Titel Logo
Amtsblatt der VG Gau-Algesheim
Ausgabe 31/2025
Amtlicher Teil
Zurück zur vorigen Seite
Zurück zur ersten Seite der aktuellen Ausgabe

Vollzug des Baugesetzbuches

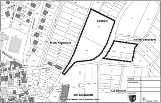
Abbildung 1: Geltungsbereich des Bebauungsplans "Am Sportplatz (KiTa)"

Abbildung 2: Lage des Plangebiets "Am Sportplatz (KiTa)" in der Ortsgemeinde

Bebauungsplan „Am Sportplatz (KiTa)“ der Ortsgemeinde Ober-Hilbersheim

Offenlage gem. § 3 (2) i.V.m. § 4 (2) BauGB

Öffentliche Auslegung des Vorentwurfs

Geltungsbereich

Der Ortsgemeinderat Ober-Hilbersheim hat am 07.04.2022 in öffentlicher Sitzung aufgrund § 2 Abs. 1 BauGB für den in der Planzeichnung dargestellten Bereich die Aufstellung des Be-bauungsplanes „Am Sportplatz (KiTa)“ beschlossen. Der Aufstellungsbeschluss wurde gemäß § 2 Abs. 1 BauGB am 27.10.2022 im amtlichen Teil des Amtsblatts 43/2022 der Verbandsgemeinde orts-üblich bekannt gemacht. Die frühzeitige Beteiligung wurde vom Ortsgemeinderat am 14.09.2023 beschlossen, am 05.10.2023 im Amtsblatt 40/2023 bekanntgemacht und vom 13.10. bis einschließlich 14.11.2023 durchgeführt.

Die eingegangenen Stellungnahmen wurden in die Abwägung eingestellt und am 06.02.2024 im Ortsgemeinderat beschlossen. Die Einwender wurden am 23.04.2024 hierüber informiert. Am 06.03.2025 wurde die weitergeführte Planung vom Ortsgemeinderat angenommen und die Durchführung der Offenlage gem. §§ 3 (2), 4 (2) BauGB beschlossen. Dieser Beschluss wird hiermit bekannt gemacht.

Der Öffentlichkeit wird im Rahmen der Offenlage zum Bebauungsplanvorentwurf im Zeitraum vom

01.08.2025 bis einschließlich zum 02.09.2025

Gelegenheit gegeben, sich über die allgemeinen Ziele und Zwecke und die voraussichtlichen Auswirkungen der Planung der Ortsgemeinde zu informieren sowie sich hierzu zu äußern. Dies soll per E-Mail an bauleitplanung@vg-gau-algesheim.de, in Ausnahmefällen per Post erfolgen.

Der Geltungsbereich des Plangebietes liegt im Osten der Ortsgemeinde Ober-Hilbersheim im Landkreis Mainz-Bingen. Die ca. 1,3 ha große Fläche befindet sich innerhalb der Ortsgemeinde Ober-Hilbersheim und umfasst in Flur 2 die Flurstücknummern 175 und 176 sowie in Flur 3 die Flurstücke 321/2 tlw., 40, 41, 42. Diese Flurstücke sind im beigefügten Lageplan dargestellt.

Plangebietsabgrenzung für den Bebauungsplan „Am Sportplatz (KiTa)“, Ortsgemeinde Ober-Hilbersheim, Gemarkung Ober-Hilbersheim (ohne Maßstab):

Der künftige Geltungsbereich ergibt sich aus dem nachfolgenden Plan und ist schwarz umrandet.

Die Lage der Abgrenzung hat keine Rechtsverbindlichkeit und kennzeichnet nur die Lage des Planungsbereiches.

Übersichtsplan zur Lage der Planung, Ortsgemeinde Ober-Hilbersheim, Gemarkung Ober-Hilbersheim (ohne Maßstab).

Die Lage der Abgrenzung hat keine Rechtsverbindlichkeit und kennzeichnet nur die Lage des Planungsbereiches.

Gemäß § 2 Abs. 4 und § 2a BauGB wurde eine Umweltprüfung für das Bauleitplanverfahren durchgeführt, in der die voraussichtlich erheblichen Umwelteinwirkungen ermittelt und in einem Umweltbericht beschrieben und bewertet werden. Dieser wird in der Entwurfsfassung ausgelegt.

Folgende Arten umweltbezogener Informationen sind darüber hinaus verfügbar und werden ebenfalls ausgelegt (§ 3 Abs. 2 BauGB):

(3)

Artenschutzrechtliche Einschätzung

(3)

Geotechnischer Bericht (Tragfähigkeit, Belastung, Versickerungsfähigkeit des Baugrunds)

(3)

Magnetometerprospektion (Archäologie, Kampfmittel)

(4)

Hydrogeologie: Starkregen- und Sturzflutgefährdung

(5)

Natura 2000-Verträglichkeitsvorprüfung

Umweltbezogene Stellungnahmen im Rahmen der frühzeitigen Beteiligung der Behörden und der sonstigen Träger öffentlicher Belange gemäß § 4 Abs. 1 gingen zu folgenden Themen ein:

Hinweise zur Einleitung von Schmutz- und Niederschlagswasser

Schutzgut archäologische Denkmale

Starkregen / Sturzflutgefährdung

Bodenschutz, Geothermie, bauzeitliche Wasserhaltung

Schutzgut Gehölze/Wald/Eingrünung

Straßennetz

Eingriffs-Ausgleichs-Bilanzierung, Ausgleichsmaßnahmen

Brandschutztechnische Belange / Löschwasser

Leitungen

Seitens der Öffentlichkeit ging eine Stellungnahme verspätet ein, wurde jedoch ebenfalls in die Abwägung eingestellt.

Der Entwurf ist im Auslegungszeitraum auf der Internetseite der Verbandsgemeinde Gau-Algesheim unter www.gau-algesheim.de unter dem Menüpunkt „Aktuelles“ – „Offenlegungen“ abrufbar. Die Auslegungsunterlagen werden ferner über das zentrale Internetportal des Landes Rheinland-Pfalz unter www.geoportal.rlp.de zugänglich gemacht.

Die Unterlagen werden außerdem im Rathaus der Verbandsgemeinde Gau-Algesheim im Treppenhaus im 2. Obergeschoss vor der Bauabteilung während der Dienststunden zur Einsicht bereitgelegt. Diese sind

Montag bis Freitag

08:30 – 12:00 Uhr, und

Montag und Dienstag

14:00 – 15:30 Uhr

Donnerstag

14:00 – 18:00 Uhr

Für inhaltliche Rückfragen steht die Abteilung Bauleitplanung unter bauleitplanung@vg-gau-algesheim.de oder 06725-910-134 zur Verfügung. Bei persönlicher Vorsprache wird um Terminvereinbarung gebeten.

Die betroffenen Behörden und sonstigen Träger öffentlicher Belange werden parallel zur Öffentlichkeit beteiligt.

Es wird darauf hingewiesen, dass ein Planungsbüro mit der Durchführung des Verfahrens gem. § 4b BauGB beauftragt worden ist.

Hinweise:

Es wird darauf hingewiesen, dass nicht fristgerecht abgegebene Stellungnahmen gem. § 3 Abs. 2 BauGB i.V.m. § 4a Abs. 6 BauGB bei der Beschlussfassung über den Bebauungsplan unberücksichtigt bleiben können, sofern die Ortsgemeinde deren Inhalt nicht kannte und nicht hätte kennen müssen und deren Inhalt für die Rechtmäßigkeit des Bebauungsplans nicht von Bedeutung ist.

Gau-Algesheim, der 31.07.2025
gez. Bieser
-Ortsbürgermeister-