Titel Logo
Rhein-Selz aktuell
Ausgabe 7/2023
Amtlicher Teil
Zurück zur vorigen Seite
Zurück zur ersten Seite der aktuellen Ausgabe

​​​​​​​Bekanntmachungder Ortsgemeinde Uelversheim

Bebauungsplanverfahren „Oppenheimer Weg, 2. u. 3. BA mit 1. Änderung Oppenheimer Weg einschließlich 1. Änderung Kleingartengelände nördlicher Ortsrand“ mit Begründung

Hier: Bekanntmachung über die Durchführung der öffentlichen Auslegung gemäß § 3 Abs. 2 BauGB (Baugesetzbuch) in der Fassung der Bekanntmachung vom 3. November 2017 (BGBl. I S. 3634), das zuletzt durch Artikel 2 des Gesetzes vom 4. Januar 2023 (BGBl. I Nr. 6) geändert worden ist.

Der Gemeinderat der Ortsgemeinde Uelversheim hat in seiner öffentlichen Sitzung am 08.11.2018 die Aufstellung des Bebauungsplanes „Oppenheimer Weg, 2. u. 3. BA“ mit Begründung und Umweltbericht beschlossen. Die ortsübliche Bekanntmachung des Aufstellungsbeschlusses erfolgte gemäß § 2 Abs. 1 BauGB am 25.05.2022 im Bekanntmachungsorgan „Rhein-Selz-Aktuell“ der Ortsgemeinde Uelversheim.

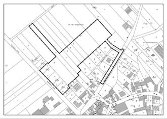
Es folgt Anlage: Geltungsbereich

Der genaue Geltungsbereich des Bebauungsplanentwurfes ist in der oben stehenden Planskizze durch eine dick gestrichelte Linie umrandet. Das Plangebiet befindet sich am nördlichen Ortsrand zwischen der Weinolsheimer Straße (L 437) und dem Friedhof, zudem grenzt es unmittelbar an das bestehende Baugebiet „Oppenheimer Weg“ an.

Der Bebauungsplanentwurf „Oppenheimer Weg, 2. u. 3. BA mit 1. Änderung Oppenheimer Weg einschließlich 1. Änderung Kleingartengelände nördlicher Ortsrand“ wird mit Begründung, Umweltbericht und gutachterlichen Anlagen auf die Dauer eines Monats, mindestens aber 30 Tage, in der Zeit

vom 23.02.2023 bis einschließlich 27.03.2023

zu Jedermanns Einsichtnahme öffentlich ausgelegt. Die Offenlage findet im Dienstgebäude „Castello“ der Verbandsgemeindeverwaltung Rhein-Selz, Fachbereich 3 - Bauliche Infrastruktur, 2. Obergeschoss, Zimmer C 210, Sant´ Ambrogio-Ring 31 in 55276 Oppenheim (Tel.-Nr. 06133/4901-330, Fax-Nr. 06133/4901-204, E-Mail-Adresse michael.hildebrandt@vg-rhein-selz.de) während der nachfolgenden Öffnungszeiten statt.

Mo

08:30 bis 12:00 Uhr, 13:00 bis 16:00 Uhr

Di

08:30 bis 12:00 Uhr

Mi

geschlossen

Do

08:30 bis 12:00 Uhr, 13:00 bis 18:00 Uhr

Fr

08:30 - 12:00 Uhr.

Hinweis zum Einstellen der Planunterlagen in das Internet:

Gemäß § 4a Abs. 4 Satz 1 BauGB wird der Inhalt der ortsüblichen Bekanntmachung nach § 3 Abs. 2 Satz 2 BauGB und die nach § 3 Abs. 2 Satz 1 BauGB auszulegenden Entwurfsunterlagen zusätzlich in das Internet eingestellt. Die vollständigen Entwürfe der Planunterlagen können während des Auslegungszeitraumes ergänzend auf der Internetseite der Verbandsgemeindeverwaltung Rhein-Selz mit Adresse https://www.vg-rhein-selz.de unter der Rubrik „Bürger und Service“ und der Unterrubrik „Bauen in der Verbandsgemeinde/Offenlage“ der Ortsgemeinde Uelversheim eingesehen werden. Die genannten Unterlagen können darüber hinaus auch im zentralen Internetportal des Landes unter https://www.geoportal.rlp.de eingesehen werden.

Es liegen Informationen vor zu Eingriffen in Natur und Landschaft, die in Folge der Planung zu erwarten sind. Neben dem Entwurf des Planes sind weitere Dokumente und Gutachten zum Bebauungsplan verfügbar, die umweltbezogene Informationen enthalten:

• Umweltbericht

Gemäß § 2a i.V.m. § 2 Abs. 4 BauGB wird für die Belange des Umweltschutzes eine Umweltprüfung durchgeführt, in der die voraussichtlichen erheblichen Umweltauswirkungen ermittelt und bewertet werden. Berücksichtigung finden die Belange des Umweltschutzes, einschließlich des Naturschutzes und der Landschaftspflege, insbesondere die Auswirkungen auf den Mensch und seine Gesundheit sowie die Bevölkerung insgesamt, Tiere, Pflanzen, Boden, Wasser, Luft, Klima und das Wirkungsgefüge zwischen ihnen sowie der Landschaft und der biologischen Vielfalt. Weiterhin erhält der Umweltbericht die Ermittlung des Kompensationsbedarfs (Ausgleichsverpflichtung).

• Artenschutzrechtlicher Fachbeitrag

Das Plangebiet wurde im Hinblick auf mögliche Vorkommen geschützter Tierarten einer speziellen artenschutzrechtlichen Prüfung unterzogen, um im weiteren Verfahren potentiell vorkommende planungsrelevante Arten berücksichtigen zu können. Bei der geplanten Ausweisung des Plangebietes sind u. a. die biotop- und artenschutzrechtlichen Bestimmungen der §§ 30 und 44 Bundesnaturschutzgesetz zu beachten. In der vorliegenden artenschutzrechtlichen Prüfung werden die artenschutzrechtlichen Verbotstatbestände des § 44 Bundesnaturschutzgesetz bezüglich der potenziell und tatsächlich vorkommenden geschützten Arten, die durch das Vorhaben eintreten können, ermittelt und dargestellt. Zur Sicherstellung des Individuenschutzes liegen Aussagen vor zu Vermeidungs,- Minimierungs- und Kompensationsmaßnahmen.

• Schalltechnische Verträglichkeitsuntersuchung

Das Plangebiet befindet sich im nördlichen Bereich der Ortslage Uelversheim. Durch ein Schallgutachten soll die immissionsrechtliche Vereinbarkeit zwischen den jeweiligen Nutzungen beurteilt werden. In der vorliegenden schalltechnischen Untersuchung zum Bebauungsplan wurden die auf das Plangebiet einwirkenden Geräusche der Landesstraße, der Gewerbebetriebe sowie der landwirtschaftlichen Betriebe ermittelt und beurteilt, um zu prüfen, ob Vorkehrungen und Abstände zum Schutz vor Immissionen für die geplante Nutzung als Wohngebiet erforderlich sind.

Gemäß § 3 Abs. 2 Satz 2, 2. HS BauGB wird darauf hingewiesen, dass während der oben genannten Auslegungsfrist Stellungnahmen schriftlich oder zur Niederschrift bei der Verbandsgemeindeverwaltung Rhein-Selz abgegeben werden können und dass nicht fristgerecht abgegebene Stellungnahmen bei der Beschlussfassung über den Bebauungsplan unberücksichtigt bleiben können, sofern die Gemeinde deren Inhalt nicht kannte und nicht hätte kennen müssen und deren Inhalt für die Rechtmäßigkeit des Bauleitplans nicht von Bedeutung ist (§ 4a Abs. 6 BauGB).

Uelversheim, den 10.02.2023
gez. Braner (Ortsbürgermeister)