Titel Logo
Rhein-Selz aktuell
Ausgabe 47/2022
Amtlicher Teil
Zurück zur vorigen Seite
Zurück zur ersten Seite der aktuellen Ausgabe

Bekanntmachungder Stadt Oppenheim,Bebauungsplanverfahren „Stadtrand-Ost, 2. Änderung“mit Begründung

A)

Bekanntmachung des Aufstellungsbeschlusses gemäß § 2 Abs. 1 Baugesetzbuch (BauGB) i. V. mit § 13 BauGB in der Fassung der Bekanntmachung vom 3. November 2017 (BGBl. I S.3634), das zuletzt durch Artikel 11 des Gesetzes vom 8. Oktober 2022 (BGBl. I S. 1726) geändert worden ist

B)

Bekanntmachung über die Durchführung der öffentlichen Auslegung gemäß § 3 Abs. 2 i.V. mit § 13 Abs. 2 Nr. 2 BauGB in der Fassung der Bekanntmachung vom 3. November 2017 (BGBl. I S. 3634), das zuletzt durch Artikel 11 des Gesetzes vom 8. Oktober 2022 (BGBl. I S. 1726) geändert worden ist

Zu A)

Der Stadtrat der Stadt Oppenheim hat in seiner öffentlichen Sitzung am 12.05.2022 die Aufstellung des Bebauungsplanes „Stadtrand-Ost, 2. Änderung“ mit Begründung beschlossen. Der Aufstellungsbeschluss wird hiermit gemäß § 2 Abs. 1 BauGB öffentlich bekannt gemacht.

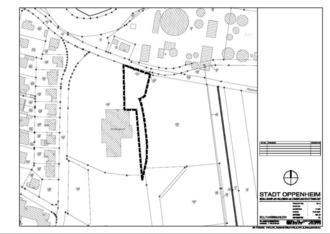
• Es folgt Anlage: Geltungsbereich

Der genaue Geltungsbereich des Bebauungsplanentwurfes ist in der oben stehenden Planskizze durch eine dick gestrichelte Linie umrandet.

Städtebauliche Rechtfertigung/Begründung und Ziel der Planung:

Die Stadt Oppenheim begründet das Änderungsverfahren zum Bebauungsplan „Stadtrand-Ost, 2. Änderung“ mit dem Ziel, die bauplanungsrechtlichen Voraussetzungen für den Neubau eines zeitgemäßen Hallenbades zu schaffen. Der überwiegende Teil des Hallenbades unterliegt keinem verbindlichen Planungsrecht und wird in Folge dessen dem unbeplanten Innenbereich zugeordnet (§ 34 BauGB).

Der nordöstliche Teil der Objekt- und Außenbereichsplanung sieht eine Überplanung von Festsetzungen des angrenzenden rechtskräftigen Bebauungsplanes „Am Stadtrand-Ost“ vor. Durch die vorgesehene Überbauung ist eine Teilbereichsänderung des rechtskräftigen Bebauungsplanes notwendig.

Das anstehende Bauleitplanverfahren kann nach den gesetzlichen Vorschriften des § 13 BauGB (vereinfachtes Verfahren) vollzogen werden.

Für die Durchführung des Bauleitplanverfahrens darf das vereinfachte Verfahren nach § 13 BauGB angewendet werden, da durch die Änderung des Bebauungsplanes die Grundzüge der Planung nicht berührt werden.

Des Weiteren begründet der Bebauungsplan nicht die Zulässigkeit von Vorhaben, die einer Pflicht zur Durchführung einer Umweltverträglichkeitsprüfung nach Anlage 1 zum Gesetz über die Umweltverträglichkeitsprüfung oder nach Landesrecht unterliegen. Weiterhin bestehen durch die Aufstellung des Bebauungsplanes keine Anhaltspunkte für eine Beeinträchtigung der in § 1 Abs. 6 Nummer 7 Buchstabe b genannten Schutzgüter. Darüber hinaus bestehen keine Anhaltspunkte dafür, dass bei der Planung Pflichten zur Vermeidung oder Begrenzung der Auswirkungen von schweren Unfällen nach § 50 Satz 1 des Bundes-Immissionsschutzgesetzes zu beachten sind.

Hinweis gemäß § 13 Abs. 3 Satz 2 BauGB:

Im vereinfachten Verfahren wird von der Umweltprüfung nach § 2 Absatz 4, von dem Umweltbericht nach § 2a, von der Angabe nach § 3 Absatz 2 Satz 2, welche Arten umweltbezogener Informationen verfügbar sind, sowie von der zusammenfassenden Erklärung nach § 6a Absatz 1 und § 10a Absatz 1 abgesehen; § 4c ist nicht anzuwenden.

Zu B)

Für das Bebauungsplanverfahren wird gemäß § 13 Abs. 2 Nr. 2 BauGB wahlweise eine öffentliche Auslegung nach § 3 Abs. 2 BauGB durchgeführt.

Der Bebauungsplanentwurf „Stadtrand-Ost, 2. Änderung“ wird mit Begründung auf die Dauer eines Monats, mindestens aber 30 Tage, in der Zeit

vom 01.12.2022 bis einschließlich 09.01.2023

zu Jedermanns Einsichtnahme öffentlich ausgelegt. Die Offenlage findet im Dienstgebäude „Castello“ der Verbandsgemeindeverwaltung Rhein-Selz, Fachbereich 3 - Bauliche Infrastruktur, 2. Obergeschoss, Zimmer C 210, Sant´ Ambrogio-Ring 31 in 55276 Oppenheim (Tel.-Nr. 06133/4901-330, Fax-Nr. 06133/4901-204, E-Mail-Adresse michael.hildebrandt@vg-rhein-selz.de) während der nachfolgenden Öffnungszeiten statt.

Mo

08:30 bis 12:00 Uhr, 13:00 bis 16:00 Uhr

Di

08:30 bis 12:00 Uhr

Mi

geschlossen

Do

08:30 bis 12:00 Uhr, 13:00 bis 18:00 Uhr

Fr

08:30 - 12:00 Uhr.

Hinweis zum Einstellen der Planunterlagen in das Internet:

Gemäß § 4a Abs. 4 Satz 1 BauGB wird der Inhalt der ortsüblichen Bekanntmachung nach § 3 Abs. 2 Satz 2 BauGB und die nach § 3 Abs. 2 Satz 1 BauGB auszulegenden Entwurfsunterlagen zusätzlich in das Internet eingestellt. Die vollständigen Entwürfe der Planunterlagen können während des Auslegungszeitraumes ergänzend auf der Internetseite der Verbandsgemeindeverwaltung Rhein-Selz mit Adresse https://www.vg-rhein-selz.de unter der Rubrik „Bürger und Service“ und der Unterrubrik „Bauen in der Verbandsgemeinde/Offenlage“ der Stadt Oppenheim eingesehen werden. Die genannten Unterlagen können darüber hinaus auch im zentralen Internetportal des Landes unter https://www.geoportal.rlp.de eingesehen werden.

Gemäß § 3 Abs. 2 Satz 2, 2. HS BauGB wird darauf hingewiesen, dass während der oben genannten Auslegungsfrist Stellungnahmen schriftlich oder zur Niederschrift bei der Verbandsgemeindeverwaltung Rhein-Selz abgegeben werden können und dass nicht fristgerecht abgegebene Stellungnahmen bei der Beschlussfassung über den Bebauungsplan unberücksichtigt bleiben können, sofern die Gemeinde deren Inhalt nicht kannte und nicht hätte kennen müssen und deren Inhalt für die Rechtmäßigkeit des Bauleitplans nicht von Bedeutung ist (§ 4a Abs. 6 BauGB).

Oppenheim, den 18.11.2022
gez. Rautenberg (Stadtbürgermeisterin)