Titel Logo
Binger R(h)einschau - Mitteilungsblatt mit den Amtlichen Bekanntmachungen der Stadt Bingen
Ausgabe 40/2025
Amtlicher Teil
Zurück zur vorigen Seite
Zurück zur ersten Seite der aktuellen Ausgabe

Bekanntmachung

Aufstellung des Bebauungsplanes (BP) „Rheinufer Kempten“ (Nr. 709.0) in Bingen-Kempten

Bekanntmachung des Aufstellungsbeschlusses gemäß § 2 Abs. 1 Baugesetzbuch (BauGB) in der Fassung der Bekanntmachung vom 23.09.2004 (BGBl. I S. 2414) zuletzt geändert durch Gesetz vom 12.08.2025 (BGBl. I S. 189) m.W.v. 15.08.2025

Veröffentlichung gemäß § 3 Abs. 1 Baugesetzbuch (BauGB) in der Fassung der Bekanntmachung vom 23.09.2004 (BGBl. I S. 2414) zuletzt geändert durch Gesetz vom 12.08.2025 (BGBl. I S. 189) m.W.v. 15.08.2025

Der Rat der Stadt Bingen hat in seiner Sitzung am 26.08.2025 die Aufstellung des Bebauungsplanes „Rheinufer Kempten“ (Nr. 709.0) entsprechend der Regelungen des § 12 BauGB als vorhabenbezogener Bebauungsplan beschlossen. Dieser Aufstellungsbeschluss wird gemäß § 2 Abs. 1 BauGB hiermit bekannt gemacht.

Die Zielsetzung der Bebauungsplanaufstellung ist die Entwicklung einer ehemaligen Gewerbefläche. Auf der Fläche soll sowohl ein Wohnmobilstellplatz als auch eine Fläche für Außengastronomie entstehen. Zudem wird die DLRG ihren Platz auf dem Grundstück behalten. Durch die Entwicklung der Fläche profitieren somit Binger Bürgerinnen und Bürger durch ein neues Gastronomieangebot ebenso wie die Stadt Bingen als Tourismusstandort.

Der Rat der Stadt Bingen hat in seiner Sitzung am 26.08.2025 ebenso die Veröffentlichung des Bebauungsplanentwurfes gemäß § 3 Abs. 1 BauGB und die Beteiligung der Behörden und sonstigen Träger öffentlicher Belange gemäß § 4 Abs.1 BauGB beschlossen.

Hiermit wird die Veröffentlichung des Bebauungsplanentwurfes gemäß § 3 Abs. 1 BauGB bekannt gemacht.

Der Bebauungsplan liegt in der Zeit vom 13.10.2025 bis einschließlich 14.11.2025 offen.

Der Bebauungsplanentwurf einschließlich der Planzeichnungen, der textlichen Festsetzungen, der Begründung, des Durchführungsvertrages sowie des Fachbeitrags Artenschutz und der Natura 2000 Vorstudie sind im Internet unter der Adresse: http://www.bingen.de/aktuelle-bauleitplanverfahren sowie im Geoportal des Landes Rheinland-Pfalz: www.GeoPortal.rlp.de eingestellt. Es besteht zudem die Möglichkeit der Einsichtnahme der Unterlagen in der Stadtverwaltung nach vorheriger Terminabsprache.

Stellungnahmen zum Bebauungsplanentwurf können während der Offenlegung schriftlich vorgebracht oder zur Niederschrift gegeben werden.

Es wird darum gebeten, Einwendungen per E-Mail an: stadtplanung@bingen.de einzureichen. Stellungnahmen, die auf postalischem Weg eingereicht werden, sind zu adressieren an: Stadtverwaltung Bingen, Bauamt, Rochusallee 2, 55411 Bingen am Rhein. Die Abgabe von Erklärungen zur Niederschrift bei der Behörde werden nach vorheriger Terminvereinbarung ermöglicht.

Zwecks Anforderung von Unterlagen oder Terminabsprache wenden Sie sich bitte an Frau Sarah Ziegert (Telefon 06721-184-146) oder stadtplanung@bingen.de.

Gemäß § 3 Absatz 2 BauGB wird darauf hingewiesen, dass nicht fristgerecht abgegebene Stellungnahmen bei der Beschlussfassung über den Bebauungsplan unberücksichtigt bleiben können.

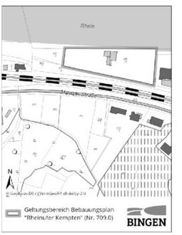
Geltungsbereich des Bebauungsplans „Rheinufer Kempten“ (Nr. 709.0)

Der räumliche Geltungsbereich des Bebauungsplans umfasst das Grundstück: Gemarkung Kempten, Flur 1, Flurstücksnummer 458/12

Hinweis Datenschutz

Die Verarbeitung personenbezogener Daten erfolgt auf der Grundlage des § 3 Baugesetzbuch (BauGB) in Verbindung mit Art. 6 Abs. 1 Buchst. e Datenschutz-Grundverordnung (DS-GVO) und dem Landesdatenschutzgesetz Rheinland-Pfalz (LDSG). Sofern Sie Ihre Stellungnahme ohne Absenderangaben abgeben, erhalten Sie keine Mitteilung über das Ergebnis der Prüfung.

Weitere Informationen entnehmen Sie bitte dem Formblatt: Informationspflichten bei der Erhebung von Daten im Rahmen der Öffentlichkeitsbeteiligung nach dem BauGB (Art. 13 DSGVO), welches mit ausliegt und auf der Internetseite der Stadt Bingen abgerufen werden kann.

Stadtverwaltung Bingen am Rhein
Bingen, den 11.09.2025
Thomas Feser
Oberbürgermeister