Titel Logo
Rhein-Nahe aktuell
Ausgabe 22/2023
Amtliche und öffentliche Bekanntmachungen
Zurück zur vorigen Seite
Zurück zur ersten Seite der aktuellen Ausgabe

Bekanntmachung der Ortsgemeinde Waldalgesheim

Vollzug des Baugesetzbuches (BauGB);

Aufstellung des Bebauungsplans „Ober dem Banzweg“ in der Ortsgemeinde Waldalgesheim, Ortsteil Genheim, gemäß § 13 b BauGB zur Ausweisung eines neuen Wohnbaugebiets;

Öffentliche Bekanntmachung der erneuten öffentlichen Auslegung

gemäß § 4a Abs. 3 i.V.m. § 3 Abs. 2 Baugesetzbuch (BauGB)

Der Gemeinderat der Ortsgemeinde Waldalgesheim hat in seiner Sitzung am 19.11.2019 und aus Gründen der Rechtssicherheit nochmals am 21.09.2022 die Aufstellung des Bebauungsplans „Ober dem Banzweg“ in der Ortsgemeinde Waldalgesheim im beschleunigten Verfahren gemäß § 13 b BauGB beschlossen. Diese Beschlüsse wurden im Mitteilungsblatt der Verbandsgemeinde Rhein-Nahe am 27.11.2019 bzw. 06.10.2022 veröffentlicht.

Die erste öffentliche Auslegung gemäß § 3 Abs. 2 BauGB fand zeitgleich mit der Behördenbeteiligung gemäß § 4 Abs. 2 BauGB in der Zeit vom 02.02.2023 bis einschließlich 06.03.2023 statt. Der Gemeinderat der Ortsgemeinde Waldalgesheim hat in der Sitzung am 16.05.2023 über die im Rahmen der Beteiligung der Öffentlichkeit gemäß § 3 Abs. 2 BauGB sowie über die von den Behörden und sonstigen Trägern öffentlicher Belange gemäß § 4 Abs. 2 BauGB eingegangenen Bedenken und Anregungen beraten und beschlossen und gleichzeitig eine erneute Beteiligung der Öffentlichkeit gemäß § 4 a Abs. 3 i.V.m. § 3 Abs. 2 BauGB sowie die Durchführung einer erneuten Beteiligung der Behörden und sonstigen Trägern öffentlicher Belange gemäß § 4 a Abs. 3 i.V.m. § 4 Abs. 2 BauGB beschlossen, da sich Änderungen bei der Planung ergeben haben.

Gemäß § 4 a Abs. 3 i.V.m. § 3 Abs. 2BauGBwird hiermit öffentlich bekannt gemacht, dass der Entwurf des Bebauungsplans „Ober dem Banzweg“ in der Ortsgemeinde Waldalgesheim

in der Zeit vom 09.06.2023 bis einschließlich zum 10.07.2023

bei der Verbandsgemeindeverwaltung Rhein-Nahe, Koblenzer Straße 18, Zimmer 208, 55411 Bingen-Bingerbrück sowie bei der Ortsgemeinde Waldalgesheim, Rathaus, Kreuzstraße 2, 55425 Waldalgesheim, jeweils während der Dienststunden zu jedermanns Einsichtnahme ausliegt.

In diesem Auslegungszeitraum können die Entwürfe der Planunterlagen mit Planzeichnung, Textfestsetzungen, Begründung, Artenschutzrechtliche Vorprüfung, UVP-Vorprüfung Straße Banzweg und GALK-Straßenbaumliste von jedermann eingesehen werden. Ferner können während des vorgenannten Auslegungszeitraums Stellungnahmen zur Planung schriftlich oder zur Niederschrift an den oben genannten Anschriften vorgebracht werden.

Der Inhalt dieser öffentlichen Bekanntmachung sowie die auszulegenden Unterlagen stehen während des Auslegungszeitraums zudem im Internet auf der Homepage der Verbandsgemeinde Rhein-Nahe (www.vgrn.de) unter Rathaus/Bauleitplanung/Bebauungsplan Ober dem Banzweg Waldalgesheim zur Einsichtnahme zur Verfügung. Ferner werden sie über das zentrale Internetportal des Landes Rheinland-Pfalz unter www.geoportal.rlp.de zugänglich gemacht.

Des Weiteren wird darauf hingewiesen, dass gemäß § 13 Abs. 3, Satz 1 BauGB von der Umweltprüfung nach § 2 Abs. 4 BauGB, von dem Umweltbericht nach § 2 a BauGB, von der Angabe nach § 3 Abs. 2, Satz 2 BauGB, welche Arten umweltbezogener Informationen verfügbar sind, sowie von der zusammenfassenden Erklärung nach § 6 a Abs. 1 BauGB und § 10 a Abs. 1 BauGB abgesehen wird; § 4 c BauGB ist nicht anzuwenden.

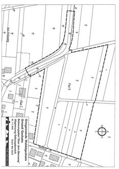
Der Geltungsbereich des Bebauungsplans „Ober dem Banzweg“ ergibt sich aus dem nachstehenden, unmaßstäblichen Entwurf der Lageübersicht

und umfasst nunmehr nachfolgend aufgeführte Grundstücke der Gemarkung Genheim:

Flur 6, Flurstücke 12, 13/1, 13/2, 15/1, 16/1, 16/3, 17, 18, 19, 20, 21/1, 80 (tlw.), 82 (tlw.), 83 sowie Flur 12, Flurstücke 35/5 (tlw.), 35/6 (tlw.), 107/4 (tlw.), 109/5 (tlw.), 122/8 (tlw.) und 122/11 (tlw.).

Ortsgemeinde Waldalgesheim
55425 Waldalgesheim, 24.05.2023
In Vertretung:
Gerhard Huber
1. Beigeordneter