Titel Logo
Amtsblatt der VG Gau-Algesheim
Ausgabe 40/2023
Amtlicher Teil
Zurück zur vorigen Seite
Zurück zur ersten Seite der aktuellen Ausgabe

Vollzug des Baugesetzbuches

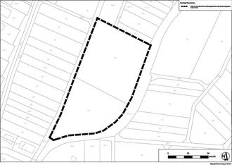
Abbildung 1: Geltungsbereich des Bebauungsplans "Am Sportplatz (KiTa)"

Abbildung 2: Lage des Plangebiets "Am Sportplatz (KiTa)" in der Ortsgemeinde

Bebauungsplan „Am Sportplatz (KiTa)“ der Ortsgemeinde Ober-Hilbersheim

-

Frühzeitige Beteiligung der Öffentlichkeit gem. § 3 (1) BauGB

-

Öffentliche Auslegung des Vorentwurfs

-

Geltungsbereich

Bebauungsplan „Am Sportplatz (KiTa)“ der Ortsgemeinde Ober-Hilbersheim, Gemarkung Ober-Hilbersheim gemäß § 2 Abs. 1 BauGB

Bekanntmachung der frühzeitigen Beteiligung gemäß § 3 Abs. 1 BauGB i.V.m. § 4 Abs. 1 BauGB

Der Ortsgemeinderat Ober-Hilbersheim hat am 07.04.2022 in öffentlicher Sitzung aufgrund § 2 Abs. 1 BauGB für den in der Planzeichnung dargestellten Bereich die Aufstellung des Be-bauungsplanes „Am Sportplatz (KiTa)“ beschlossen. Der Aufstellungsbeschluss wurde gemäß § 2 Abs. 1 BauGB am 27.10.2022 im amtlichen Teil des Amtsblatts 43/2022 der Verbandsgemeinde orts-üblich bekannt gemacht.

Der Beschluss über die frühzeitige Beteiligung nach § 3 Abs. 1 BauGB i.V.m. § 4 Abs. 1 BauGB wurde in öffentlicher Sitzung des Ortsgemeinderates Ober-Hilbersheim am 14.09.2023 gefasst und hiermit bekanntgemacht.

Der Öffentlichkeit wird im Rahmen der frühzeitigen Beteiligung zum Bebauungsplanvorentwurf im Zeitraum vom

13.10.2023 bis einschließlich zum 14.11.2023

Gelegenheit gegeben, sich über die allgemeinen Ziele und Zwecke und die voraussichtlichen Auswirkungen der Planung der Ortsgemeinde zu informieren sowie sich hierzu zu äußern. Dies soll per E-Mail an bauleitplanung@vg-gau-algesheim.de oder per Post erfolgen.

Der Geltungsbereich des Plangebietes liegt im Osten der Ortsgemeinde Ober-Hilbersheim im Landkreis Mainz-Bingen. Die ca. 0,95 ha große Fläche befindet sich innerhalb der Ortsgemeinde Ober-Hilbersheim und umfasst in der Flur 2 die Flurstücknummern 175 und 176.

Der Geltungsbereich wird von folgenden Flurstücken begrenzt:

-

Im Norden durch das Flurstück Nrn. 174, 347/2 und 169/2 Flur 2

-

Im Osten durch das Flurstück Nr. 321/2 Flur 3

-

Im Süden durch das Flurstück Nr. 321/2 Flur 3

-

Im Westen durch das Flurstück Nr. 347/1 Flur 2

Diese Flurstücke sind im beigefügten Lageplan dargestellt.

Plangebietsabgrenzung für den Bebauungsplan „Am Sportplatz (KiTa)“, Ortsgemeinde Ober-Hilbersheim, Gemarkung Ober-Hilbersheim (ohne Maßstab):

Der künftige Geltungsbereich ergibt sich aus dem nachfolgenden Plan und ist schwarz umrandet.

Die Lage der Abgrenzung hat keine Rechtsverbindlichkeit und kennzeichnet nur die Lage des Planungsbereiches.

Übersichtsplan zur Lage der Planung, Ortsgemeinde Ober-Hilbersheim, Gemarkung Ober-Hilbersheim (ohne Maßstab).

Die Lage der Abgrenzung hat keine Rechtsverbindlichkeit und kennzeichnet nur die Lage des Planungsbereiches.

Der Entwurf ist im Auslegungszeitraum auf der Internetseite der Verbandsgemeinde Gau-Algesheim unter www.gau-algesheim.de unter dem Menüpunkt „Aktuelles“ – „Offenlegungen“ abrufbar. Die Auslegungsunterlagen werden ferner über das zentrale Internetportal des Landes Rheinland-Pfalz unter www.geoportal.rlp.de zugänglich gemacht.

Die Unterlagen werden außerdem im Rathaus der Verbandsgemeinde Gau-Algesheim im Treppenhaus im 2. Obergeschoss vor der Bauabteilung während der Dienststunden zur Einsicht bereitgelegt. Diese sind

Montag bis Freitag

08:30 – 12:00 Uhr, und

Montag und Dienstag

14:00 – 15:30 Uhr

Donnerstag

14:00 – 18:00 Uhr

Für inhaltliche Rückfragen steht die Abteilung Bauleitplanung unter bauleitplanung@vg-gau-algesheim.de oder 06725-910-134 (Andrea Fuchs) zur Verfügung. Bei persönlicher Vorsprache wird um Terminvereinbarung gebeten.

Die betroffenen Behörden und sonstigen Träger öffentlicher Belange werden parallel zur Öffentlichkeit beteiligt.

Es wird darauf hingewiesen, dass ein Planungsbüro (Enviro-Plan GmbH) mit der Durchführung des Verfahrens gem. § 4b BauGB beauftragt worden ist.

Hinweise:

Es wird darauf hingewiesen, dass nicht fristgerecht abgegebene Stellungnahmen gem. § 3 Abs. 2 BauGB i.V.m. § 4a Abs. 6 BauGB bei der Beschlussfassung über den Bebauungsplan unberücksichtigt bleiben können, sofern die Ortsgemeinde deren Inhalt nicht kannte und nicht hätte kennen müssen und deren Inhalt für die Rechtmäßigkeit des Bebauungsplans nicht von Bedeutung ist.

Gau-Algesheim, der 05.10.2023
gez. Bieser
-Ortsbürgermeister-