Titel Logo
Amtsblatt der VG Gau-Algesheim
Ausgabe 49/2023
Amtlicher Teil
Zurück zur vorigen Seite
Zurück zur ersten Seite der aktuellen Ausgabe

Vollzug des Baugesetzbuches

Bauleitplanung der Verbandsgemeinde Gau-Algesheim, Ortsgemeinde Ober-Hilbersheim

Flächennutzungsplan der VG Gau-Algesheim

30. Teilfortschreibung „Am Sportplatz (KiTa)“

hier: - Bekanntmachung des Aufstellungsbeschlusses gem. § 2 (1) BauGB

- Bekanntmachung der Frühzeitigen Beteiligung der Öffentlichkeit und der Träger öffentlicher Belange gem. §§ 3 (1) und 4 (1) BauGB

Der Rat der Verbandsgemeinde Gau-Algesheim hat in seiner Sitzung am 02.06.2022 die Aufstellung der 30. Teilfortschreibung des Flächennutzungsplans „Am Sportplatz (KiTa)“ im Bereich der Ortsgemeinde Ober-Hilbersheim beschlossen. Gem. § 2 (1) BauGB wird dieser Aufstellungsbeschluss hiermit bekannt gemacht.

In seiner Sitzung vom 05.10.2023 hat der Rat der Verbandsgemeinde Gau-Algesheim die aktuelle Planung angenommen sowie die Durchführung der frühzeitigen Beteiligung gem. §§ 3 (1) und 4 (1) BauGB beschlossen

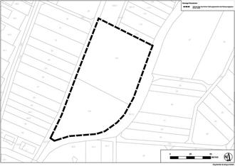
Die 30. Teilfortschreibung erfolgt im Parallelverfahren nach § 8 Abs. 3 BauGB. Planziel ist die Schaffung der bauplanungsrechtlichen Grundlagen für den Neubau einer Kindertagesstätte der Ortsgemeinden Ober- und Nieder-Hilbersheim. Der Geltungsbereich und die Lage des Plangebietes sind den nachstehenden Übersichtskarten zu entnehmen.

Gemäß § 3 (1) BauGB ist der Vorentwurf der Flächennutzungsplanänderung einschließlich der zugehörigen Begründung, des Umweltberichts, der Landesplanerischen Stellungnahme sowie dem Inhalt dieser Bekanntmachung während der Veröffentlichungsfrist von

Freitag, 15.12.2023, bis einschließlich Freitag, 19.01.2024,

im Internet auf der Homepage der Verbandsgemeinde Gau-Algesheim unter dem unter dem Menüpunkt „Aktuelles“ - „Offenlegungen“ einsehbar. Alle Planunterlagen können auch über das zentrale Internetportal des Landes Rheinland-Pfalz unter www.geoportal.rlp.de abgerufen werden. Die beiliegenden Skizzen zeigen den Änderungsbereich des Flächennutzungsplans. Sie entfalten keine Rechtswirkung.

Als zusätzliches Informationsangebot werden die o. g. Planunterlagen in der Verbandsgemeindeverwaltung Gau-Algesheim, Hospitalstraße 22, 55435 Gau-Algesheim - im Bereich des Treppenhauses vor der Bauabteilung - während der Dienststunden öffentlich ausgelegt und können eingesehen werden.

Dienststunden

Mo-Fr

08.30 - 12.00 Uhr

Mo-Di

14.00 - 15.30 Uhr

Do

14.00 - 18.00 Uhr

Für inhaltliche Rückfragen zu den Planunterlagen wird eine vorherige Terminvereinbarung unter 06725-910-134 oder bauleitplanung@vg-gau-algesheim.de empfohlen.

Während der Veröffentlichungsfrist kann sich die Öffentlichkeit über die allgemeinen Ziele und Zwecke der Planungen unterrichten und es besteht Gelegenheit zur Äußerung und Erörterung. Es können Stellungnahmen abgegeben werden. Die Stellungnahmen sollen elektronisch übermittelt werden (via E-Mail an bauleitplanung@vg-gau-algesheim.de), können bei Bedarf aber auch auf anderem Weg abgegeben werden.

Es wird darauf hingewiesen, dass Stellungnahmen während der Auslegungsfrist abgegeben werden können. Nicht fristgerecht abgegebene Stellungnahmen können bei der Beschlussfassung über den Bauleitplan unberücksichtigt bleiben.

Es wird darauf hingewiesen dass eine Vereinigung im Sinne des § 4 Absatz 3 Satz 1 Nummer 2 des Umwelt-Rechtsbehelfsgesetzes in einem Rechtsbehelfsverfahren nach § 7 Absatz 2 des Umwelt-Rechtsbehelfsgesetzes gemäß § 7 Absatz 3 Satz 1 des Umwelt-Rechtsbehelfsgesetzes mit allen Einwendungen ausgeschlossen ist, die sie im Rahmen der Veröffentlichungsfrist nicht oder nicht rechtzeitig geltend gemacht hat, aber hätte geltend machen können.

Gau-Algesheim, der 07.12.2023
gez. Neuhaus, Bürgermeister