Titel Logo
Amtsblatt der VG Gau-Algesheim
Ausgabe 37/2025
Amtlicher Teil
Zurück zur vorigen Seite
Zurück zur ersten Seite der aktuellen Ausgabe

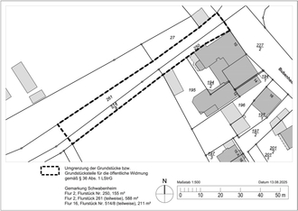
Widmungsverfügung einer Erschließungsstraße in Schwabenheim

Entsprechend des Beschlusses des Ortsgemeinderates Schwabenheim vom 01.09.2025 gelten nach den §§ 123 bis 135 des Baugesetzbuches (BauGB) in der Neufassung vom 27.08.1997 (BGBl. I S. 2141) die gemeindlichen Grundstücksflächen Gemarkung Schwabenheim, Flur 2, Flurstücke 250 und 261 (teilweise) sowie Flur 16, Flurstück 514/8 (teilweise) als erstmalig hergestellt und werden gemäß § 36 Abs. 1 des Landestraßengesetzes von Rheinland-Pfalz vom 01.08.1977 (GVBl. S. 273) zuletzt geändert durch Gesetz vom 08.04.1991 (GVBl. S. 124) als Gemeindestraße im Sinne von § 3 Nr. 3 a Landesstraßengesetz für den öffentlichen Verkehr gewidmet.

Gau-Algesheim, den 11.09.2025
gez. Neuhaus
Bürgermeister

Die Widmungsverfügung mit entsprechender Begründung und Lageplan des gewidmeten Bereichs kann bei der Verbandsgemeindeverwaltung Gau-Algesheim während der Sprechstunden (montags und dienstags von 8.30 Uhr bis 12.00 Uhr und 14.00 Uhr bis 15.30 Uhr, mittwochs von 8.30 Uhr bis 12.00 Uhr, donnerstags von 8.30 Uhr bis 12.00 Uhr und von 14.00 Uhr bis 18.00 Uhr, freitags von 8.30 Uhr bis 12.00 Uhr) im Rathaus der Verbandsgemeindeverwaltung, Hospitalstraße 22, 55435 Gau-Algesheim, Zimmer 209 eingesehen werden.

Diese Allgemeinverfügung gilt mit Ablauf des 26.09.2025 als bekannt gegeben.