Titel Logo
Rhein-Nahe aktuell
Ausgabe 17/2024
Amtliche und öffentliche Bekanntmachungen
Zurück zur vorigen Seite
Zurück zur ersten Seite der aktuellen Ausgabe

Bekanntmachung der Ortsgemeinde Oberheimbach

Vollzug des Baugesetzbuches (BauGB);

Aufstellung des Bebauungsplans „Am Heilig Kreuz“ der Ortsgemeinde Oberheimbach zur Ausweisung einer Wohnbaufläche;

Durchführung der Öffentlichkeitsbeteiligung gemäß § 3 Abs. 2 BauGB

Der Ortsgemeinderat der Ortsgemeinde Oberheimbach hat in seiner Sitzung am 01.12.2022 bzw. am 05.10.2023 die Aufstellung des Bebauungsplans „Am Heilig Kreuz“ in der Ortsgemeinde Oberheimbach zur Ausweisung einer Wohnbaufläche beschlossen. Dieser Beschluss wurde im Mitteilungsblatt der Verbandsgemeinde Rhein-Nahe am 14.12.2022 bzw. 18.10.2023 veröffentlicht.

Der Entwurf des Bebauungsplans hat mit der Planzeichnung, dem Satzungstext, der Begründung mit integriertem Umweltbericht und der artenschutzrechtlichen Beurteilung in der Zeit vom 19.10.2023 bis einschließlich 09.11.2023 im Rahmen der Öffentlichkeitsbeteiligung gemäß § 3 Abs. 1 BauGB ausgelegen. Gleichzeitig erfolgte die Beteiligung der Behörden und sonstigen Träger öffentlicher Belange gemäß § 4 Abs. 1 BauGB.

Zur Weiterführung des vorgenannten Bebauungsplanaufstellungsverfahrens wird nun die Öffentlichkeitsbeteiligung gemäß § 3 Abs. 2 BauGB bei gleichzeitiger Beteiligung der Behörden und sonstigen Träger öffentlicher Belange gemäß § 4 Abs. 2 BauGB durchgeführt.

Es wird darauf hingewiesen, dass der Entwurf des Bebauungsplans (Planzeichnung, Satzungstext, Begründung, Umweltbericht artenschutzrechtliche Beurteilung und Abwägungsübersicht aus der frühzeitigen Beteiligung gemäß § 3 Abs. 1 BauGB bei gleichzeitiger Beteiligung der Behörden und sonstigen Träger öffentlicher Belange gemäß § 4 Abs. 1 BauGB sowie diverse Stellungnahmen aus dieser Beteiligung) gemäß § 3 Abs. 2 BauGB bei gleichzeitiger Beteiligung der Behörden und sonstigen Träger öffentlicher Belange gemäß § 4 Abs. 2 BauGB während der Dauer eines Monats und zwar vom

02.05.2024 bis einschließlich 03.06.2024

bei der Verbandsgemeindeverwaltung Rhein-Nahe, Koblenzer Straße 18, Zimmer 208, 55411 Bingen-Bingerbrück sowie bei der Ortsgemeinde Oberheimbach, Dorfgemeinschaftshaus, 55413 Oberheimbach, jeweils während der Dienststunden zu jedermanns Einsichtnahme ausliegt.

Folgende umweltbezogene Informationen bzw. Planungen und Gutachten liegen vor und werden öffentlich ausgelegt:

1. Umweltbericht (selbstständiger Bestandteil der Begründung)

Der Umweltbericht enthält Informationen zu folgenden Themen:

Der Umweltbericht enthält sämtliche gemäß der Anlage 1 zu § 2 Abs. 4 und § 2a BauGB zu beschreibenden und zu bewertenden Inhalte, so v. a. eine Kurzdarstellung des Inhalts und der wichtigsten Ziele des Bauleitplanes, die gesetzlichen und planerischen Vorgaben und ihre Berücksichtigung in der Planung, eine Beschreibung und Bewertung der Umweltauswirkungen (auf die Schutzgüter Mensch, Biotoptypen / Vegetation, Tiere, Boden, Wasser, Klima / Luft, Kultur- und Sachgüter, Landschaftsbild / Erholung sowie auf die Wechselwirkungen zwischen den vorgenannten Schutzgütern und auf die biologische Vielfalt), mit Angaben zum derzeitigen Umweltzustand des Plangebietes und der voraussichtlich erheblich beeinflussten Gebiete etc., eine Prognose über die Entwicklung des Umweltzustandes bzw. auf die o.g. Schutzgüter bei Durchführung sowie bei Nicht-Durchführung der Planung, eine Beschreibung der geplanten Maßnahmen zur Vermeidung, zur Verringerung und zum Ausgleich der nachteiligen Auswirkungen mit Eingriffs-/Ausgleichs-Bilanzierung, Angaben zu in Betracht kommenden anderweitigen Planungsmöglichkeiten sowie Erläuterungen zur Erarbeitung der Umweltprüfung, zur Überwachung der erheblichen Auswirkungen der Durchführung des Bauleitplans auf die Umwelt sowie eine allgemein verständliche Zusammenfassung der Ergebnisse der Umweltprüfung.

2. Anlage 1: Artenschutzrechtliche Beurteilung

VIRIDITAS (2023): Ortsgemeinde Oberheimbach Bebauungsplan „Am Heilig Kreuz“ Arten-schutzrechtliche Beurteilung. Weiler, 26.03.2023.

Der o.g. Fachbeitrag enthält u.a. Aussagen zum aktuellen Bestand (Biotoptypen / Vegetation / Tierwelt), zu den tatsächlich und zu den potenziell im Gebiet und der näheren Umgebung vorkommenden Tier- und Pflanzenarten und zu ihrer potenziellen Gefährdung bei Realisierung der Planung.

3. Stellungnahmen mit umweltbezogenen Informationen von Behörden und sonstigen Trägern öffentlicher Belange liegen zu folgenden Themenblöcken vor:

§ Schutzgut Mensch

- Landwirtschaftskammer RLP, Alzey, 07.11.2023.

Es wurden u.a. Aussagen getroffen bzw. Hinweise gegeben zur verkehrlichen Erschließung, zur Berücksichtigung agrarstruktureller Belange bei Kompensationsmaßnahmen etc.

§ Schutzgut Boden/Wasser

- Kreisverwaltung Mainz-Bingen, Untere Naturschutzbehörde, Ingelheim, 08.11.2023.

- Landesamt für Geologie und Bergbau, Mainz, 07.11.2023

- Struktur- und Genehmigungsdirektion Süd - Wasserwirtschaft, Abfallwirtschaft, Bodenschutz, Mainz, 08.11.2023

Es wurden Aussagen getroffen bzw. Hinweise gegeben u. a. zu: Allgemeine Wasserwirtschaft, zum Grundwasserschutz, zu den wassergesetzlichen Erfordernissen bei der Abwasserbeseitigung, zur Niederschlagswasser u. Entwässerungskonzeption, Abwasserbeseitigung, Löschwasserversorgung, zu potenziellem Bergbau, zum Boden und zum Baugrund etc.

§ Schutzgut Tiere/Pflanzen

- Kreisverwaltung Mainz-Bingen, Untere Naturschutzbehörde, Ingelheim, 08.11.2023.

Es wurden u.a. Aussagen getroffen zu Kompensationsmaßnahmen und -flächen und Artenschutzmaßnahmen, zu pauschal geschützten Biotopen, zu umweltfreundlichen Beleuchtungen, zur Eingrünung des Baugebietes etc.

§ Schutzgut Landschaftsbild und Erholung

- SGD Nord - Initiative Baukultur Welterbe Oberes Mittelrheintal, Koblenz, 20.10.2023

- Zweckverband Welterbe – Oberes Mittelrheintal, St. Goarshausen, 09.11.2023

Es wurden Aussagen zu der Farbwahl von Dachlandschaften und zu Photovoltaikanlagen etc.

§ Schutzgut Klima/Luft

- SGD Nord - Initiative Baukultur Welterbe Oberes Mittelrheintal, Koblenz, 20.10.2023

- Zweckverband Welterbe – Oberes Mittelrheintal, St. Goarshausen, 09.11.2023

Es wurden Aussagen getroffen u.a. zu Solar- u. Photovoltaikanlagen u. Energieeffizienzstandards und zur Berücksichtigung sonstiger klimarelevanter Aspekte bei der Auswahl und bei der Planung des Baulands etc.

§ Schutzgut Kultur- und Sachgüter

- Deutsche Telekom Technik GmbH, Bad Kreuznach, 20.10.2023

- Westenergie AG, Idar-Oberstein, 23.10.2023

- DLR Rheinhessen-Nahe-Hunsrück, Simmern, 26.10.2023

- Landesamt für Geologie und Bergbau, Mainz, 02.11.2023

- Westnetz GmbH, Idar-Oberstein, 02.11.2023

- Landesamt für Vermessung und Geobasisinformation Rheinland-Pfalz, Koblenz, 06.11.2023

- Generaldirektion Kulturelles Erbe Rheinland-Pfalz Landesarchäologie, Direktion Landesarchäologie/Abt. Erdgeschichte, Mainz, 09.11.2023

Es wurden Aussagen getroffen bzw. Hinweise gegeben u.a. zum Umgang mit möglichen archäologischen Funden, zum Schutz und zum Ausbau von Telekommunikation- und Versorgungslinien

Während der Auslegung besteht die Möglichkeit der Äußerung und Erörterung. Stellungnahmen / Anregungen zu der geplanten Bebauungsplanaufstellung können schriftlich oder zur Niederschrift während der Auslegungsfrist vorgebracht werden.

Der Entwurf des vorgenannten Bebauungsplanes kann auch auf der Homepage der Verbandsgemeinde Rhein-Nahe www.vgrn.de (Rathaus/Bauleitplanung/Bebauungsplan Am Heilig Kreuz Oberheimbach) eingesehen werden. Auch erfolgt eine Veröffentlichung im Geoportal Rheinland-Pfalz.

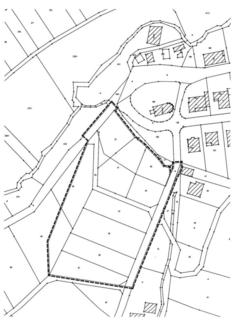
Der Geltungsbereich des Bebauungsplanes „Am Heilig Kreuz“ ergibt sich aus dem nachstehenden, unmaßstäblichen Entwurf der Lageübersicht und umfasst nachfolgend aufgeführte Grundstücke der Gemarkung Oberheimbach: Flur 18, Flurstücke 46/1 (tlw.), 49, 50, 51, 52, 53, 54, 55, 56, 57, 58 (tlw.), 59 (tlw.), 66 (tlw.), 107 (tlw.)

Ortsgemeinde Oberheimbach
Franz-Josef Wirsch
Beigeordneter