Titel Logo
Amtsblatt VG Sprendlingen-Gensingen
Ausgabe 1/2023
Bekanntmachungen und Mitteilungen der Ortsgemeinden
Zurück zur vorigen Seite
Zurück zur ersten Seite der aktuellen Ausgabe

Vom Ortsgemeinderat Badenheim

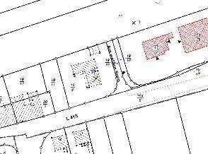
Rechtsgültiger FNP:

geplante Änderungsfläche:

Lageplanauszug -unmaßstäblich-

Am Dienstag, dem 06.12.2022, fand unter Vorsitz von Ortsbürgermeister Jan Ott die 23. Sitzung des Ortsgemeinderates Badenheim statt.

Die einzelnen Themen der Tagesordnung wurden wie folgt beraten und beschlossen:

TOP 1: Fragen der Einwohner

Es sind keine Einwohner zugegen.

TOP 2: Gasnetzerweiterung Neubaugebiet "Obere Sülz - 1. Erweiterung"

Zu diesem Punkt begrüßt der Vorsitzende Melanie Dindorf von der Westenergie AG und Tim Engelhardt von der Westnetz GmbH.

Die Westenergie AG und die Westnetz GmbH als ihr Tochterunternehmen betreiben ein kommunales Partnermanagement rund um die Energieversorgung (Strom, Gas, Breitband, Straßenbeleuchtung etc.) und unterliegen dem Mutterkonzern EON. Die Westnetz GmbH ist die bauausführende Firma der Westenergie, in diesem Fall für das eventuell zu erweiternde Gasnetz im Neubaugebiet „Ober Sülz - 1. Erweiterung“.

Der gelernte Heizungsbaumeister und Mitarbeiter der Westnetz, Engelhardt, würde das Projekt in Badenheim betreuen.

Frau Dindorf führt aus, viele wollen weg vom Erdgas - hin zu „Kalter Nahwärme“ oder einer Wärmepumpe; die Gasanschlüsse gehen zurück. Alternativen seien allerdings noch begrenzt. Das ambitionierte Ziel bleibe: 2045 sollen 90% aller Energien aus erneuerbaren Energien bestehen.

Nach Ausführungen der Referenten zu technischen Details wird seitens des Rates nach den Kosten gefragt, die auf die Ortsgemeinde eventuell zukommen könnten. Frau Dindorf erklärt, dass über die normalen Nutzungsentgelte, die alle Bürger*innen betreffen würde, auf die Ortsgemeinde keine weiteren Kosten zukommen würden.

Ortsbürgermeister Ott berichtet von seinem Kontakt zu Christoph Zeis, Geschäftsführer der Energiedienstleistungsgesellschaft mbH, Nieder-Olm zur Thematik „Kalter Nahwärme“. Üblicherweise wird diesbezüglich eine Entscheidung im Rahmen der Aufstellung des Bebauungsplans getroffen. Da für das NBG „Obere Sülz - 1. Erweiterung“ bereits ein rechtskräftiger Bebauungsplan besteht, wäre das Verfahren ggf. neu zu durchlaufen. Herr Zeis wird sich den aktuellen Bebauungsplan ansehen, um weitere Informationen hierzu liefern zu können. Herr Ott hofft diesbezüglich auf Klarheit in der Haushaltssitzung am 23.02.2023.

Der ursprünglich als PP-Präsentation angedachte Vortrag fiel aus technischen Gründen aus.

Die Präsentation wird als Anlage im Ratssystem mitgeliefert.

Nachdem keine weiteren Fragen gestellt werden, bedankt sich der Vorsitzende bei den beiden Referenten für die Informationen und verabschiedet sie aus der Sitzung.

TOP 3: Änderung des Flächennutzungsplanes der Verbandsgemeinde Sprendlingen-Gensingen im Bereich Gensingen "Erweiterung Friedhof"- Zustimmungsverfahren gem. § 67 Abs. 2 GemO

Sach- und Rechtslage:

Der Verbandsgemeinderat hat die Änderung des Flächennutzungsplanes in der Gemarkung Gensingen für den Bereich „Erweiterung Friedhof“ beschlossen. Ziel der Planung ist die Erweiterung der Friedhofsfläche.

Im wirksamen Flächennutzungsplan der Verbandsgemeinde Sprendlingen ist das Gebiet als Grünland mit dem Hinweis Parkanlage dargestellt. Die Planung zur Änderung des Flächennutzungsplanes wurde in der Sitzung am 26.09.2022 gebilligt. Gemäß § 67 Abs. 2 GemO bedarf die endgültige Entscheidung über die Änderung des Flächennutzungsplanes der Zustimmung der Ortsgemeinden. Die Zustimmung gilt als erteilt, wenn mehr als die Hälfte der Ortsgemeinden zugestimmt hat und in diesen mehr als zwei Drittel der Einwohner der Verbandsgemeinden wohnen. Im Anschluss an das Zustimmungsverfahren erfolgt der Feststellungsbeschluss durch den Verbandsgemeinderat.

Nach erläuternden Worten von Ortsbürgermeister Ott stimmt der Rat ohne Diskussion ab.

Beschluss:

Der Ortsgemeinderat Badenheim stimmt der Änderung des Flächennutzungsplanes der Verbandsgemeinde Sprendlingen-Gensingen in der Gemarkung Gensingen für den Bereich „Erweiterung Friedhof“ zu.

Finanzielle Auswirkung:

Für die Ortsgemeinden hat diese Planung keine finanziellen Auswirkungen

Abstimmungsergebnis: einstimmig angenommen

TOP 4: Abschluss des Verfahrens zur Änderung der Hausnummer des bestehenden Gebäudes "Am weißen Stein 1" in "Am weißen Stein 2" und Vergabe der Adresse "Am weißen Stein 1"

Sach- und Rechtslage:

Die Adressen für die Anwesen / Gebäude werden von der Ortsgemeinde nach folgendem System vergeben:

  • Hausnummern aufsteigend
  • ungerade Hausnummern für die Gebäude auf der rechten Straßenseite
  • gerade Hausnummern für die Gebäude auf der linken Straßenseite.

Die Adresse/Hausnummer „Am weißen Stein 1“ für das von Ihnen bewohnte Gebäude wurde abweichend von diesen Grundsätzen vergeben. In dem Zusammenhang mit Vergabe einer weiteren Hausnummer wurde der Ortsgemeinde eine Berichtigung/Korrektur der Adresse Ihres Gebäudes in „Am weißen Stein 2“ vorgeschlagen:

Die Eigentümer des Grundstückes Flur 9, Nr. 19/8 hat die Korrektur vorgeschlagen; die Mieter haben sich dagegen ausgesprochen.

Hinweis:

Über die evtl. Korrektur würden wir die verwaltungsinternen Stellen,

wie den Fachbereich 1 /Bürgerservice (Meldeamt), den Fachbereich 3 /Steueramt, die Verbandsgemeindewerke (Wasserversorgung / Abwasserbeseitigung / Rheinhessenenergie)

und die weiteren öffentlichen Stellen,

wie die Deutsche Post, die Deutsche Telekom, den Abfallwirtschaftsbetrieb Mainz-Bingen, das Vermessungs- und Katasteramt Rheinhessen-Nahe, das Finanzamt Bad Kreuznach, das Elektrizitätswerk Rheinhessen, das RWE Rhein-Ruhr, die Stadtwerke Mainz, die Polizeiinspektion Bingen und Aufsichts-u. Dienstleistungsdirektion ADD - Schornsteinfegerbezirke Einteilung-

informieren.

Verlauf der Beratung:

Zu diesem Punkt erklärt sich Ortsbürgermeister Ott für befangen und rückt vom Ratstisch ab.

Der Erste Beigeordnete Stefan Lufft übernimmt den Vorsitz zu diesem Punkt und erläutert den Sachverhalt.

Der Rat diskutiert rechtliche wie sachliche Argumente. Sollte ein Tausch der Hausnummern stattfinden, würde das privilegierte Bauen im Außenbereich für die Bauherren wegfallen; sie würden dem Innenbereich zugerechnet. Baurechtlich bedeutet es für sie, entweder mit entsprechenden Konsequenzen auf die Privilegierung oder eben auf die Hausnummer mit der Vergabenummer 1 zu verzichten. Weiterhin plädiert der Rat dafür, nicht willkürlich einen Präzedenzfall schaffen zu wollen. Von der Sache her stimmt der Rat dem Mieter des Hauses „Am weißen Stein 1“ zu und beschließt wie folgt.

Beschluss:

Der Ortsgemeinderat Badenheim lehnt die Änderung der Hausnummer des bestehenden Gebäudes

"Am weißen Stein 1" in "Am weißen Stein 2" und Vergabe der Adresse "Am weißen Stein 1" ab.

Abstimmungsergebnis: einstimmig angenommen

Nach der Abstimmung nimmt Ortsbürgermeister Ott unter seinem Vorsitz wieder am Ratstisch Platz.

TOP 5: Mitteilungen und Anfragen

TOP 5.1: Sachstand Radweg Badenheim-Pleitersheim

Zur Errichtung des Radweges zwischen den beiden Ortsgemeinden Badenheim und Pleitersheim sind nun auch seitens der Verbandsgemeinde Bad Kreuznach alle Voraussetzungen erfüllt. Allerdings herrsche beim LBM Bad Kreuznach eine Haushaltssperre, weshalb voraussichtlich bis Mitte 2023 nicht mit einem Baubeginn gerechnet werden kann.

TOP 5.2: Friedhofsmauer

Die Friedhofsmauer wird derzeit in Teilbereichen wieder standsicher hergerichtet.

TOP 5.3: Termine Ratssitzungen

Ortsbürgermeister Ott kündigt für 2023 folgende Termine für die Ratssitzungen an:

- 23.02.2023: Haushaltssitzung 2023

- 13.04.2023

- 15.06.2023

- 14.09.2023

- 23.11.2023: Haushaltssitzung 2024

TOP 5.4: E-Ladesäule

Wegen Errichtung der geplanten E-Ladesäule am Parkplatz der Badenheimer Gemeindehalle wurde Kontakt mit der Mer Germany GmbH aufgenommen, die verschieden Modelle zum Betrieb von Elektroladesäulen anbietet.

TOP 5.5: Seniorenweihnachtsfeier 2022

Am 18.12.2022, um 15 Uhr findet die diesjährige Seniorenweihnachtsfeier im Pfarrer-Jacob-Haus in Badenheim statt. Es werden noch Helfer*innen gesucht. Der Ortsbürgermeister bittet Interessenten, sich bei Simone Euler zu melden.

TOP 5.6: Neujahrsempfang 2023

Am 08.01.2023, um 11 Uhr, wird der Neujahrsempfang stattfinden. Es werden noch Helfer*innen gesucht. Der Ortsbürgermeister bittet Interessenten, sich bei ihm zu melden.

TOP 5.7: Grundstücksverkauf

Der Vorsitzende teilt mit, dass das im Rahmen eines Bieterverfahrens angebotene Grundstück der Ortsgemeinde Badenheim im Neubaugebiet „Obere Sülz, Erweiterung“ verkauft worden ist.

TOP 5.8: Zusammenarbeit VG-Verwaltung und Ortsgemeinden

Ratsmitglied Dr. Auernheimer regt an, zur Verbesserung der Zusammenarbeit zwischen den Ortsgemeinden und der Verbandsgemeindeverwaltung eine Fortbildung des Gemeinde- und Städtebundes zu besuchen, wie sie bspw. am 16. + 17.10.2023 in Boppard stattfinden wird. Der Vorsitzende führt hierzu aus, dass bei entsprechendem Bedarf auch ein Vorort-Seminar möglich ist.

TOP 5.9: Verleihung Ehrenbrief

Der Vorsitzende teilt mit, dass Ratsmitglied Dr. Auernheimer am 06.12.2022 mit dem Ehrenbrief der Stiftung Kultur im Landkreis Mainz-Bingen von Landrätin Dorothea Schäfer ausgezeichnet worden ist und gratuliert ihm gleichzeitig zu dieser Ehrung.

TOP 5.10: Homepage

Ratsmitglied Burgund regt an, die Homepage zu aktualisieren, da dort - wie er festgestellt habe - noch Weingüter benannt werden, die zwischenzeitlich den Betrieb eingestellt haben.

TOP 5.11: Blumen entwendet

Ratsmitglied Dr. Auernheimer bedauert, dass privat gestiftete und von ihm gepflanzte Blumen an der Handpumpe im Kreuzungsbereich in Höhe der Hauptstraße 57 entwendet wurden.