1: Geltungsbereich des Bebauungsplans "Am Sportplatz (KiTa)"

Abbildung 2: Lage des Plangebiets "Am Sportplatz (KiTa)" in der Ortsgemeinde

Bauleitplanung der Verbandsgemeinde Gau-Algesheim, Ortsgemeinde Ober-Hilbersheim

Flächennutzungsplan der VG Gau-Algesheim

30. Teilfortschreibung „Am Sportplatz (KiTa)“

Offenlage gem. § 3 (2) i.V.m. § 4 (2) BauGB

Öffentliche Auslegung des Entwurfs

Geltungsbereich

Der Rat der Verbandsgemeinde Gau-Algesheim hat in seiner Sitzung am 02.06.2022 die Aufstellung der 30. Teilfortschreibung des Flächennutzungsplans „Am Sportplatz (KiTa)“ im Bereich der Ortsgemeinde Ober-Hilbersheim beschlossen. Dieser Beschluss wurde am 07.12.2023 bekanntgemacht.

Die 30. Teilfortschreibung erfolgt im Parallelverfahren nach § 8 Abs. 3 BauGB. Planziel ist die Schaffung der bauplanungsrechtlichen Grundlagen für den Neubau einer Kindertagesstätte der Ortsgemeinden Ober- und Nieder-Hilbersheim. Der Geltungsbereich und die Lage des Plangebietes sind den nachstehenden Übersichtskarten zu entnehmen.

In seiner Sitzung vom 05.10.2023 hat der Rat der Verbandsgemeinde Gau-Algesheim die Planung angenommen sowie die Durchführung der frühzeitigen Beteiligung gem. §§ 3 (1) und 4 (1) BauGB beschlossen, die vom 15.12.2023 bis einschließlich 19.01.2024 durchgeführt wurde.

Die eingegangenen Stellungnahmen wurden in die Abwägung eingestellt und am 12.03.2024 und am 05.06.2025 im Verbandsgemeinderat beschlossen. Die Einwender wurden am 23.06.2025 hierüber informiert. Ebenfalls am 05.06.2025 wurde die weitergeführte Planung vom Verbandsgemeinderat angenommen und die Durchführung der Offenlage gem. §§ 3 (2), 4 (2) BauGB beschlossen. Dieser Beschluss wird hiermit bekannt gemacht.

Der Öffentlichkeit wird im Rahmen der Offenlage der Teilfortschreibung des Flächennutzungsplans im Zeitraum vom

01.08.2025 bis einschließlich zum 02.09.2025

Gelegenheit gegeben, sich über die allgemeinen Ziele und Zwecke und die voraussichtlichen Auswirkungen der Planung der Ortsgemeinde zu informieren sowie sich hierzu zu äußern. Dies soll per E-Mail an bauleitplanung@vg-gau-algesheim.de, in Ausnahmefällen per Post erfolgen.

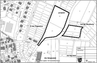
Der Geltungsbereich des Plangebietes liegt im Osten der Ortsgemeinde Ober-Hilbersheim im Landkreis Mainz-Bingen. Die ca. 1,3 ha große Fläche befindet sich im Nordosten innerhalb der Ortsgemeinde Ober-Hilbersheim. Die Lage ist im beigefügten Lageplan dargestellt. Dieser Plan entfaltet keine Rechtskraft.

Plangebietsabgrenzung für den Bebauungsplan „Am Sportplatz (KiTa)“, Ortsgemeinde Ober-Hilbersheim, Gemarkung Ober-Hilbersheim (ohne Maßstab):

Der künftige Geltungsbereich ergibt sich aus dem nachfolgenden Plan und ist schwarz umrandet.

Die Lage der Abgrenzung hat keine Rechtsverbindlichkeit und kennzeichnet nur die Lage des Planungsbereiches.

Übersichtsplan zur Lage der Planung, Ortsgemeinde Ober-Hilbersheim, Gemarkung Ober-Hilbersheim (ohne Maßstab).

Die Lage der Abgrenzung hat keine Rechtsverbindlichkeit und kennzeichnet nur die Lage des Planungsbereiches.

Gemäß § 2 Abs. 4 und § 2a BauGB wurde eine Umweltprüfung für das Bauleitplanverfahren durchgeführt, in der die voraussichtlich erheblichen Umwelteinwirkungen ermittelt und in einem Umweltbericht beschrieben und bewertet werden. Dieser wird in der Entwurfsfassung ausgelegt.

Folgende Arten umweltbezogener Informationen sind darüber hinaus verfügbar und werden ebenfalls ausgelegt (§ 3 Abs. 2 BauGB):

(3)

Artenschutzrechtliche Einschätzung

(3)

Geotechnischer Bericht (Tragfähigkeit, Belastung, Versickerungsfähigkeit des Baugrunds)

(3)

Magnetometerprospektion (Archäologie, Kampfmittel)

(4)

Hydrogeologie: Starkregen- und Sturzflutgefährdung

(5)

Natura 2000-Verträglichkeitsvorprüfung

Umweltbezogene Stellungnahmen im Rahmen der frühzeitigen Beteiligung der Behörden und der sonstigen Träger öffentlicher Belange gemäß § 4 Abs. 1 gingen zu folgenden Themen ein:

Hinweise zur Einleitung von Schmutz- und Niederschlagswasser

Schutzgut archäologische Denkmale

Starkregen / Sturzflutgefährdung

Bodenschutz, Geothermie, bauzeitliche Wasserhaltung

Schutzgut Gehölze/Wald/Eingrünung

Straßennetz

Eingriffs-Ausgleichs-Bilanzierung, Ausgleichsmaßnahmen

Brandschutztechnische Belange / Löschwasser

Leitungen

Seitens der Öffentlichkeit ging eine Stellungnahme verspätet ein, wurde jedoch ebenfalls in die Abwägung eingestellt.

Der Entwurf ist im Auslegungszeitraum auf der Internetseite der Verbandsgemeinde Gau-Algesheim unter www.gau-algesheim.de unter dem Menüpunkt „Aktuelles“ – „Offenlegungen“ abrufbar. Die Auslegungsunterlagen werden ferner über das zentrale Internetportal des Landes Rheinland-Pfalz unter www.geoportal.rlp.de zugänglich gemacht.

Die Unterlagen werden außerdem im Rathaus der Verbandsgemeinde Gau-Algesheim im Treppenhaus im 2. Obergeschoss vor der Bauabteilung während der Dienststunden zur Einsicht bereitgelegt. Diese sind

Montag bis Freitag

08:30 – 12:00 Uhr, und

Montag und Dienstag

14:00 – 15:30 Uhr

Donnerstag

14:00 – 18:00 Uhr

Für inhaltliche Rückfragen steht die Abteilung Bauleitplanung unter bauleitplanung@vg-gau-algesheim.de oder 06725-910-134 zur Verfügung. Bei persönlicher Vorsprache wird um Terminvereinbarung gebeten.

Die betroffenen Behörden und sonstigen Träger öffentlicher Belange werden parallel zur Öffentlichkeit beteiligt.

Es wird darauf hingewiesen, dass ein Planungsbüro mit der Durchführung des Verfahrens gem. § 4b BauGB beauftragt worden ist.

Hinweise:

Es wird darauf hingewiesen, dass nicht fristgerecht abgegebene Stellungnahmen gem. § 3 Abs. 2 BauGB i.V.m. § 4a Abs. 6 BauGB bei der Beschlussfassung über den Bebauungsplan unberücksichtigt bleiben können, sofern die Ortsgemeinde deren Inhalt nicht kannte und nicht hätte kennen müssen und deren Inhalt für die Rechtmäßigkeit des Bebauungsplans nicht von Bedeutung ist.

Gau-Algesheim, der 31.07.2025
gez. Kern
-1. Beigeordnete-